Figure 9
From: Eco-friendly nanocomposites derived from geranium oil and zinc oxide in one step approach

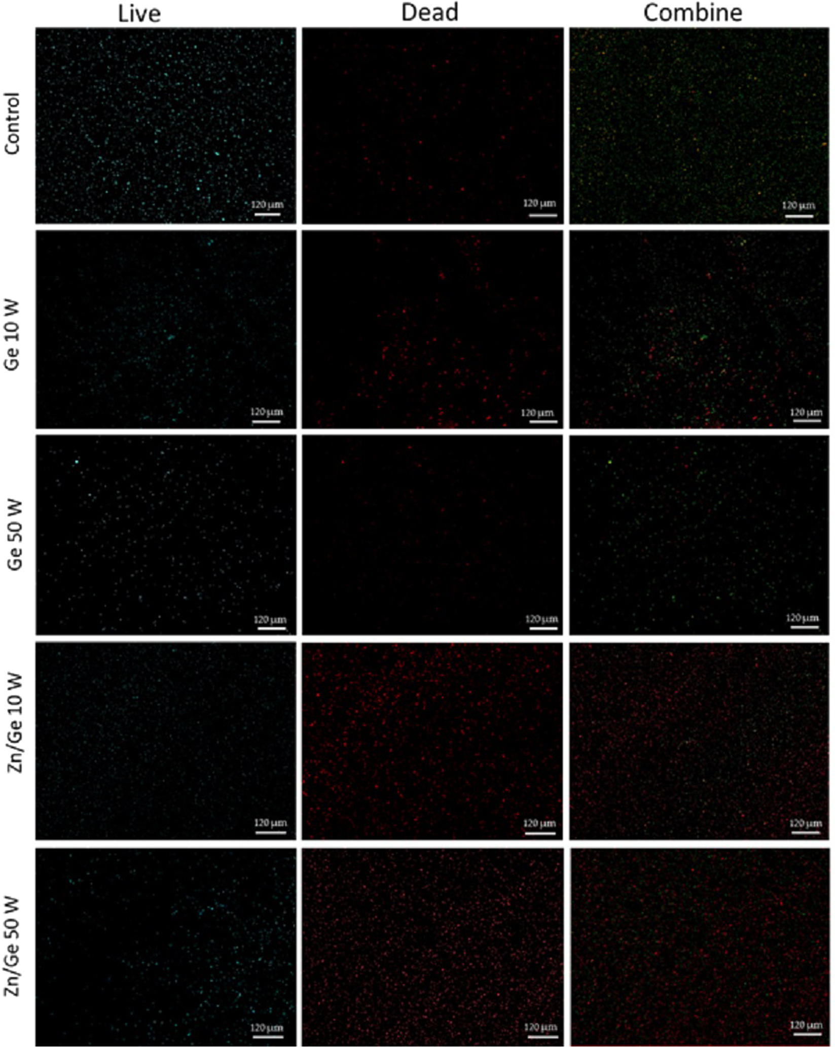
Confocal scanning laser microscopy images of E.coli on control, Ge 10 W, Ge 50 W, Zn/Ge 10 W and Zn/Ge 50 W visualize viable cells stained green and dead cells stained red with the Invitrogen Dead/Live Kit.