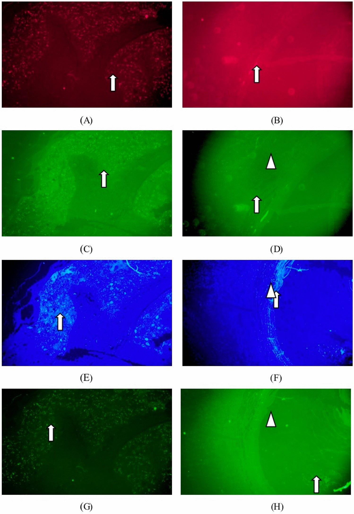
Figure 10
From: Mechanism of remodeling and local effects in vivo of a new injectable cosmetic filler

Immunofluorescence staining 52-week after implantation.
:collagen type I (red), collagen type III (green), DAPI (blue), matrix metalloproteinase 9 positive expression (bright green).. (A) Groups of test samples for 52W (Col. I immunofluorescence, × 40), (B) listed control at 52W (Col. I immunofluorescence, × 40), (C) test sample set 52W (Col. III immunofluorescence, × 40), (D) 52W of listed control (Col. III immunofluorescence, × 40), (E) test sample set 52W (DAPI immunofluorescence, × 40), (F) vehicle control at 52W (DAPI immunofluorescence, × 40), (G) test sample set 52W (MMP-9 immunofluorescence, × 40), (H) listed control 52W (MMP-9 immunofluorescence, × 40).