Abstract
This study investigates the role of phosphatidylethanolamine cytidylyltransferase 2 (PCYT2) in ovarian epithelial cancer, specifically examining its effects on cell migration and membrane fluidity. To achieve this, we will examine how the AMPK and FOXO1 pathways regulate these processes. Our analysis revealed a significant upregulation of PCYT2 expression in metastatic ovarian cancer tissues compared to primary cancer sites, which correlates with altered membrane fluidity. Our data indicate that PCYT2 is essential for modulating the invasive characteristics of ovarian cancer cells. It does this by regulating the expression levels of AMPK and FOXO1, suggesting its role as an upstream regulator in this signaling pathway. Experiments that either inhibit or enhance PCYT2 activity suggest that it may influence cancer cell infiltration by changing membrane fluidity. These findings provide valuable insights into the molecular mechanisms of ovarian cancer metastasis and highlight PCYT2 as a promising therapeutic target. Future research should validate these findings in larger cohort studies, and also explore the therapeutic potential of targeting PCYT2 in ovarian cancer treatment. In conclusion, although there have been substantial advancements in ovarian cancer therapies, the intricate nature of its metastatic behavior remains a major challenge. Our research clearly demonstrates the critical role of PCYT2, urging the scientific community to deepen their understanding of its involvement in cancer progression and to develop innovative treatment strategies.
Similar content being viewed by others
Introduction
Ovarian cancer remains one of the most lethal malignancies in the female reproductive system, characterized by its aggressive metastatic potential and dismal survival rates1. Despite advancements in therapeutic approaches, the molecular drivers governing ovarian cancer metastasis continue to elude comprehensive understanding. Emerging evidence highlights membrane fluidity and lipid composition as pivotal modulators of tumor cell dynamics–including proliferation, migratory capacity, and apoptotic resistance–processes that collectively fuel metastatic dissemination2. While transcriptional reprogramming in malignancies has been extensively cataloged, the mechanistic contributions of critical regulators such as PCYT2 in orchestrating ovarian cancer metastasis remain an unresolved frontier in oncobiology3.
PCYT2, also known as phosphatidylethanolamine (PE) cytidylyltransferase 2, is a key enzyme in the production of phosphatidylethanolamine, an essential phospholipid that supports cellular function, including membrane integrity and signaling. PCYT2 catalyzes the conversion of cytidine triphosphate (CTP) and phosphatidic acid into CDP-ethanolamine, which is then transformed into phosphatidylethanolamine4. The regulation of phosphatidylethanolamine (PE) synthesis is crucial for maintaining lipid balance in cell membranes5, influencing both membrane fluidity and cell growth, as well as apoptosis.
Cancer research remains largely unexplored, particularly in the context of ovarian cancer. In this area, AMPK and FOXO1 play crucial roles in tumor metabolism and metastasis6,7. Investigating how PCYT2 interacts with these signalling pathways is essential for understanding the molecular mechanisms driving ovarian cancer progression8. In this study, we aim to clarify the functional implications of PCYT2 in ovarian cancer dynamics, particularly regarding its regulatory influence on cell migration and membrane fluidity.
To achieve our research goals, we will employ several methods in cell and molecular biology, such as cell culture, transfection, western blotting, CCK-8 assays, migration assays, TUNEL assays, and membrane fluidity assessments. We aim to explore the role of PCYT2 in regulating the AMPK/FOXO1 signaling pathway. This research will deepen our understanding of ovarian cancer metastasis and aid in identifying potential new therapeutic targets.
Furthermore, the findings of this research could provide a basis for future studies focused on clinical validation and patient stratification by ovarian cancer subtype, thus improving the accuracy of targeted therapies. It is important to explore how variations in PCYT2 expression across different tissue types impact patient prognosis. Our research seeks to address these knowledge gaps and offer valuable insights into the molecular mechanisms driving ovarian cancer metastasis. This understanding could guide the creation of new therapeutic strategies to enhance patient outcomes.
