Correction to: Acta Pharmacologica Sinica https://doi.org/10.1038/s41401-018-0194-4, published online 19 December 2018
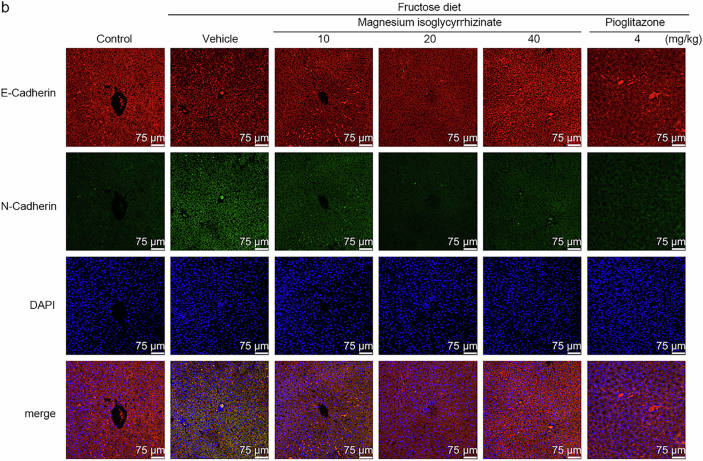
The authors regret to report errors in the paper published. We found unintentional misassembly of HE, Masson and Sirius red images in Fig. 1e, Immunohistofluorescence of E-Cadherin and N-Cadherin images iśn Fig. 2b, Vimentin images in Fig. 3d, mismarked groups in Fig. 3b and 3d, and mismarked statistical significance levels in Fig. 9c. These wrong images and information are replaced by right ones of the same batch. However, these errors will not affect the correctness of the results of the paper.
The correct data were shown below:
Fig. 1e

Fig. 2b

Fig. 3b, 3d

Fig. 9c

Author information
Authors and Affiliations
Corresponding authors
Rights and permissions
About this article
Cite this article
Yang, Yz., Zhao, Xj., Xu, Hj. et al. Correction: magnesium isoglycyrrhizinate ameliorates high fructose-induced liver fibrosis in rat by increasing miR-375-3p to suppress JAK2/STAT3 pathway and TGF-β1/Smad signaling. Acta Pharmacol Sin 47, 545–548 (2026). https://doi.org/10.1038/s41401-025-01656-x
Published:
Version of record:
Issue date:
DOI: https://doi.org/10.1038/s41401-025-01656-x