Fig. 7

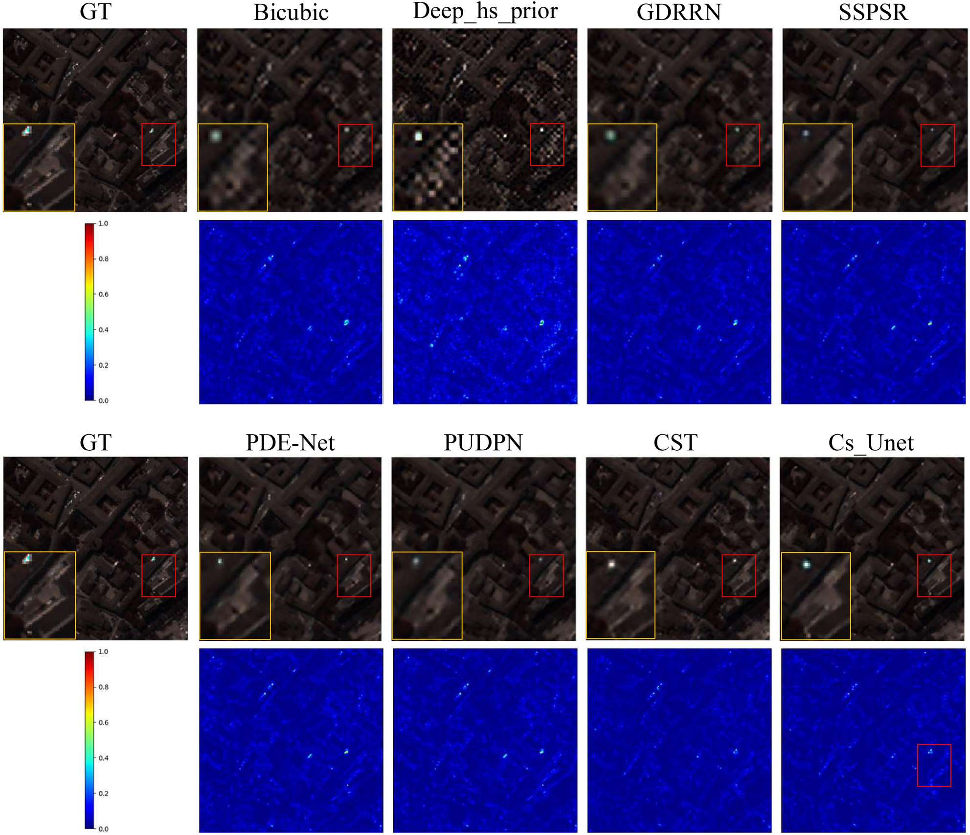
The Pavia\(\_\)Center dataset is visualized by selecting bands 32, 21, and 11 as the R-G-B channels to generate a color image with an upsampling factor of 4.

The Pavia\(\_\)Center dataset is visualized by selecting bands 32, 21, and 11 as the R-G-B channels to generate a color image with an upsampling factor of 4.