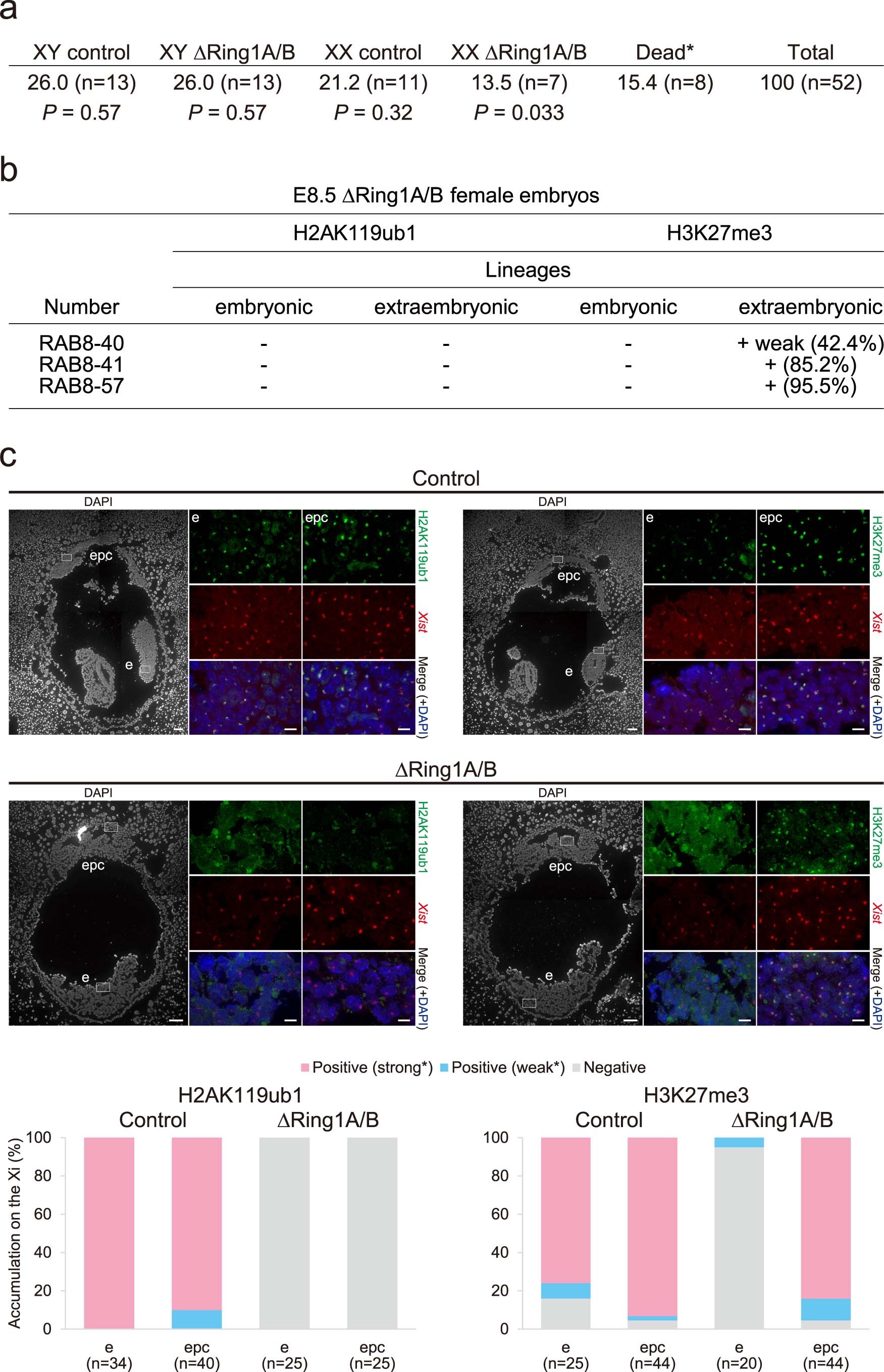
Extended Data Fig 2: ∆Ring1A/B E8.5 embryos are deprived of H2AK119ub1, but not H3K27me3 on the Xi in extraembryonic tissues.

a, Female specific lethality upon deletion of Ring1A/B at E8.5. E8.5 control and ∆Ring1A/B male and female embryos were analysed. Percentage and number are given. A significantly lower than expected number of ∆Ring1A/B female embryos at E8.5 (13.5% instead of 25%, P = 0.033) and an increased number of empty deciduae (15.4%), suggesting female ∆Ring1A/B embryo lethality at this stage. *empty decidua that is, dead embryo. Under the assumption that all genotypes are observed in 25% of the cases, one-sided binomial distribution was used to calculate p-values less than the expected number of embryos. b, H2AK119ub1/H3K27me3 accumulation status on the Xi analysed on sections for three E8.5 ∆Ring1A/B female embryos. Percentage of H3K27me3-positive cells on the Xi is given. c, ∆Ring1A/B E8.5 embryos are deprived of H2AK119ub1, but not H3K27me3 on the Xi in extraembryonic lineages, for example epc. Analyses on longitudinal sections; boxed regions (e and epc) are shown with higher magnification. Upper part: control embryo studied by immuno-RNA FISH for two histone marks, H2AK119ub1 (left), H3K27me3 (right) and Xist; consecutive sections. Lower part: ∆Ring1A/B female embryo (RAB8–57). Quantifications of H2AK119ub1 and H3K27me3 Xi accumulation in nuclei from these sections are shown below. All nuclei are analysed as positive (strong* or weak* expression as an Xi focus) or negative. Percentage and numbers of cells analyzed are given. e: embryo proper, epc: ectoplacental cone. Scale bars: 100 µm for the whole embryos and 10 µm for the enlarged images.