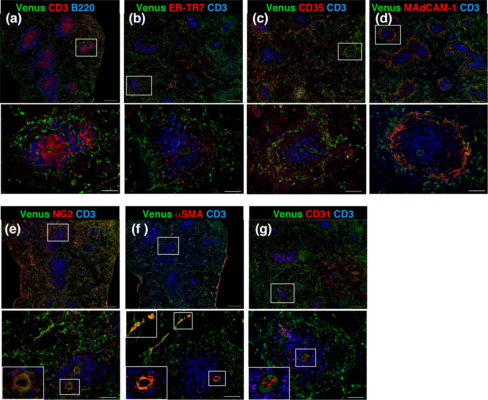
Figure 2

Tlx1 is expressed in red pulp stromal cells surrounding the follicles and in periaortic mural cells of the neonatal spleen. (a–g) Representative tissue section images of Venus+ cells in the spleen of Tlx1CreER-Venus mice (P7). Tissue sections were stained with the indicated antibody combinations. Higher magnification images (lower panels) are indicated by an inserted rectangle in the upper images. Scale bars indicate 100 μm and 50 μm in upper and lower panels, respectively. (n = 5).