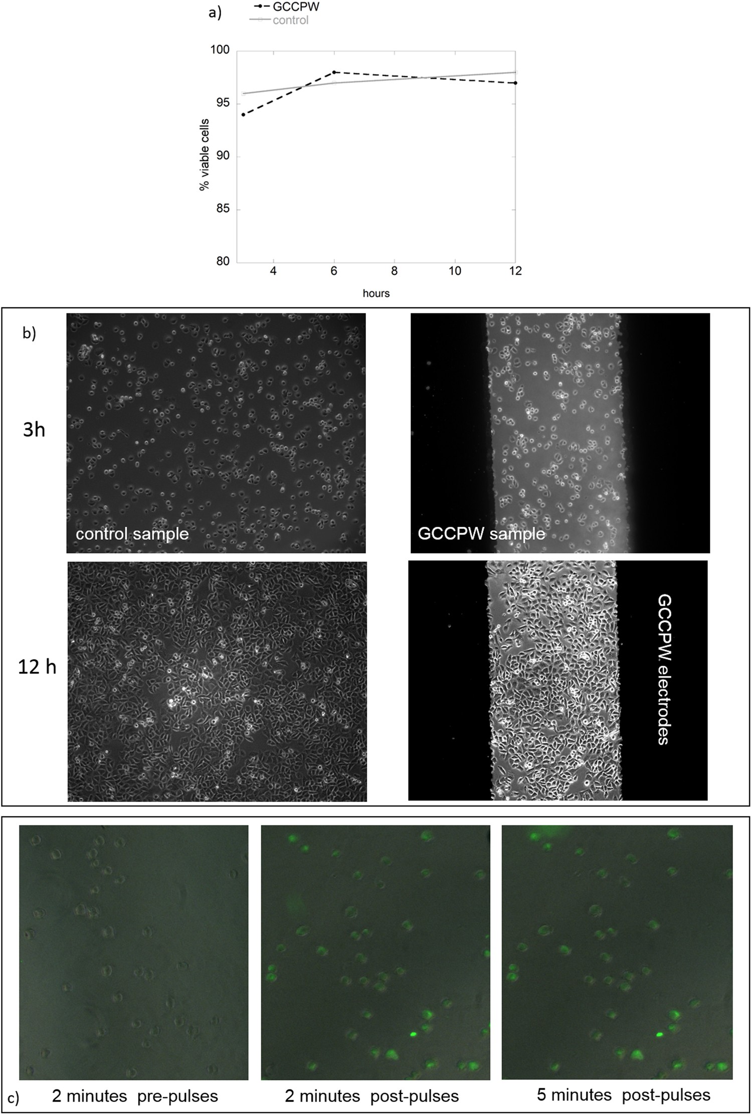
Figure 5
From: A wide-band bio-chip for real-time optical detection of bioelectromagnetic interactions with cells

(a) Cell viability (average over three experiments) after 3, 6, and 12 hours of plating on a standard Petri dish or over the GCCPW electrodes. (b) Phase contrast images of the DC-3F cells after 3 and 12 hours of culture on a standard Petri dish or over the GCCPW electrodes. (c) Fluorescence images of the permeabilized haMSC cells.