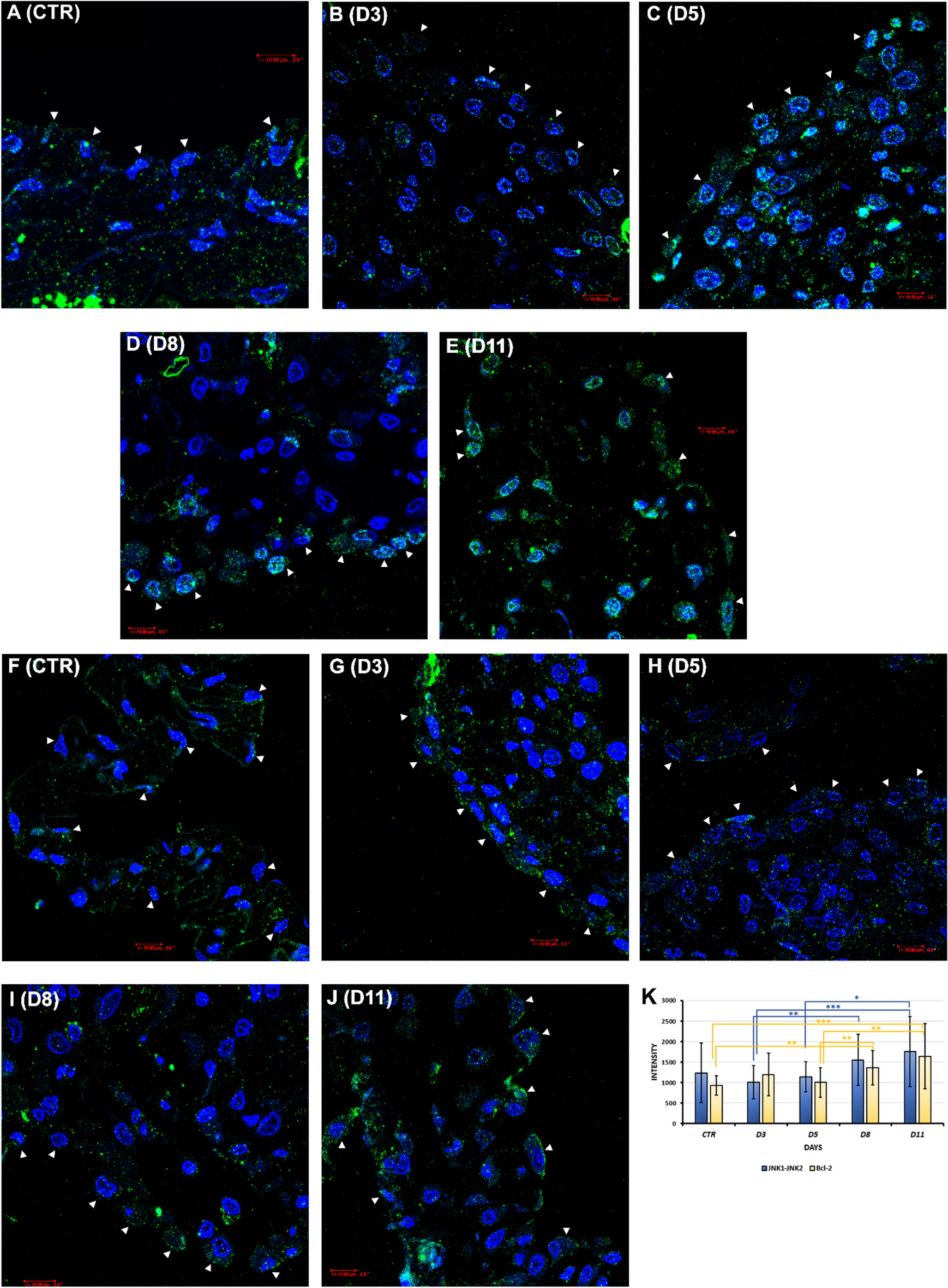
Figure 4

Examination of the expression of JNK1-JNK2 and Bcl-2 in relation to the non-canonical signal of BMPs during EMT-MET (IC). (A) JNK1-JNK2 expression could be detected in the untreated mesothelial cells (CTR). (B) The expression intensity did not change much on the 3rd day (D3), nice, punctate-like immunopositivity could be seen in the cells. (C–E) From the 5th day after Freund's adjuvant injection (D5, D8, D11), the expression of JNK1-JNK2 kinases was increased and remained intense with the end of the regeneration. The signal intensity of JNK1-JNK2 was so strong on these days that they were visible at the level of the cell nucleus. (F) Bcl-2 immunopositive cells could be observed in the mesothelial cells of the control mesentery (CTR). (G) The expression of Bcl-2 was increased on the 3rd day after Freund's adjuvant treatment (D3). (H) On the 5th day (D5), Bcl-2 signal intensity was slightly decreased, but it still showed definitive immunopositivity in the cytoplasm of the mesothelial cells. (I,J) With the beginning of the recovery, Bcl-2 was strongly expressed on day 8 and 11 (D8, D11). (K) Statistical analysis of JNK1-JNK2 and Bcl-2 signal intensities in mesothelial cells (*p < 0.05; **p < 0.01, ***p < 0.001). (The blue square brackets show the significant differences in the intensities of JNK1-JNK2, the yellow square brackets show the significant differences in the intensities of Bcl-2). (Arrowheads: mesothelial cells; blue: DAPI; green: (A–E) JNK1-JNK2, (F–J) Bcl-2; data of the statistical analyses and cell numbers of the groups are presented in Supplementary Table S4). Bar ~ 10.80 µm.