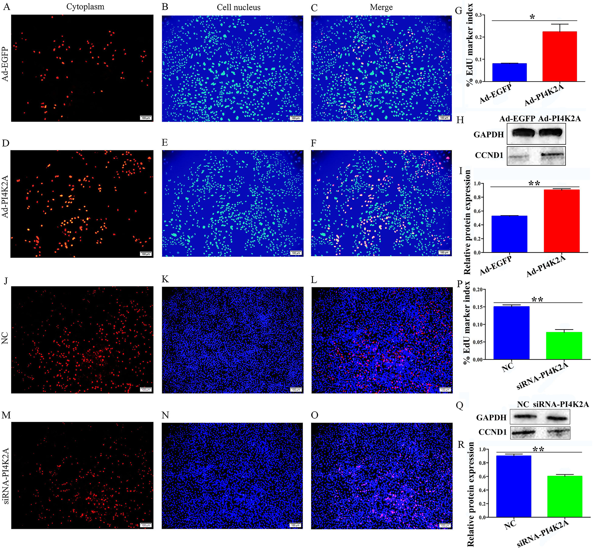
Fig. 5

Effect of overexpression/interference of PI4K2A gene on BMECs proliferation. (A–C) Results of EdU treatment after Ad-EGFP adenovirus transfection (all taken from the same field of view, the same below). Where A is the cytoplasm of proliferating cells stained red; B is the nucleus of all cells stained blue; C is the combined image of A and B; (D–F) Results of EdU treatment after transfection with Ad-PI4K2A adenovirus; (G) EdU labeling index obtained by ImageJ software after counting proliferating cells and all cells in the field of view, respectively; (H) Expression of G1/S-specific CCND1 after overexpression of PI4K2A; (I) Relative protein expression calculated after grayscale scanning of protein bands by ImageJ software; (J–L) Results of EdU treatment after NC transfection; (M–O) Results of EdU treatment after transfection with siRNA-PI4K2A; (P) EdU labeling index obtained by ImageJ software after counting proliferating cells and all cells in the field of view, respectively; (Q) Expression of CCND1 after interference with PI4K2A; (R) Relative protein expression calculated after grayscale scanning of protein bands by ImageJ software. (mean ± SD, n = 3,*p < 0.05, **p < 0.01).