Fig. 5
From: The protective role of nuclear Heme oxygenase-1 in blood-spinal cord barrier after hypoxia in vitro

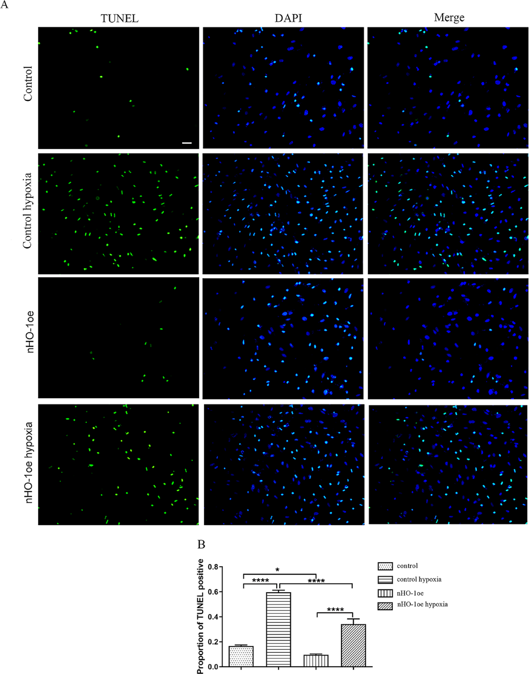
NHO-1 inhibits hypoxia-induced SCMECs apoptosis. (A) Representative images of TUNEL (green) were detected by immunofluorescence staining. Cell nuclei were stained with DAPI (blue) (scale bar = 50 μm). (B) The proportion and quantitative analysis of TUNEL-positive cells. All data are presented as mean ± SD. One-way ANOVA and Tukey’s multiple comparison test were used to analyze the differences among groups. ****P < 0.0001, ns represents P ˃ 0.05