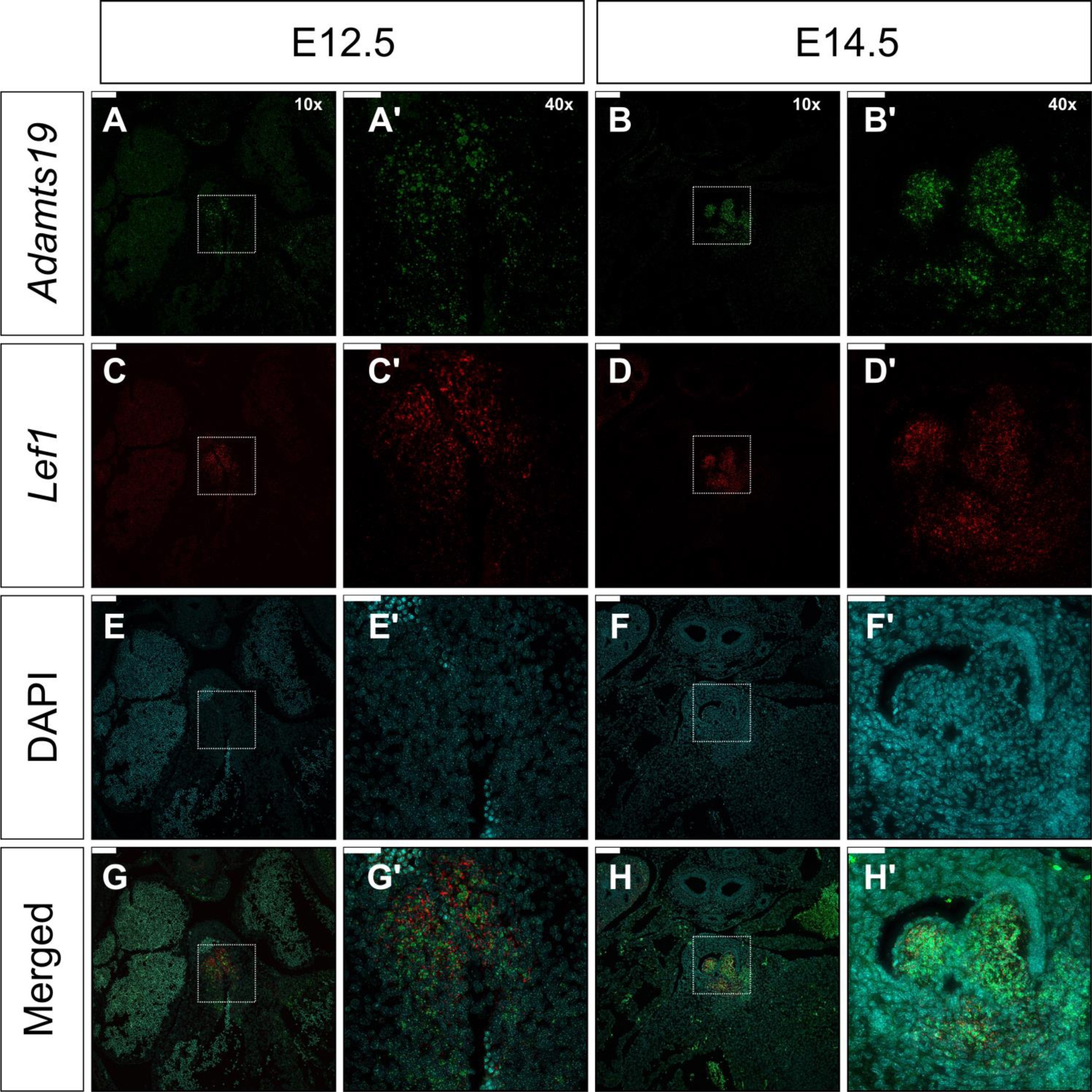
Supplementary Fig. 12: Fluorescent RNA in-situ hybridization for Adamts19 and Lef1 in mouse aortic valves at E12.5 and E14.5.
From: Loss of ADAMTS19 causes progressive non-syndromic heart valve disease

A, A’) RNAscope for Adamts19 at E12.5 shows weak positive staining in the cardiac cushions of the outflow tract. B, B’) Strong positive staining is observed for Adamts19 RNA in the aortic valve mesenchyme at E14.5. C, C’) Lef1 in-situ hybridization on the same slide as Adamts19 shows positive Lef1 staining in the same cells as Adamts19 at E12.5. D, D’) Similar, at E14.5, Lef1 expression is observed in VICs of the aortic valve at E14.5. E - F’) DAPI staining of DNA for corresponding slides A-D’. G-H’) Merged composite images of Adamts19, Lef1 and DAPI staining. RNAscope detects single molecules of RNA and therefore color signals for Adamts19 and Lef1 don’t exactly overlap despite co-expression in the same cells. A’-H’ represent magnified views of areas marked by dashed boxes in 10x images. Histological staining was replicated in 3 independent mice.