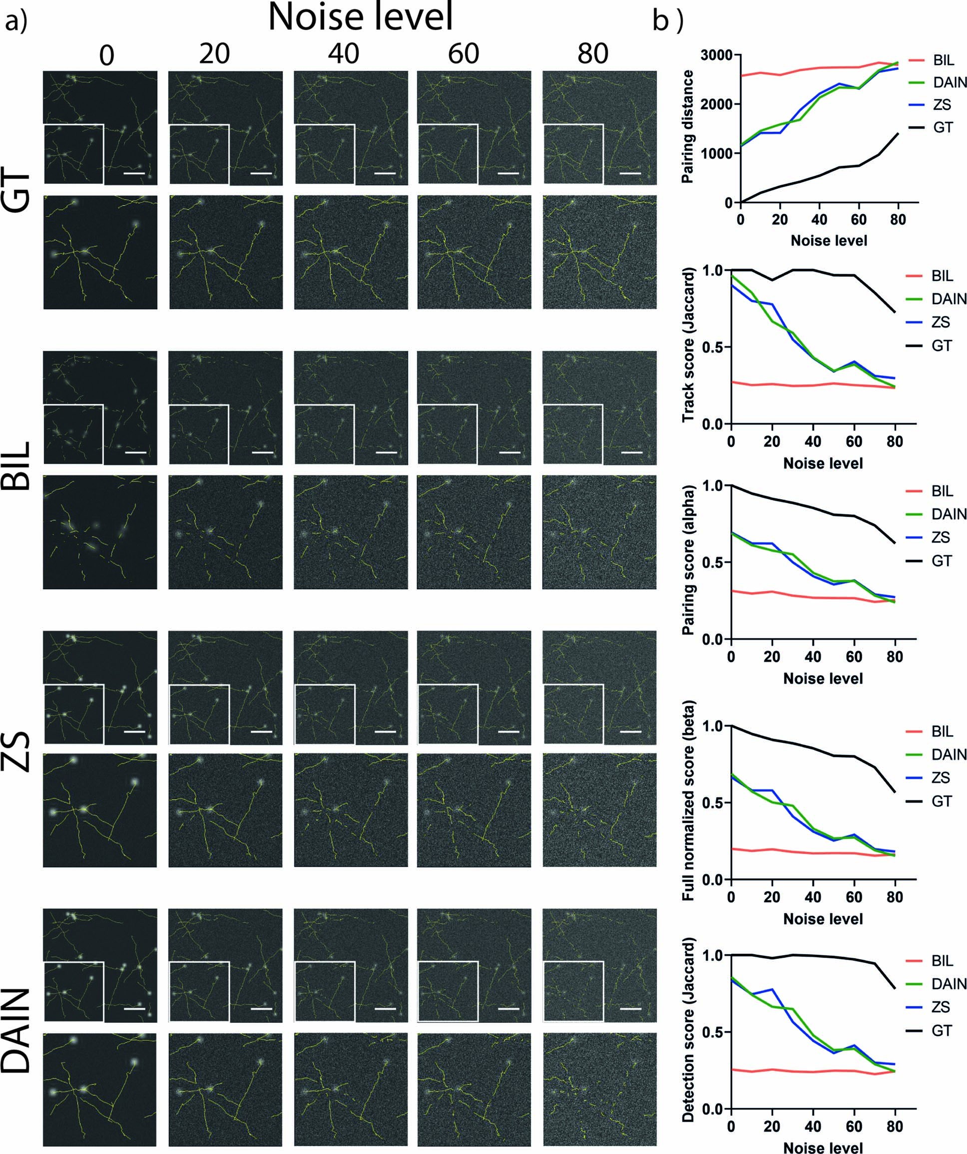
Extended Data Fig. 6: Tracking experiment on noised simulated data.

Tracking of noised simulated particle dataset. a) Simulated particle dataset generated with ICY track generator40 with different levels of noise added with Fiji36 were tracked with TrackMate35 after interpolating with BIL, DAIN and ZS. GT described the comparison of the tracks of noised ground truth sequence to the real generated tracks. b) Five tracking evaluation metric results of simulated particles at different noise levels with BIL, DAIN and ZS interpolation (n=45 images averaged).