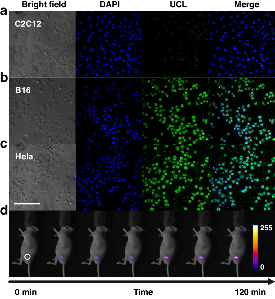
Fig. 7: The application of UCNPs/CuxOS@ZIF nanoprobes in vivo.

a–c Confocal images of C2C12 cells, B16, and HeLa cells with UCNPs/CuxOS@ZIF. Scale bar = 200 µm. d Images of tumor-bearing mouse at different times after UCNPs/CuxOS@ZIF injection under 980 nm laser irradiation