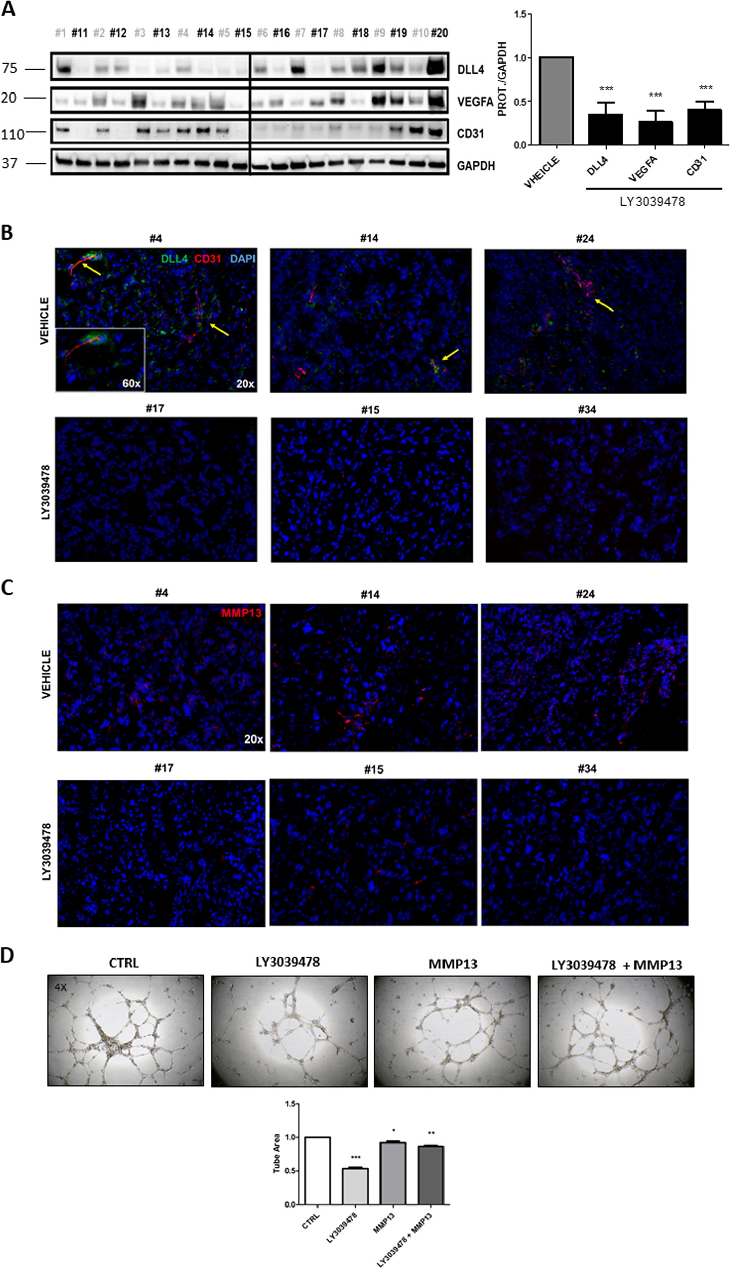
Fig. 6: LY3039478 inhibits VEGFA, CD31, and DLL4 expression in the iCCA PDX model.

a Western blot analysis and semiquantitative evaluation of DLL4, VEGFA, and CD31 expression in PDX mice tissues by densitometry analysis of protein bands reveals a downregulation of DLL4, VEGFA, and CD31 protein expression in PDX mice treated with GSI. The bands were measured compared with the housekeeping GAPDH protein band, for each tissue. Average value of DLL4, VEGFA, and CD31 expression levels among all mouse treated with LY3039478 or vehicle is reported in the graph. P value showed versus vehicle treatment. Tissues PDX mice n = 10 for vehicle treatment in gray, n = 10 for LY3039478 treatment in black. b Representative images with immunofluorescence staining show DLL4 and CD31 downregulation in representative images of PDX tissues treated with LY30349478. DLL4 (green) and CD31 (red) and overlapping staining (yellow) were immunolocalized in PDX tissues. The yellow arrows highlight the detail of the co-localization of DLL4 and CD31 in PDX tissues (#4, #14, #24) not treated with LY339478. DAPI, 4′,6‐diamidino‐2‐phenylindole. c Immunofluorescence staining with MMP13 in red and nucleus in DAPI shown a significantly reduction of MMP13 in iCCA PDX tissues treated with LY3039478. Magnifications: ×20; inset ×60. d Representative images demonstrate a significant (P < 0.001) destruction of the network created by the HUVECs following the treatment with LY3039478 (1 µM). The concomitant administration of MMP13 counteracts significantly (P < 0.01) drug effectiveness.