Figure 8
From: Efficient scalable production of therapeutic microvesicles derived from human mesenchymal stem cells

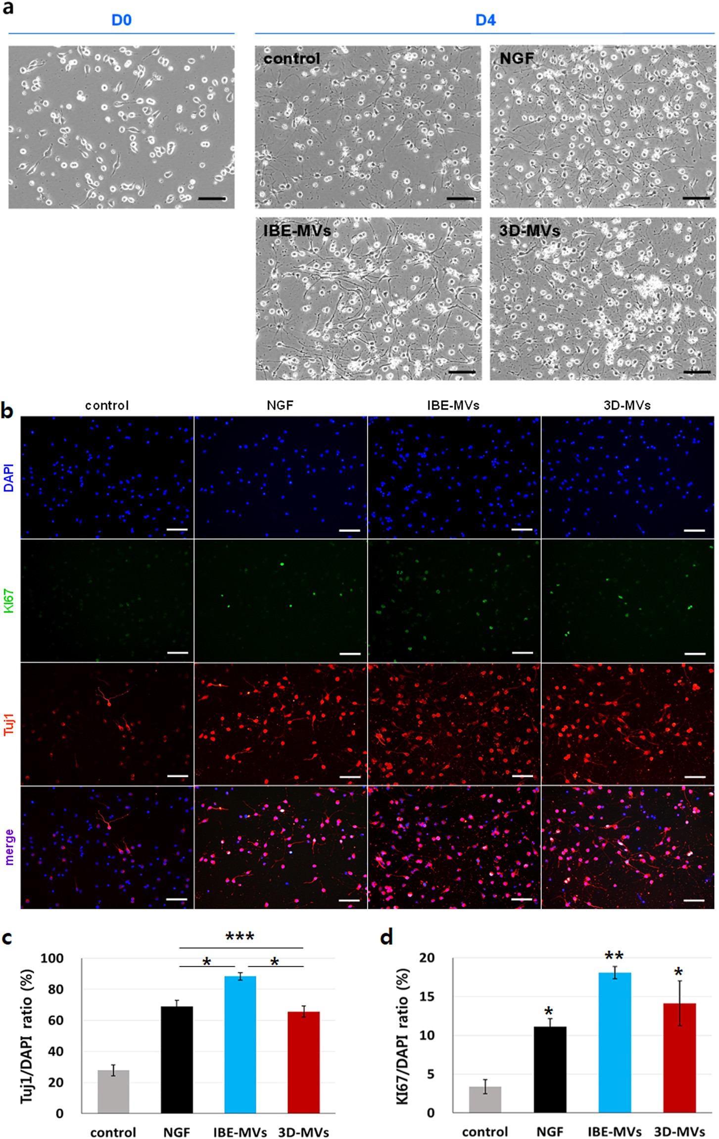
Neurogenic stimulation via MV supplementation. (a) Phase contrast images of the resulting neurogenic stimulation of MVs. 3 μg/mL of IBE-MVs and 3D-MVs were added to primarily cultured NSCs. Neural differentiation on D4 was compared with that in control (basal medium) and NGF-treated groups. The size bars indicate 100 μm. (b) Fluorescent image analyses of Tuj1 expression in NSCs along with Ki67 expression that denoted proliferating cells. The size bars indicate 100 μm. (c) Stimulated neurogenic differentiation of NSCs on D4 was quantified by counting cells positive for Tuj1 and normalized to DAPI-stained cells. IBE-MVs showed the highest capacity for stimulating neurogenic differentiation. 3D-MVs also induced neurogenic differentiation at a significantly higher level than the control as comparable to the NGF-treated group. (d) Proliferating NSCs on D4 were quantified by counting cells positive for Ki67 and normalized to DAPI-stained cells. IBE-MVs generally showed the greatest proliferation capacity, while 3D-MVs and NGF-treated groups were significantly higher than the control. Data are presented as the mean ± SEM. Differences among groups were evaluated by one-way ANOVA at a level of significance of p < 0.001 (***), 0.001 < p < 0.01 (**), or 0.01 < p < 0.05 (*).