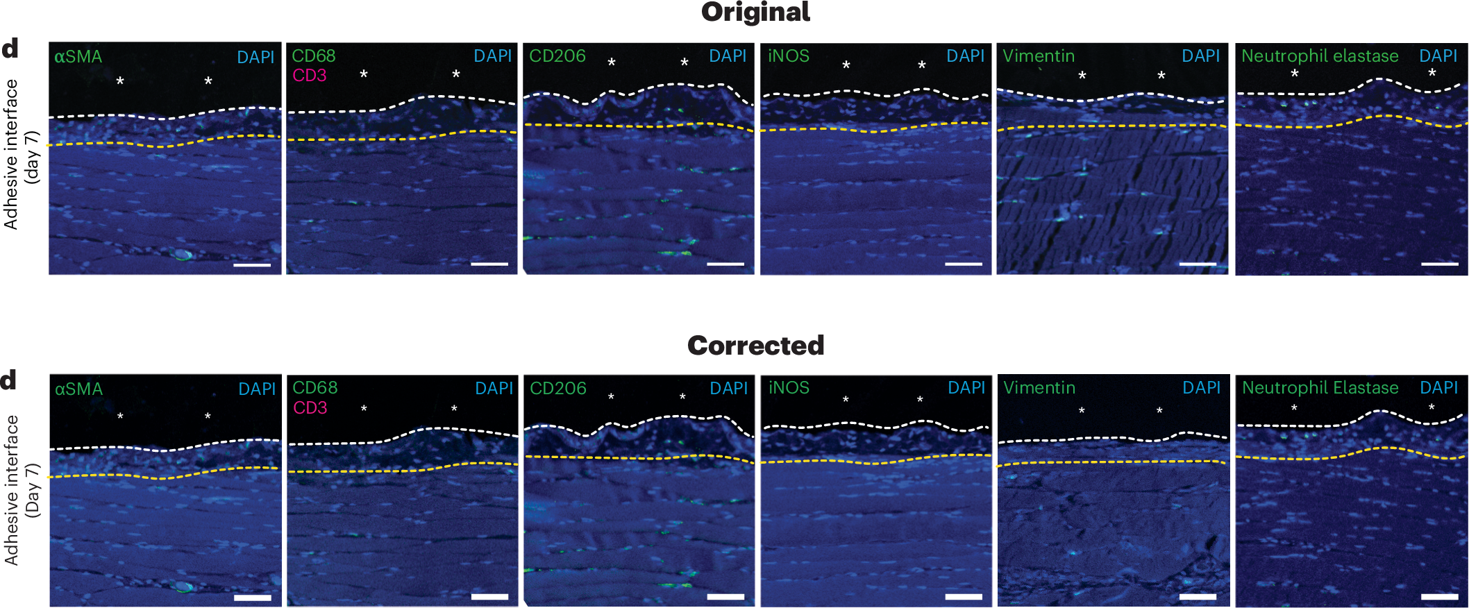
Fig. 1: Original and corrected Fig. 3d | Nature