Fig. 6
From: Action and mechanism of the colistin resistance enzyme MCR-4

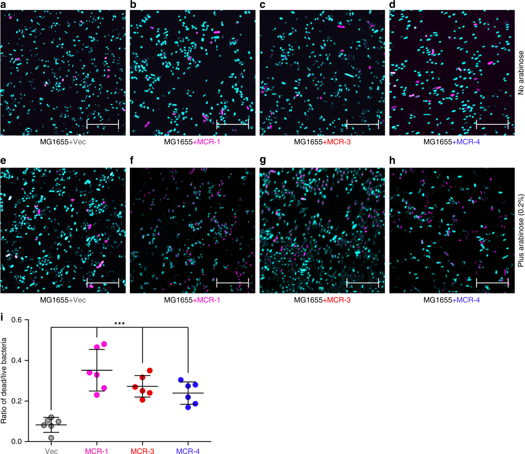
Effect on bacterial viability exerted by the expression of mcr-1/3/4 genes. Bacterial viability measured without the addition of arabinose to E. coli MG1655 having the empty vector pBAD24 (a), MCR-1 (b), MCR-3 (c) or MCR-4 (d). Bacterial viability measured with the addition of 0.2% arabinose to the derivatives of E. coli MG1655 having the empty vector pBAD24 (e), MCR-1 (f), MCR-3 (g) or MCR-4 (h). The scale of bar is 20 μm. i The relative quantitation of LIVE/DEAD E. coli strains expressing MCR-1/3/4 0.2% (w/v) L-arabinose was supplemented to activate the expression of mcr-1/3/4. Bacterial cells were stained with LIVE/DEAD kit, giving the images with confocal laser scanning microscopy. Turquoise and magenta refers to live and dead cell. One-way analysis of variance (ANOVA) was applied, which is followed by Tukey–Kramer multiple comparisons post hoc test36. Statistical significance was fixed at p < 0.001