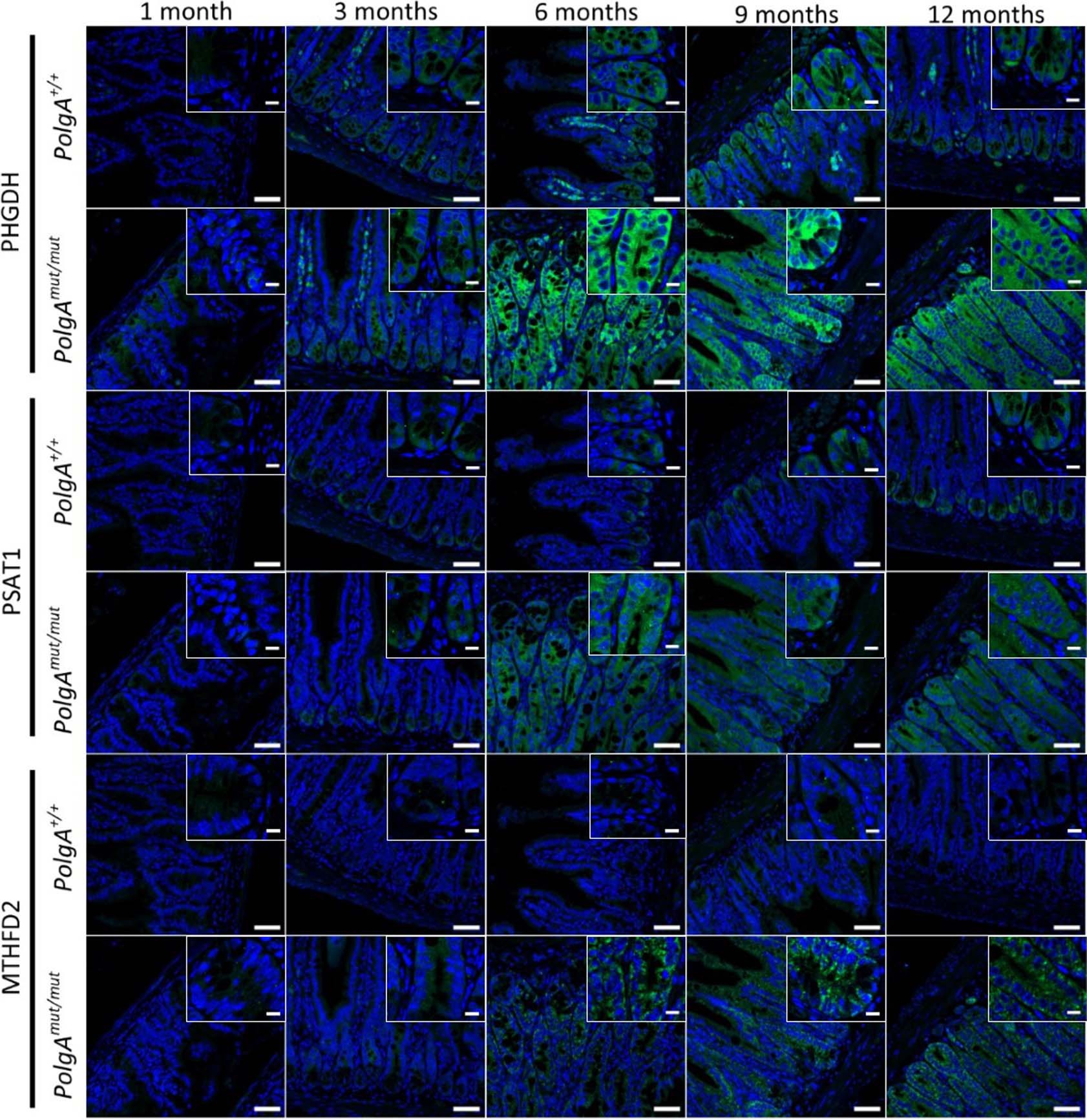
Extended Data Fig. 5: Immunofluorescent images showing the levels of PHGDH, PSAT1 and MTHFD2 in PolgA+/+ and PolgAmut/mut mice from 1–12 months of age.

Immunofluorescence was performed on n = 3 mice per group at each time point. Representative images are shown. Scale bars 50 µm.