Figure 5
From: Rational design of phase separating peptides based on phase separating protein sequence of p53

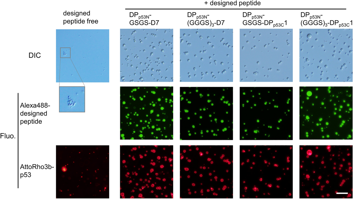
Recruitment of p53 into designed peptide droplets suppressed the formation of gel-like aggregates of p53. DIC and fluorescence images of the solution containing 1 mM designed peptides and 1.25 µM p53 (tetramer) in 45 mM NaCl at pH 5.5. For visualizing the localization, alexa488-labeled designed peptide and AttoRho3b-labeled p53 were added at a concentration of 0.1 µM. The scale bar denotes 20 μm. A region labeled with an ocher square has been enlarged.