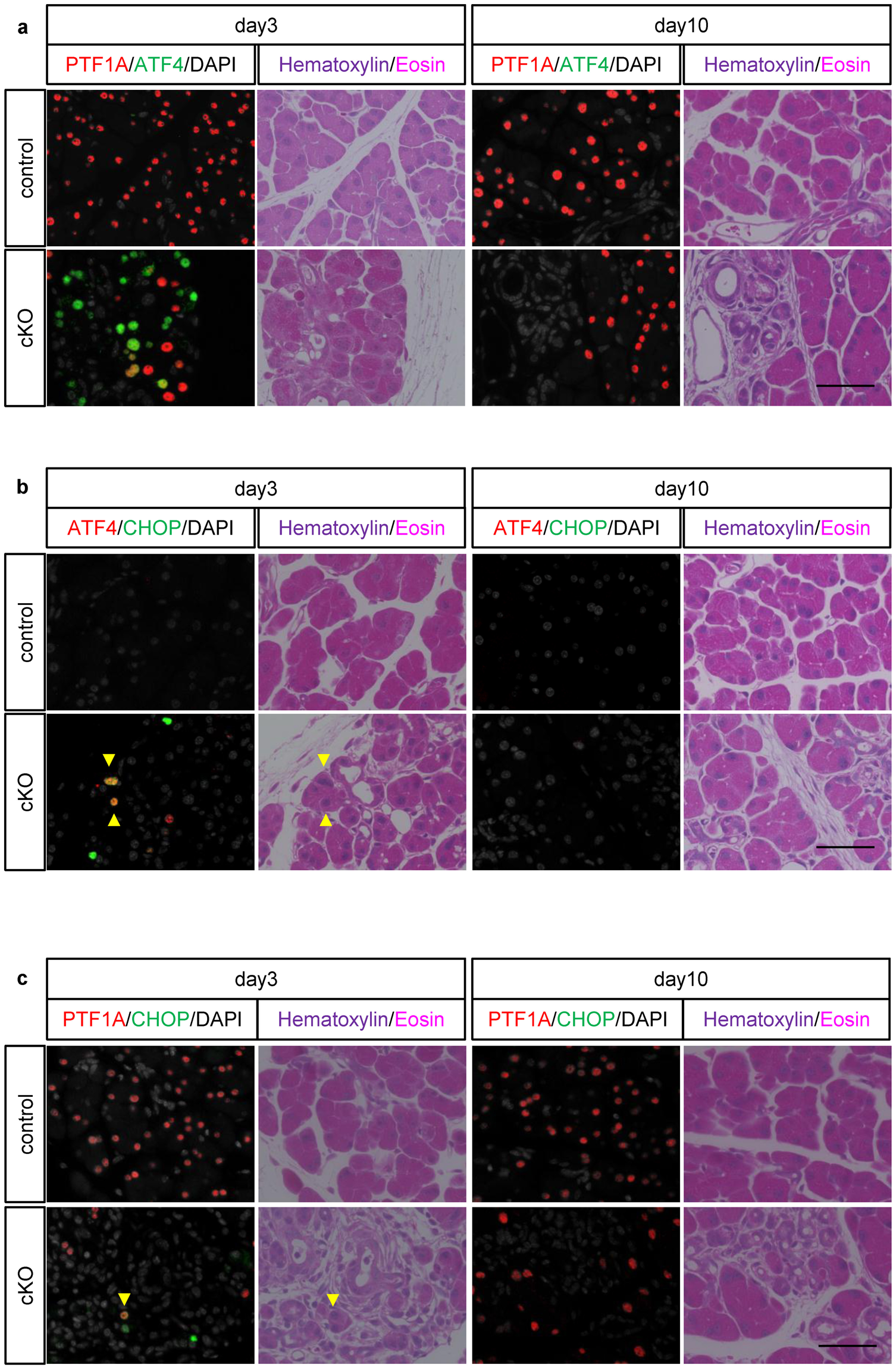
Figure 6

ATF4 and CHOP were upregulated in Ptf1a cKO mice on day 3 but recovered by day 10. Immunofluorescence of (a) PTF1A and ATF4 (b) ATF4 and CHOP, and (c) PTF1A and CHOP with hematoxylin-eosin staining on days 3 and 10. Arrowheads indicate CHOP and ATF4 double positive nuclei in (b) or a PTF1A and CHOP double positive nucleus in (c). Hematoxylin-eosin was stained on the same sections after immunofluorescence. Scale bars = 50 μm.