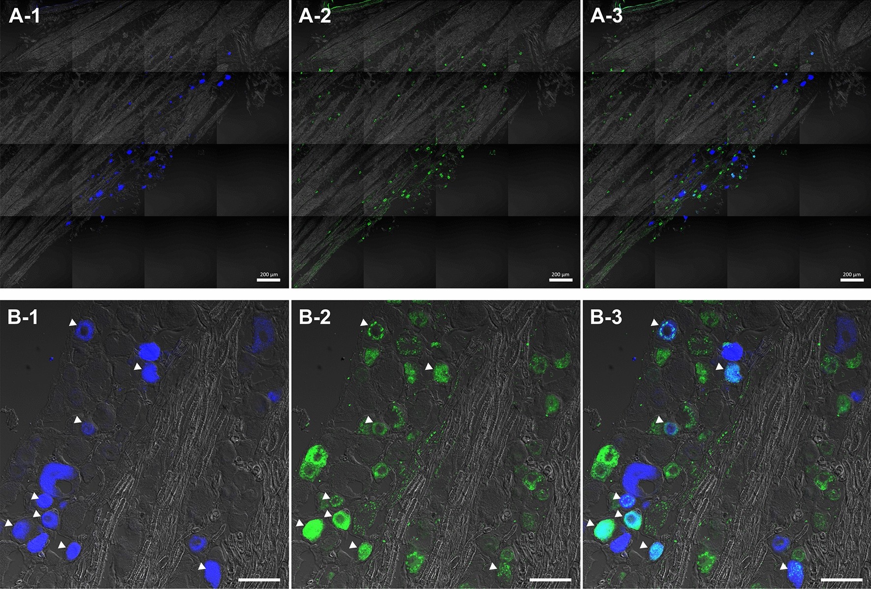
Figure 4

Fast-blue retrograde labelled cells and substance P-immunoreactivity in the trigeminal ganglion (A-1) Fast-blue (FB) dye was applied to the corneal surface, which transported retrogradely along the axonal fibres. FB-labelled cells in the trigeminal ganglion, which represent primary sensory neurons innervating the cornea, were localised in the ophthalmic division of trigeminal ganglion. (A-2) Substance P (SP, green) was identified throughout the trigeminal ganglion. (B-1, B-2) FB-labelled cells with SP (white arrows) and without SP were counted and their cross-sectional area was measured by referring to the merged phase-contrast image.