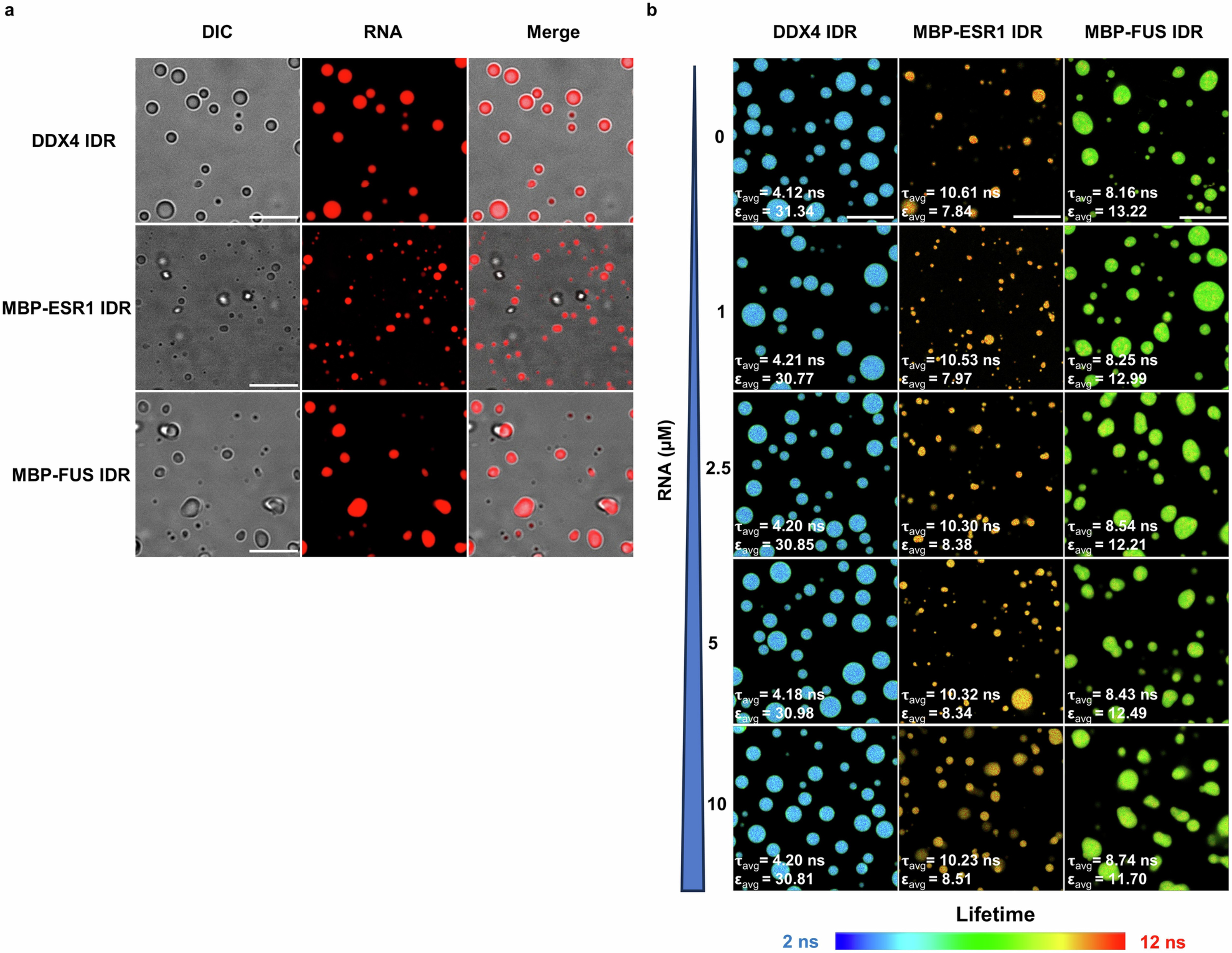
Extended Data Fig. 10: Influence of RNA on the micropolarity of condensate microenvironment.
From: Navigating condensate micropolarity to enhance small-molecule drug targeting

a, Confocal images showing that RNA were co-localized with condensates formed by IDR of DDX4 (1-236 aa), ESR1 (79-174 aa) and FUS (1-286 aa). b, Free SBD (SBD-methyl-ester) labeled Fast FLIM images and dielectric constant of these three condensates when co-incubated with different concentrations of RNA. Scale: 10 µm. As RNA concentration increased, the micropolarity of the highly polar DDX4 condensates remained unchanged. While FUS condensates displayed a slight decrease in micropolarity with increasing RNA concentration and ESR1 condensates exhibited a slight increase, these fluctuations were relatively subtle when compared to the variations between the micropolarity of condensates enriched with nonpolar residues and that enriched with hydrophilic or charged residues. Therefore, the addition of RNA influences the microenvironment slightly and may not significantly influence drug partitioning. The FLIM image of micropolarity data for DDX4 IDR at 0 µM RNA, serving as the control, is referenced from Extended Data Fig. 9i, where DDX4 IDR was shown without inhibitor. Similarly, the image for MBP-FUS IDR at 0 µM RNA is referenced from Extended Data Fig. 9h, where MBP-FUS IDR was presented without inhibitor.