Figure 3
From: Neuropathologic and molecular aspects of a canine distemper epizootic in red foxes in Germany

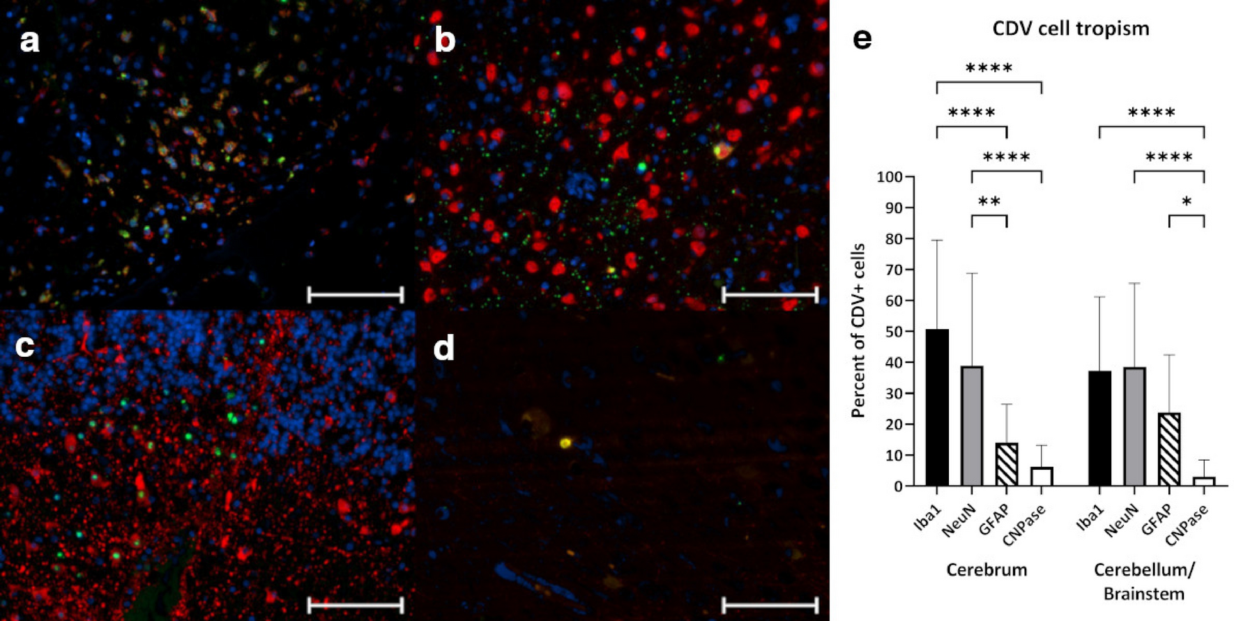
Cellular tropism of canine distemper virus in foxes. Detection of CDV N antigen (green) in (a) microglia/macrophages (Iba1, red), cerebrum. (b) neurons (NeuN, red), cerebrum. (c) astrocytes (GFAP, red), cerebellum. (d) oligodendrocyte (CNPase, red), cerebrum. (e) Percentage of infected cells displaying cell specific markers. Bars display mean values and standard deviations. Asterisks indicate statistical significance levels, * ≤ 0.05, ** ≤ 0.01, **** ≤ 0.0001 (a)–(d) immunofluorescence dual labeling, red: cellular marker, green: CDV N antigen, blue: nuclei. Scale bars = 100 µm.