Materials and methods
Antibodies
This study used the following antibodies: rabbit IgG monoclonal antibodies Anti-FOXO1 (GB114935, Servicebio, Wuhan, China, dilution 1:800), Anti-p-FOXO1 (YP-Ab-01240, UpingBio, Shenzhen, China, dilution 1:800), Anti-AMPK (GB112669, Servicebio, Wuhan, China, dilution 1:800), Anti-p-AMPK (GB114062, Servicebio, Wuhan, China, dilution 1:400), Anti-LKB1 (344678, ZenBio, Chengdu, China, dilution 1:800), Anti-PEBP1 (R25599, ZenBio, Chengdu, China, dilution 1:800), and Anti-PCYT2 (D225832-0025, Sangon Biotech, Shanghai, China, dilution 1:800); mouse IgG monoclonal antibody Anti-GAPDH (M20006, Abmart, Shanghai, China, dilution 1:2000); HRP-conjugated anti-mouse IgG monoclonal antibody (Invitrogen, Carlsbad, CA, USA); and HRP-conjugated anti-rabbit IgG polyclonal antibody (Cell Signaling, Danvers, MA, USA).
Patients
This study enrolled thirty-six treatment-naive patients with histologically confirmed high-grade serous ovarian carcinoma (HGSOC). Inclusion criteria required: (1) FIGO stage III disease confirmed by postoperative pathological evaluation; (2) primary cytoreductive surgery performed at Zhongshan Hospital, Fudan University (Qingpu Branch) between March 2019 and December 2021 (Table 1). The cohort excluded patients with non-ovarian primary tumors or incomplete clinical records. All surgical procedures and subsequent staging followed the National Comprehensive Cancer Network (NCCN) guidelines. The Institutional Review Board of the Qingpu Branch of Zhongshan Hospital approved this research (IRB No. ZSHP-2022-39) in full compliance with the Declaration of Helsinki ethical principles (2008 revision). Written informed consent was obtained from all participants prior to biospecimen collection.
Cell culture and transfection
The SKOV3 and OVCAR3 (ATCC) cell lines were grown in two types of media: Dulbecco’s modified Eagle’s medium (DMEM) with high glucose and RPMI-1640 (GIBCO). Both media were supplemented with 10% fetal bovine serum (FBS) (GIBCO) and incubated at 37 °C in 5% CO2. After overnight growth, he cells were transfected with viral constructs designed to either overexpressing or knocking down PCYT2 expression.
Real-time PCR analysis
PCR was conducted on tissue samples from 36 patients diagnosed with epithelial ovarian cancer. Total RNA was extracted from each cancer sample using TRIzol reagent (No. 15596026, Thermo Fisher Scientific, Waltham, MA, USA). The extracted RNA was reverse transcribed into cDNA using the Prime Script RT Reagent Kit (TaKaRa Bio Inc, Shiga, Japan). Real-time PCR analysis was performed using the SYBR Premix Ex-Taq II Kit (No. RR820A, TaKaRa Bio Inc, Shiga, Japan) on an Applied Biosystems 7500 real-time PCR system (7500FAST, Applied Biosystems, Waltham, MA, USA). Data were analysed using the 2-∆∆Ct method, a standard approach for quantifying gene expression levels. The qRT-PCR primer sequences are detailed in Table 2.
Western blot
First, tissue and cell lysates were analyzed using sodium dodecyl sulfate-polyacrylamide gel electrophoresis (SDS-PAGE). After this, the samples were transferred to polyvinylidene difluoride membranes (Merck Millipore, Burlington, MA, USA). After blocking with 5% BSA (GC305010-100 g, Servicebio, Wuhan, China), the membranes were incubated first with primary antibodies and then with secondary antibodies conjugated to horseradish peroxidase (HRP). The protein bands were developed with the Immobilon Western Chemiluminescent HRP substrate solution (Merck Millipore, Burlington, MA, USA). Next, the bands were imaged using the ChemiDoc MP imaging system (No. 12003154, Bio-Rad, Hercules, CA, USA). After removing the antibodies using the Western Blot Stripping Buffer (WB6500, NCM Biotech, Jiangsu, China), the membrane was tested again with different antibodies. The gray values of the bands were analyzed using ImageJ software (version 1.37, National Institutes of Health (NIH), Bethesda, MA, USA).
Cell proliferation assay
We used Cell Counting Kit-8 (CCK-8) (C6005, NCM Biotech, Jiangsu, China) to assess cell proliferation according to the manufacturer’s instructions. Following transfection with PCYT2 overexpression, knockdown or a control virus, we seeded 1 × 104 cells into each well of a 96-well plate and incubated them at 37 °C. At 0,24,48 and 72 h, we added 10 µL of CCK-8 solution to each well and incubated the plates at 37 °C for 2 additional hours. We quantified the proliferation rate using a Varioskan LUX plate reader (Thermo Fisher Scientific, Waltham, MA, USA) at a wavelength of 450 nm.
