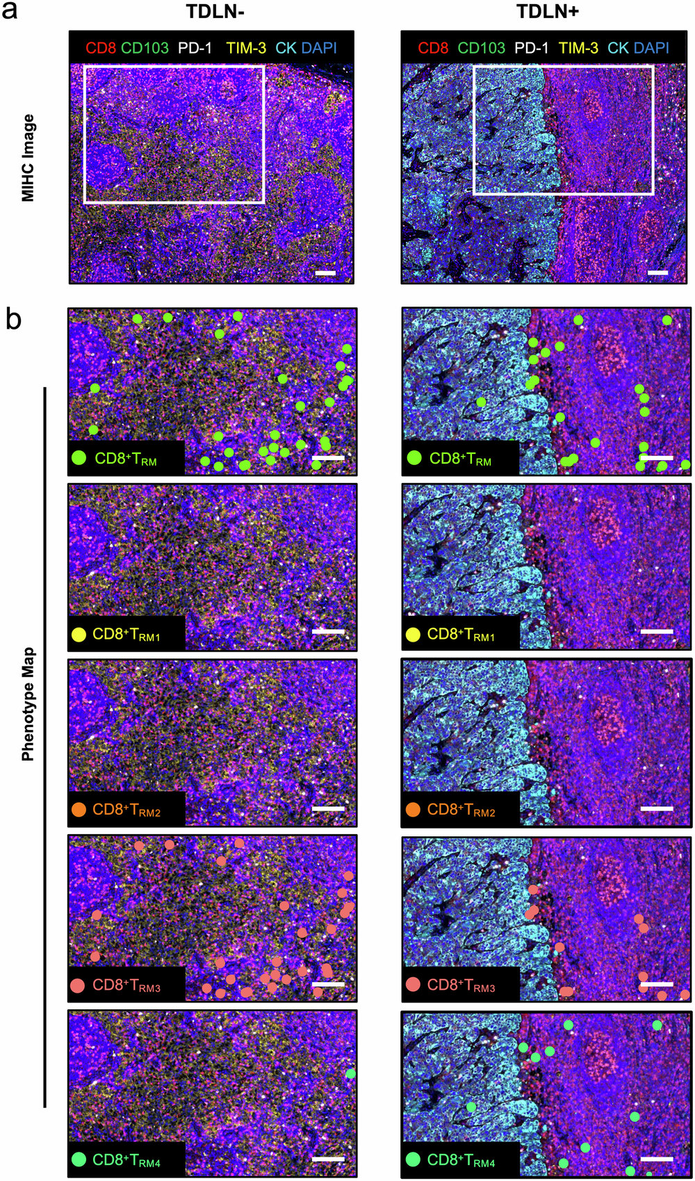
Fig. 3: Multiple immunohistochemical and cellular characterization images of negative tumor-draining lymph nodes (TDLN−) and positive TDLN (TDLN+).

Multiple immunohistochemical images of TDLN− and TDLN+ (a). Differences in infiltration of each CD8 subpopulation in lymph node specimens of TDLN− and TDLN+ (b). Scale bar, 100 μm. CD8+TRM CD8+ tissue-resident memory T cells, CD8+TRM1 PD-1−TIM-3−CD8+TRM, CD8+TRM2 PD-1+TIM-3−CD8+TRM, CD8+TRM3 PD-1−TIM-3+CD8+TRM, CD8+TRM4 PD-1+TIM-3+CD8+TRM.