Extended Data Fig. 8: MERFISH spatial transcriptomics analysis of selected NS-forest markers.
From: A temporal cortex cell atlas highlights gene expression dynamics during human brain maturation

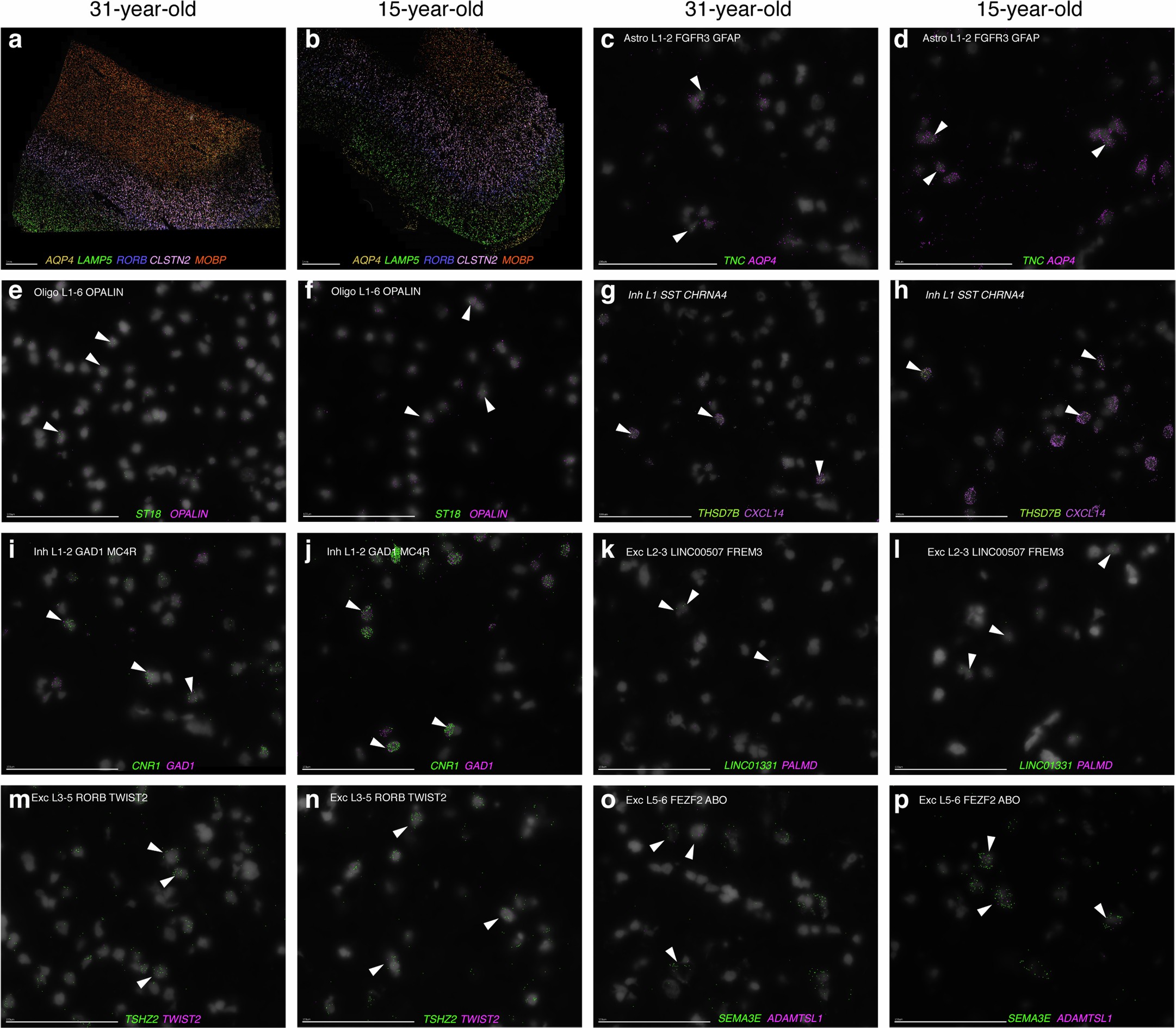
a, b Low magnification views of the 31-year-old (a) and 15-year-old (b) MERFISH datasets (from the same donors used for Visium) showing the expression of known layer maker genes in the expected layers as validation of the MERFISH experiment. cāp, High magnification views of 31-year-old (c,e,g,I,k,m,o) and 15-year-old (d,f,h,j,l,n,p) MERFISH datasets showing the overlap of new NS-Forest minimal markers (green) with published NS-Forest minimal markers (magenta) in indicated cells (arrowheads). The cell type that the NS-Forest markers are associated with is indicated in the top left corner. Scale bars: 100āµm. A single section was analysed using MERFISH for each sample.