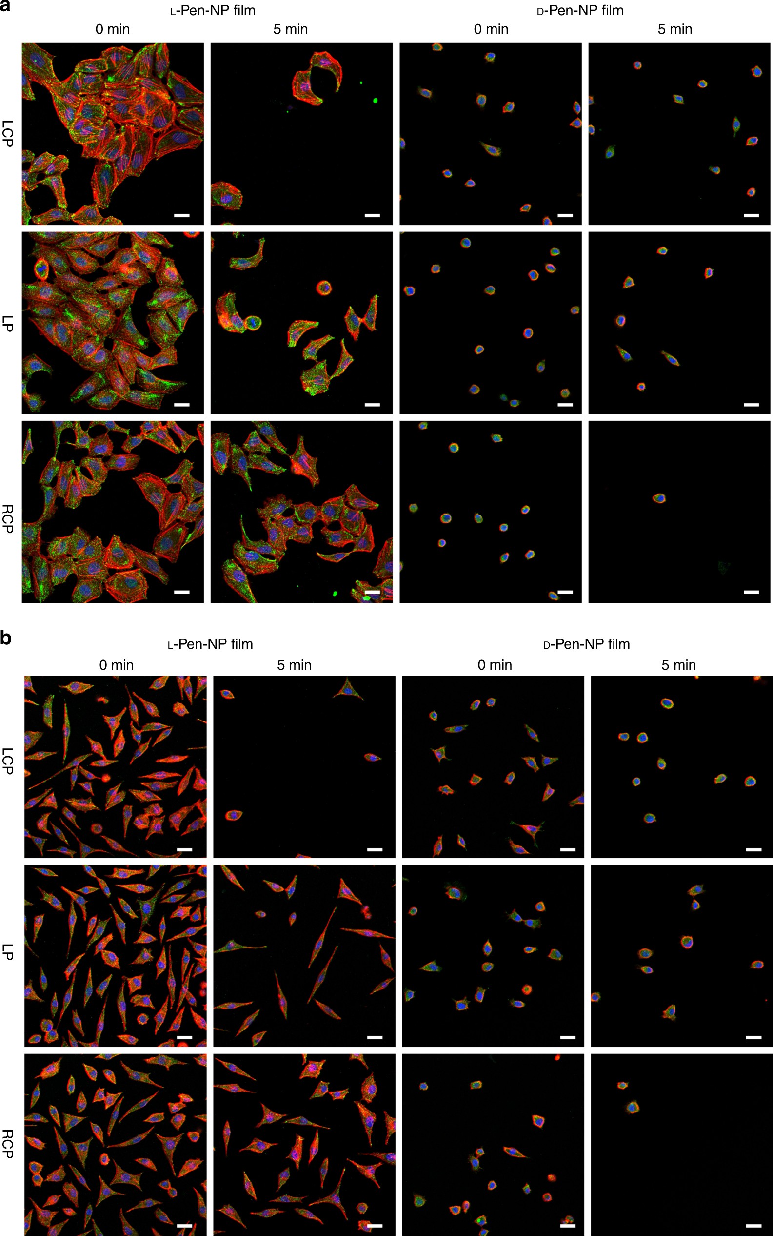
Fig. 6
From: Tuning the interactions between chiral plasmonic films and living cells

Circularly polarized light triggered HeLa and PCS-460-010 cells detachment. Confocal images of (a) HeLa cell and (b) PCS-460-010 cell grown on l/d-Pen-NP film upon circular polarized light irradiation (808 nm laser, 150 mW/cm2). Scale bar, 25 μm