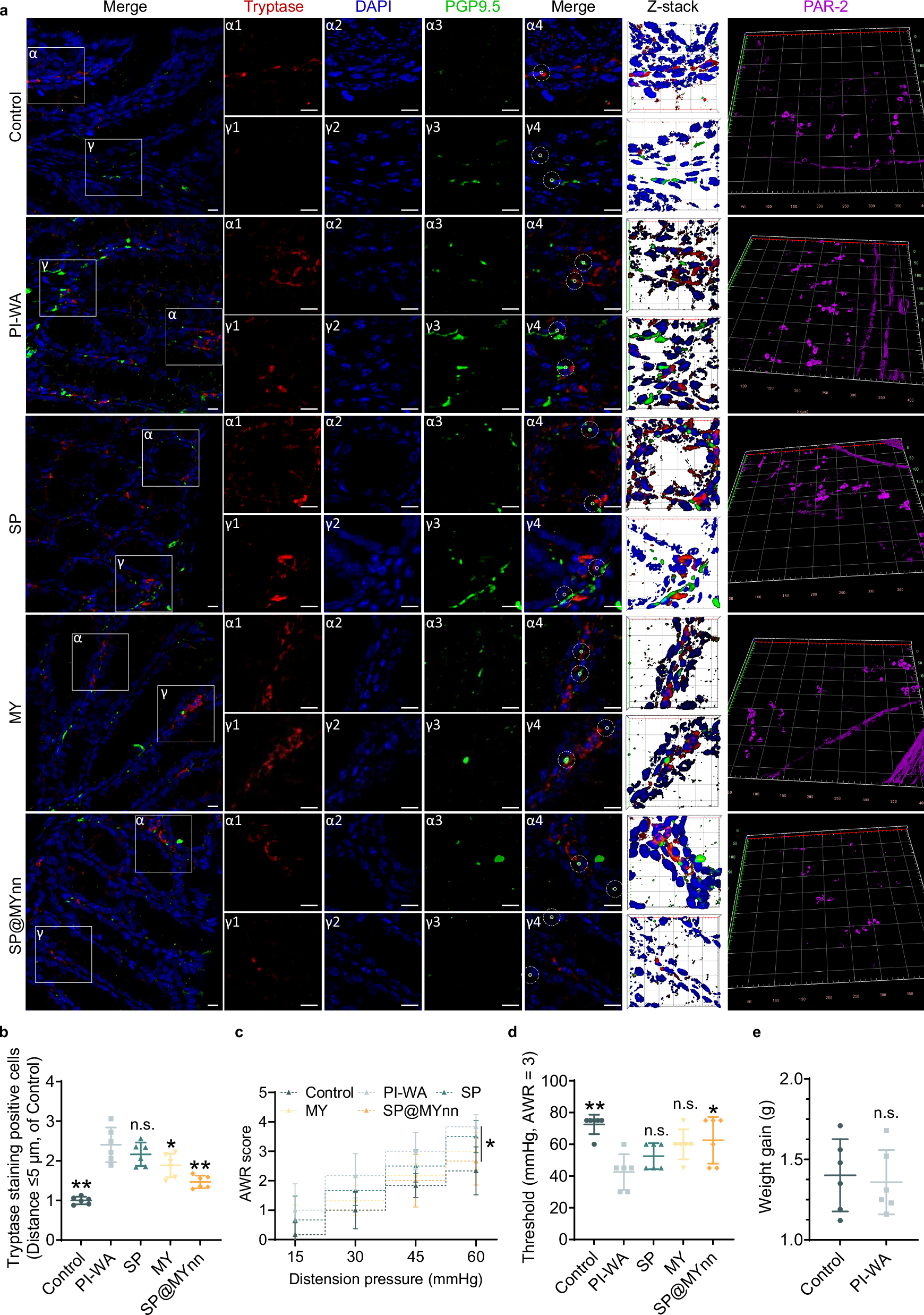
Fig. 6: SP@MYnn suppresses visceral hypersensitivity caused by mast cell activation.

a Colon Tryptase (red), PGP9.5 (green), Par-2 (purple), and DAPI (blue) immunostaining. b Counting of Tryptase-positive cells at a distance less than 5 μm from the neural tissue. c The AWR score under different colorectal pressures. d The colorectal pressure reaching the pain threshold. One-way ANOVA with Tukey’s post hoc test was used for comparisons among multiple groups. For the ANOVA for tryptase, Control vs. PI-WA, P  < 0.0001; PI-WA vs. SP, P  = 0.5984; PI-WA vs. MY, P  = 0.0286; PI-WA vs. SP@MYnn, P  < 0.0001. For the ANOVA for tryptase, PI-WA vs. SP@MYnn, P  = 0.0393. For the ANOVA for threshold, Control vs. PI-WA, P  = 0.0003; PI-WA vs. SP, P  = 0.4714; PI-WA vs. MY, P  = 0.0522; PI-WA vs. SP@MYnn, P  = 0.0205. e The weight gain value during the WAS period. Two-tailed unpaired t-tests were used for comparisons between two groups, P  = 0.7316. The data show means + SD (n = 6 biologically independent animals, *< 0.05, **< 0.01, n.s., no significance vs. the PI-WA group), scale bar = 10 µm. Source data are provided as a Source Data file.