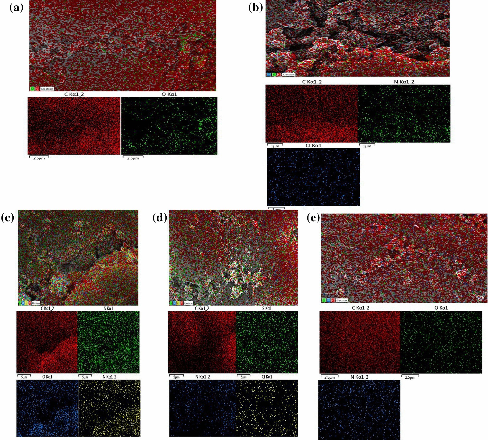
Figure 4

Elemental mapping of PA-12/PC nanocomposite (a), CR adsorbed PA-12/PC nanocomposite (b), BG adsorbed PA-12/PC nanocomposite (c), MB adsorbed PA-12/PC nanocomposite (d) and MR adsorbed PA-12/PC nanocomposite (e).

Elemental mapping of PA-12/PC nanocomposite (a), CR adsorbed PA-12/PC nanocomposite (b), BG adsorbed PA-12/PC nanocomposite (c), MB adsorbed PA-12/PC nanocomposite (d) and MR adsorbed PA-12/PC nanocomposite (e).