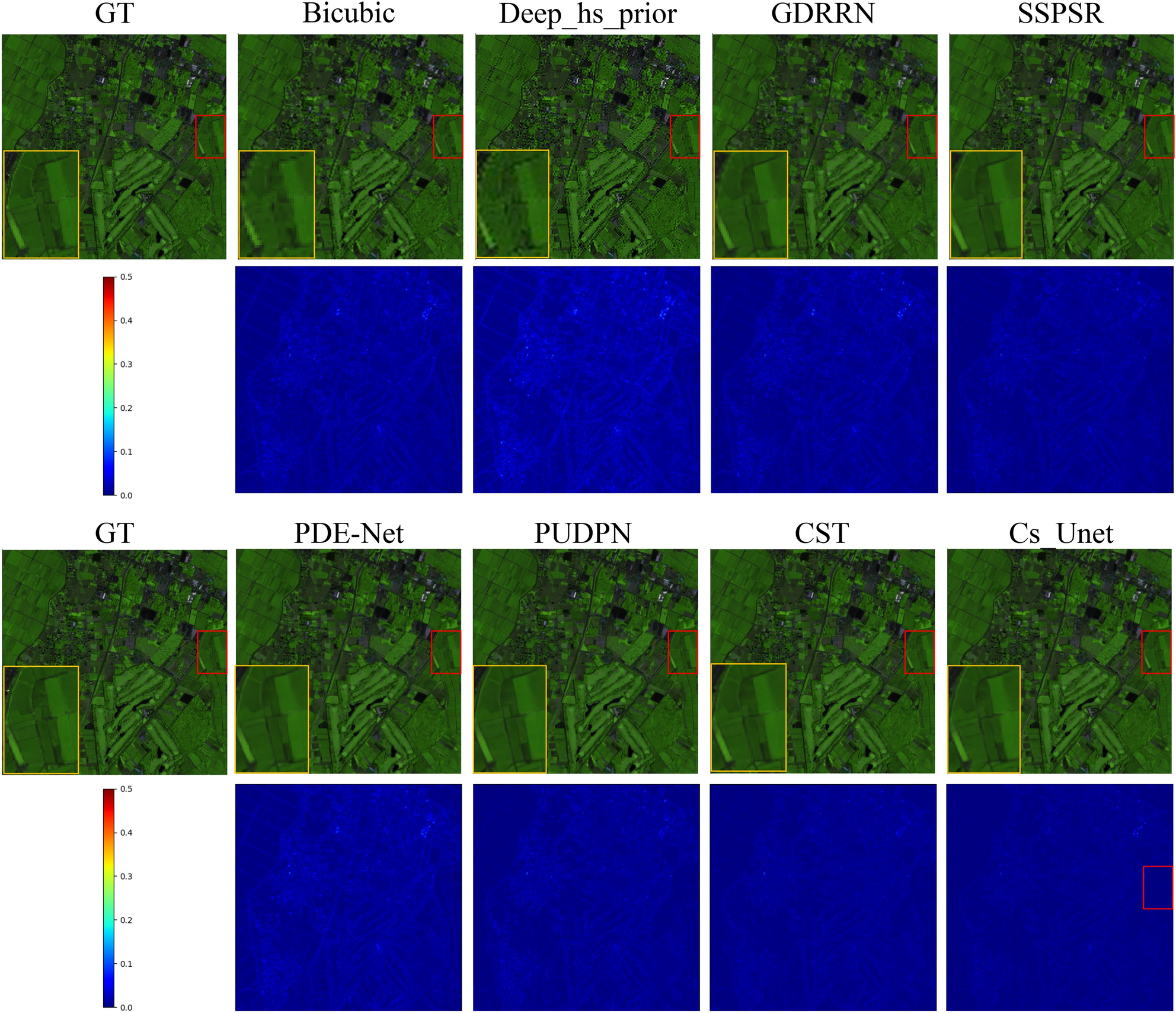
Fig. 5

The Chikusei dataset is displayed, with bands 70, 100, and 36 specifically chosen as the R-G-B channels, while utilizing an upsampling factor of 4. In the visualized figures of this paper, the images shown in the first and third rows are the super-resolution reconstructed images produced by the models, with the corresponding model names labeled above the images. The second and fourth rows respectively display the absolute error maps between the corresponding super-resolution images above and the Ground Truth. The darker the color in the error maps, the better the reconstruction performance.