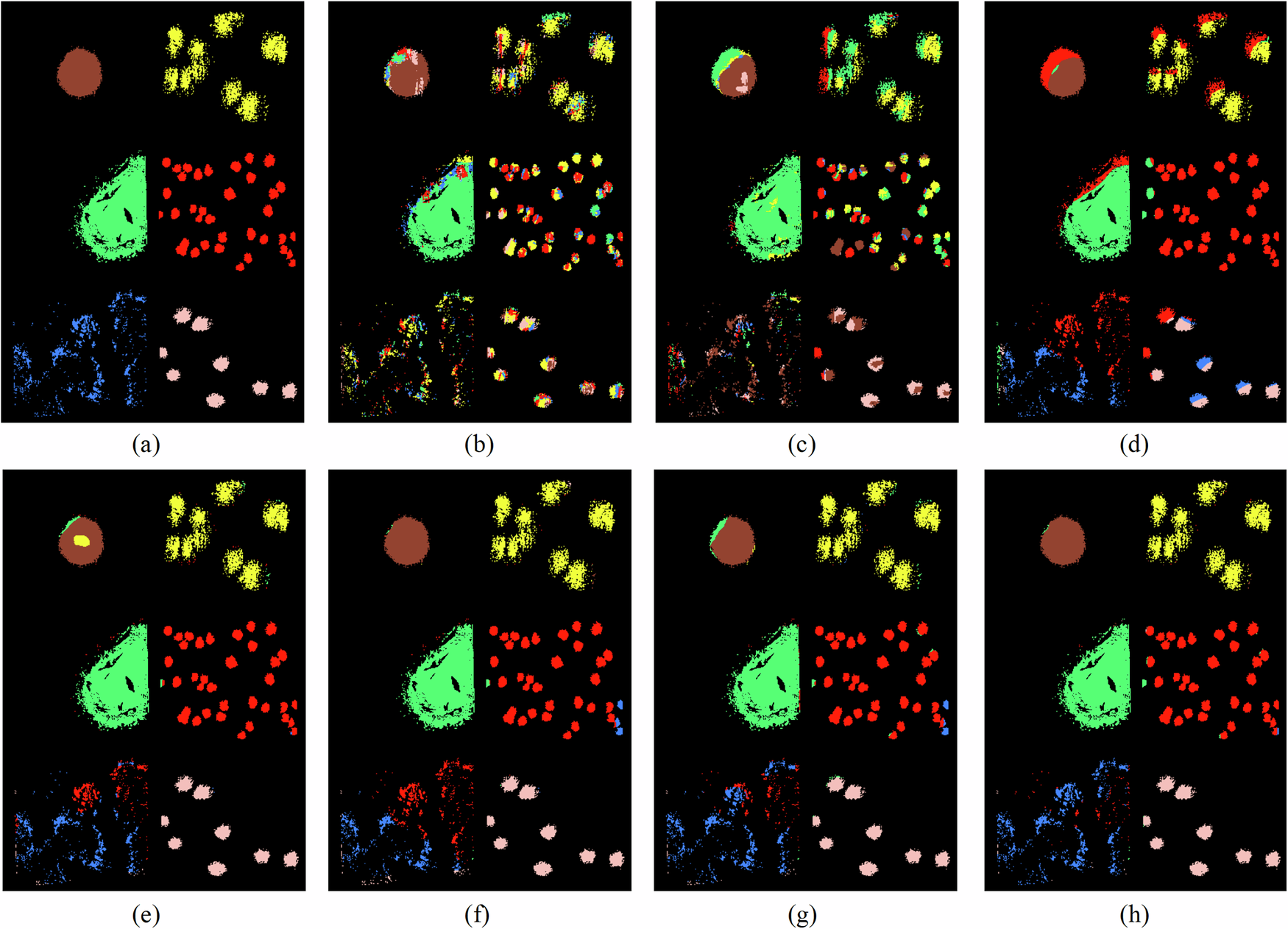
Fig. 9: Comparison of classification results.
From: Mold spot detection for paper artifacts based on multimodal feature fusion

a Ground truth map. b Result from SVM(OA = 45.99%). c Result from 1-D-CNN(OA = 50.85%). d Result from 2-D-CNN(OA = 72.46%). e Result from Spectralformer (OA = 91.99%). f Result from SSFTT(OA = 92.80%). g Result from HybridSN (OA = 94.95%). h Result from TPMFN (OA = 98.78%).