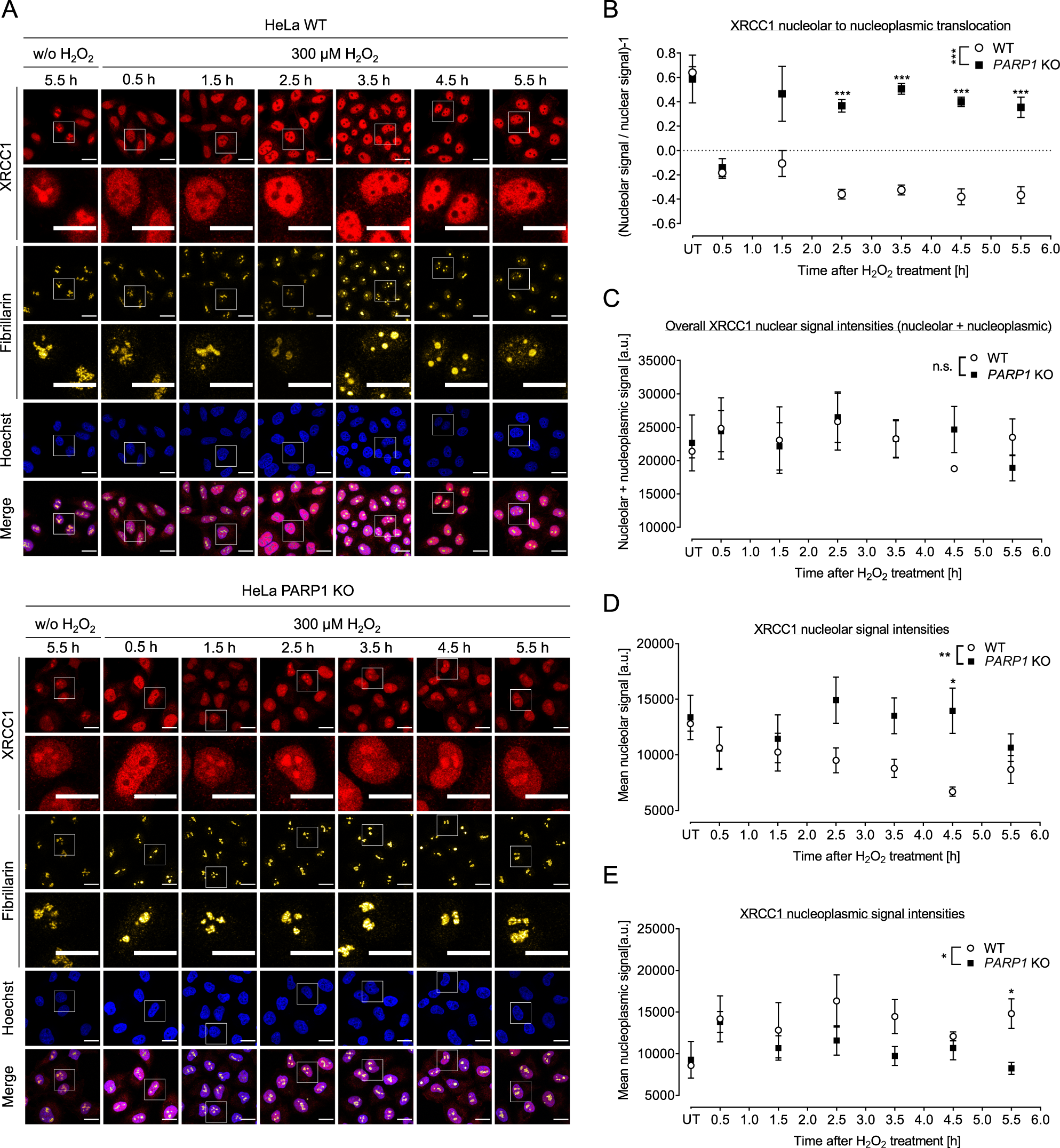
Figure 4

H2O2-induced XRCC1 translocation from nucleoli to the nucleoplasm is PARP1-dependent. HeLa WT and PARP1 KO cells were left untreated or treated with 300 µM H2O2 for periods as indicated. Samples were then subjected to immunofluorescence staining for XRCC1 and fibrillarin and subsequently analyzed by confocal microscopy. White frames indicate magnified image sections. (A) Representative images are shown. (B) Ratios of XRCC1 nucleolar to nucleoplasmic signal intensities as evaluated by automated image analysis of microscopic data using a KNIME workflow as described in the ‘material and methods’ section and in Suppl. Fig. 8. (C) Analysis of overall nuclear signal intensities (nucleolar plus nucleoplasmic signals). (D) Analysis of nucleolar signal intensities. (E) Analysis of nucleoplasmic signal intensities. Data are means ± SEM of three independent experiments. Statistical analysis was performed by 2-way ANOVA testing. Brightness and contrast were adjusted for better visibility. Scale bars represent 20 µm. ‘UT’ indicates ‘untreated’.