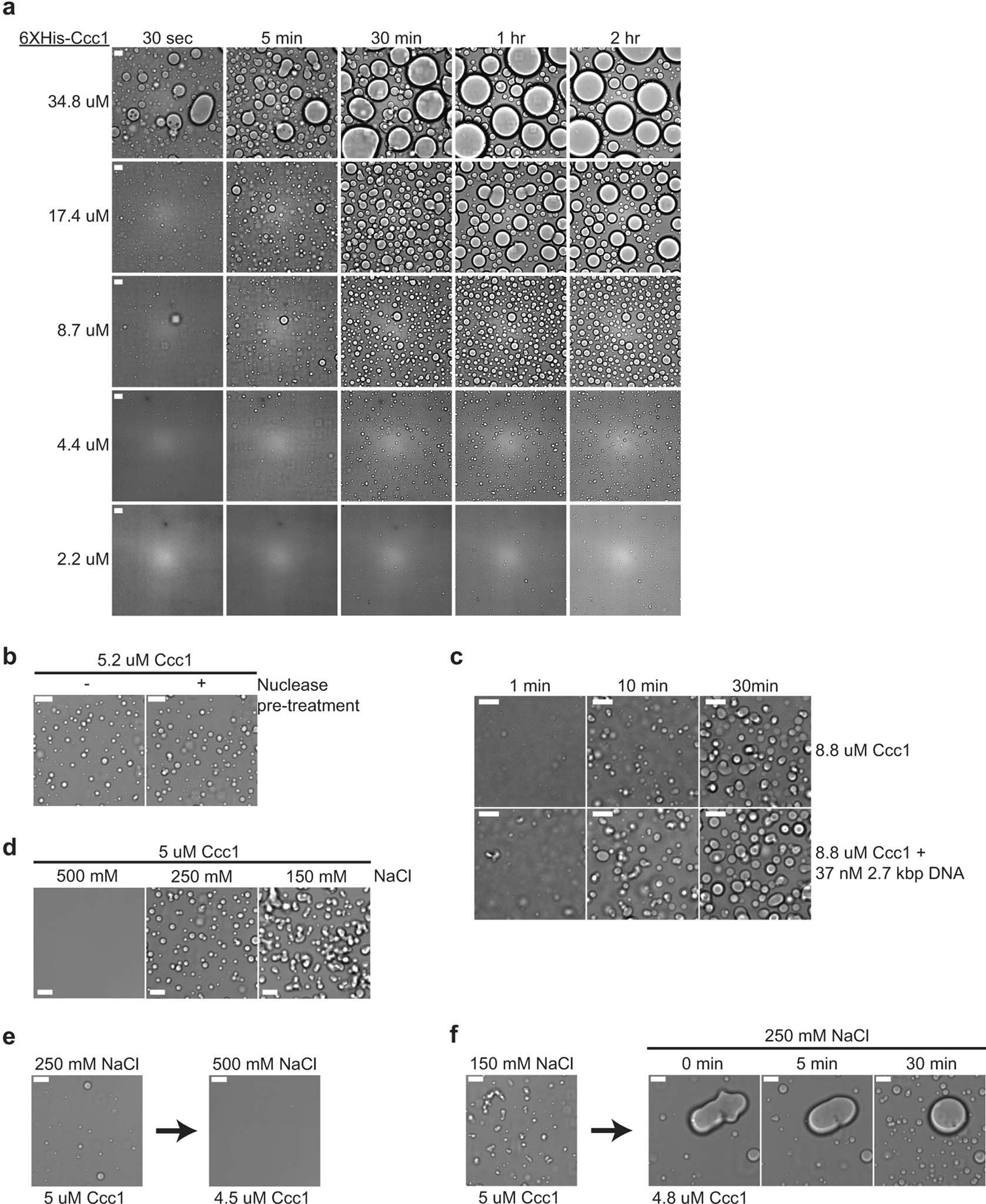
Extended Data Fig. 3: Ccc1 undergoes phase separation in vitro and forms liquid-like droplets.
From: Intrinsic mesoscale properties of a Polycomb protein underpin heterochromatin fidelity

(a) DIC images of concentration-dependent wild-type Ccc1 condensate formation in 20 mM HEPES, pH 7.5, and 250 mM NaCl. Scale bars, 10 µm. (b) Ccc1 condensate formation with or without prior nuclease treatment. For nuclease treatment, 20 µl of 20 µM Ccc1 was incubated with 1 µl of TURBO DNase (2 U/µl) and 1 µl of RNase A (10 mg/ml) at RT for 1 h. Scale bars, 10 µm. (c) Ccc1 condensate formation in the presence of 2.7 kbp DNA. Scale bars, 10 µm. (d) Salt-dependent Ccc1 condensate formation. Phase separation of 5 µM Ccc1 was induced for 30 min in 20 mM HEPES, pH 7.5, buffer containing 500, 250, and 150 mM NaCl. Scale bars, 10 µm. (e) Salt-dependent reversibility of Ccc1 condensate formation. After 10 min induction of condensate formation in 20 mM HEPES, pH 7.5, and 250 mM NaCl, NaCl concentration of buffer was adjusted to 500 mM. Scale bars, 10 µm. (f) After 10 min induction of condensate formation in 20 mM HEPES, pH 7.5, and 150 mM NaCl, NaCl concentration of buffer was adjusted to 250 mM. Scale bars, 10 µm. Data are representative of three (a, d, e, f) or two (b, c) independent experiments.