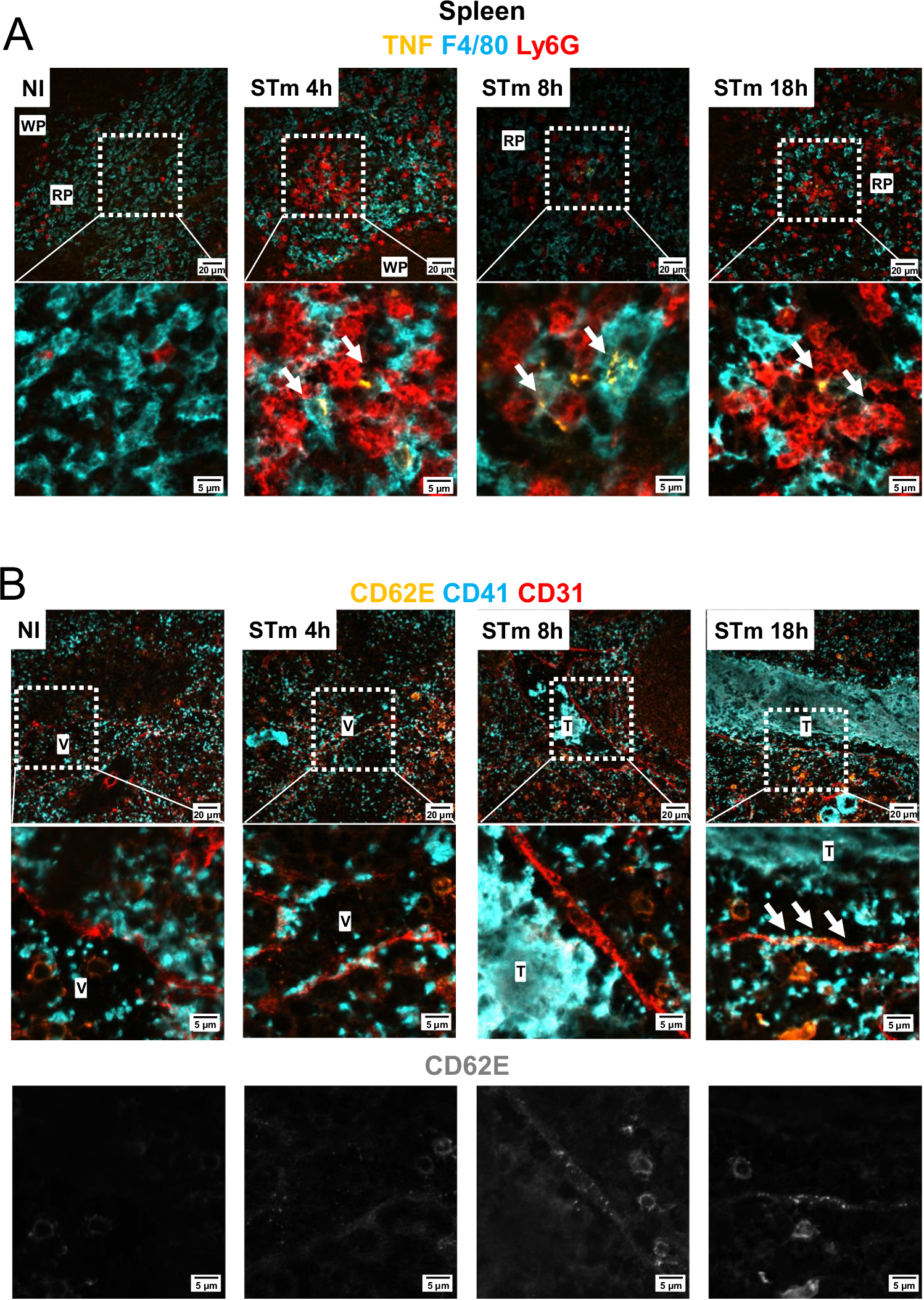
Fig. 6: Longitudinal expression of TNF and CD62E in the spleen after STm infection.

A Representative images of spleen sections from mice infected with 5 × 105 CFU STm SL3261 for 4 h, 8 h or 18 h. Sections were stained for TNF (yellow), Ly6G (blue) and F4/80 (red). The bottom row shows the area within the dotted white squares at a higher magnification. White arrows show positive TNF staining. B Spleen sections from (A) were stained for CD62E (yellow), CD41 (blue), CD31 (red). The central row shows the area within the dotted white squares at a higher magnification. The bottom row shows CD62E staining only (gray) from the above image. Non-immunized (NI) n = 4, 4 h n = 4; 8 h n = 3, 18 h n = 3 mice. NI Non-immunized, V Vessel, T Thrombus.