Extended Data Fig. 1: Flp-based hepatocyte fate tracing.
From: De novo formation of the biliary system by TGFβ-mediated hepatocyte transdifferentiation

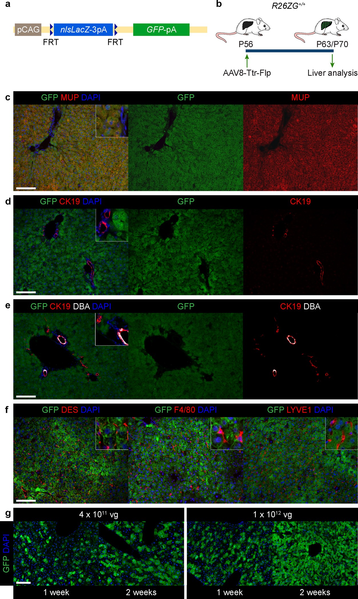
a, R26ZG allele. b, Experimental design for establishing efficient, specific and constitutive labelling of hepatocytes in normal adult R26ZG+/+ mice. c–f, Immunofluorescence of R26ZG+/+ mouse liver (n = 2) for GFP and the hepatocyte marker major urinary protein (MUP) (c), peripheral and hilar cholangiocyte marker CK19 (d, e), hilar cholangiocyte marker DBA (e), hepatic stellate cell marker desmin (DES), macrophage marker F4/80 and endothelial cell marker LYVE1 (f) 2 weeks after intravenous injection of 1 × 1012 viral genomes (vg) of AAV8-Ttr-Flp. g, Reporter activation in R26ZG+/+ mice 1 and 2 weeks after intravenous injection of the indicated dose of AAV8-Ttr-Flp (n = 1 for each dose and time point). Scale bars, 100 µm.