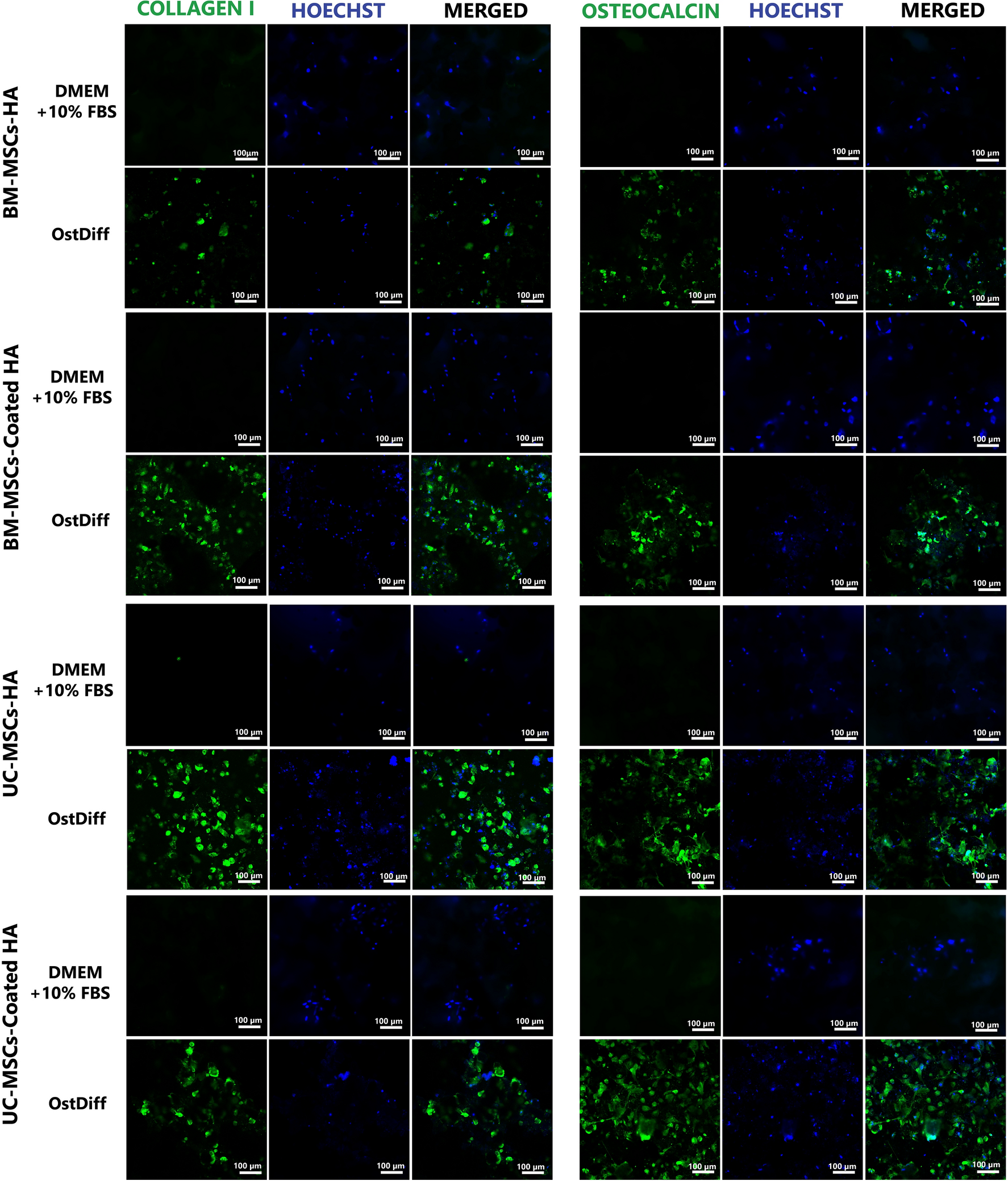
Figure 9

Immunofluorescent micrograph illustrated the expression of osteocalcin and collagen I in BM-MSCs and UC-MSCs cultured on the 3D-printed HA (HA) and coated 3D-printed HA (coated HA) for 21Â days.

Immunofluorescent micrograph illustrated the expression of osteocalcin and collagen I in BM-MSCs and UC-MSCs cultured on the 3D-printed HA (HA) and coated 3D-printed HA (coated HA) for 21Â days.