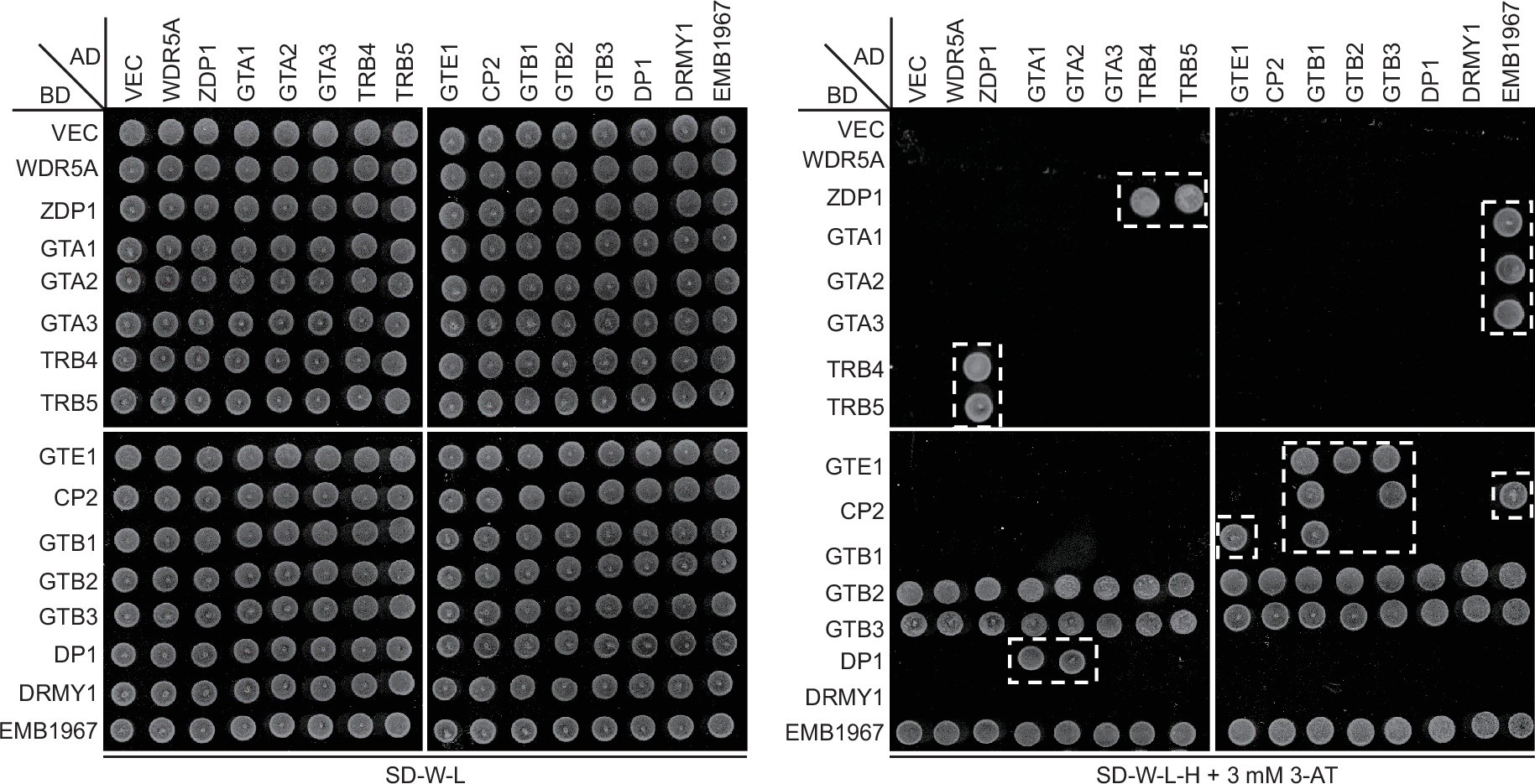
Extended Data Fig. 2: Determination of the interactions among CACG components by Y2H assays.

Yeast strains expressing the indicated GAL4-AD and GAL4-BD fusion proteins were cultivated on SD medium lacking Trp and Leu (SD-W-L) and on SD medium lacking Trp, Leu, and His (SD-W-L-H) supplemented with 3 mM 3-AT. Yeast strains containing empty GAL4-AD or GAL4-BD vectors (VEC) serve as negative controls. Positive strains indicating protein-protein interactions are highlighted with dashed boxes. The experiments were repeated independently twice and showed similar results.