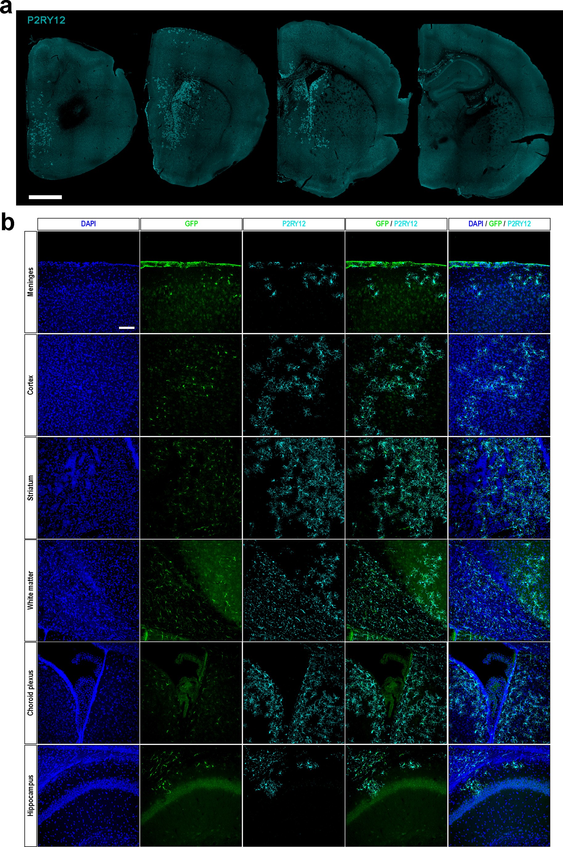
Extended Data Fig. 2: H9-microglia showed a widespread distribution across multiple areas of the brain.
From: Stem-cell-derived human microglia transplanted in mouse brain to study human disease

(a) Representative overview of the extent of H9-microglia graft in the mouse brain. Human microglia are stained for P2RY12 across consecutive sections separated by 500 μm to capture multiple anatomical areas. Scale bar, 1mm. (b) Higher magnification images of multiple anatomical areas including meninges, cortex, striatum, white matter, choroid plexus and hippocampus. Labelling shows DAPI (in blue), GFP (in green) and P2RY12 (in cyan). Images are representative of a staining performed in n=4 mice. Scale bar, 100 μm.