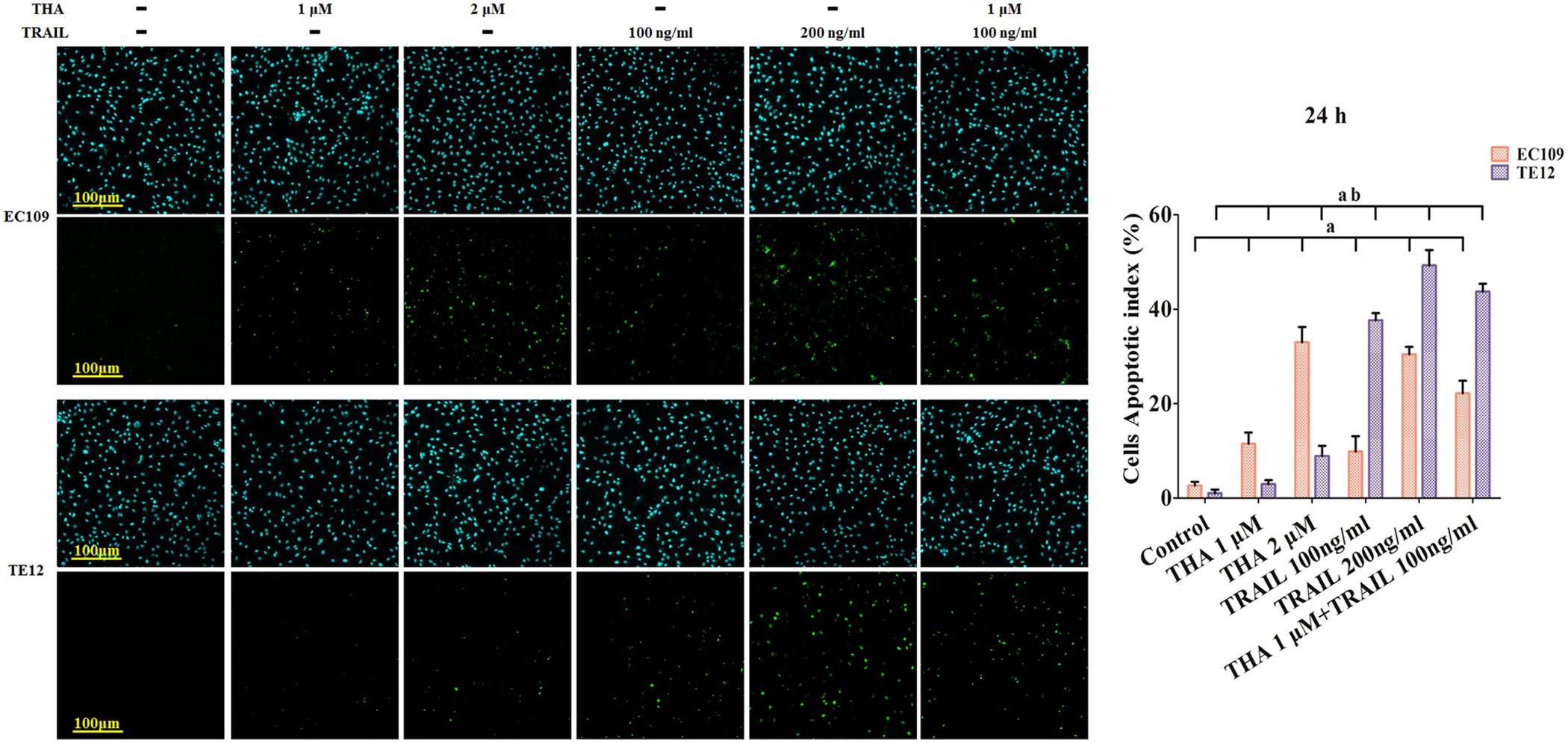
Figure 2
From: Thapsigargin sensitizes human esophageal cancer to TRAIL-induced apoptosis via AMPK activation

Thapsigargin and TRAIL co-treatment promote the apoptosis in human ESCC cells (24 h).
After treatment, a dose-dependent increase was observed in apoptosis, particularly in combined treatment group. The upper panel showed the cell nucleus (blue) and the lower panel showed the apoptotic cells (green), respectively. All of the results are expressed as the mean ± SD; n = 6. aP < 0.05 vs. the control group in EC109 cells, abP < 0.05 vs. the control group in TE12 cells.