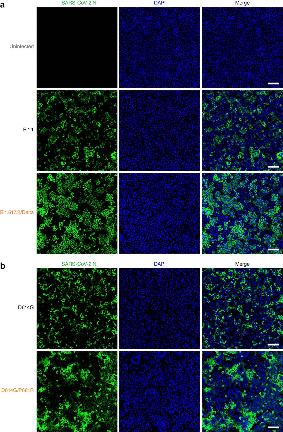
Extended Data Fig. 3: Immunofluorescence staining of SARS-CoV-2-infected VeroE6/TMPRSS2 cells.
From: Enhanced fusogenicity and pathogenicity of SARS-CoV-2 Delta P681R mutation

VeroE6/TMPRSS2 cells were infected with the B.1.1 or B.1.617.2/Delta (a) or artificially generated D614G or D614G/P681R (b) viruses [multiplicity of infection (MOI) 0.01]. The cells were stained with anti-SARS-CoV-2 nucleocapsid (N) (green) and DAPI (blue). Representative images taken at 24 h.p.i. Bars, 50 μm.