Cell migration assay
We assessed the migratory potential of SKOV3 and Ovcar3 cells using wound healing and transwell migration assays. We used a scratch wound assay to evaluate cell migration and motility. After transfection, we cultured the cells in a 6-well plate. The transfections included PCYT2 overexpression, PCYT2 knockdown, and a control virus. We used a sterile pipette tip to create a uniform scratch in the cell monolayer. We observed cell motility at 24 and 48 h using a microscope (Keyence, Osaka, Japan). The wound area ratio was determined using ImageJ software (version 1.37, NIH, Bethesda, MA, USA). The wound area ratio reflects the migratory ability of the cells, a higher ratio indicates greater migration. It was calculated as follows: [wound healing area ratio=(cell wound area at x hours-cell wound area at 0 h)/cell wound area at 0 h].
In the Transwell assay, cells were seeded in 24-well chambers that have an 8 μm pore size (Catalogue No. 3464, Corning, NY, USA). Following transfection with PCYT2 overexpression, knockdown or control virus, cells were placed in the upper chamber at a density of 1.5 × 105 cells per well in 200 µL of 0% FBS medium. Meanwhile, 700 µL of medium with 10% FBS was added to the lower chamber. After 48 h of incubation, the cells on the lower surface were fixed with 4% paraformaldehyde in phosphate buffer solution (P0099-100 ml, Beyotime, Shanghai, China) and then stained with 1% crystal violet solution (C0121-100 ml, Beyotime, Shanghai, China).
Tunel assay
The terminal deoxynucleotidyl transferase dUTP nick end labelling (TUNEL) assay (C1089, Beyotime, Shanghai, China) was used to identify apoptotic cells. SKOV3 and Ovcar3 cells were prepared for the assay. Samples were fixed in 4% paraformaldehyde and then permeabilized with 0.1% Triton X-100. The slides were incubated with the TdT enzyme at 37 °C for 60 min to label fragmented DNA. Next, fluorescein-conjugated dUTP was added. The slides were then incubated for another 60 min. Slides were rinsed with PBS and analysed under a fluorescence microscope to count TUNEL-positive cells.
Cell membrane fluidity
We conducted a fluorescence recovery after photobleaching (FRAP) assay to evaluate membrane fluidity in SKOV3 cells. We cultured the cells on glass coverslips. Then, we labeled them with the lipophilic fluorescent dye TMA-DPH (HY-D0986, MedChemexpress Biotechnology, New Jersey, USA). The cells were then incubated for 15 min at 37 °C. After removing the excess dye, we used a confocal microscope with a high-intensity laser to photobleach a specific region. Following photobleaching, we monitored fluorescence recovery in the bleached area at intervals of 20 s. This allowed us to analyse the recovery curves and diffusion coefficients using Image J software (version 1.37, National Institutes of Health (NIH), Bethesda, MA, USA). This study offers crucial insights into membrane fluidity, which is vital for understanding the behavior of cancer cells and their response to therapeutic agents.
Statistical analysis
Data analysis was performed using SPSS 26. 0 (IBM-SPSS Inc, Chicago, IL, USA). All measurements are presented as mean ± standard deviation (SD), then described by a bar chart. Two unpaired data sets were compared using an unpaired student’s t-test. Data comparisons between multiple groups were performed using one-way analysis of variance (ANOVA) with Tukey’s post hoc test. Data comparisons between different time points were performed using repeated measures ANOVA with Tukey’s post hoc test. p < 0.05 were considered significant.
Result
The varying levels of expression of PCYT2, AMPK, and FOXO1 in primary and metastatic tissues of high-grade plasma epithelial ovarian cancer are illustrated in Fig. 1.
The study examined mRNA and protein levels in both metastatic and primary plasma epithelial ovarian cancer tissues. The researchers found that the expression of AMPK (p-AMPK) and FOXO1 was significantly lower in metastatic tissues. In contrast, PCYT2 showed higher expression in metastatic samples, with statistically significant differences (*p < 0.05,**p < 0.001). While LKB1 mRNA expression was lower in metastatic tissues, the differences in LKB1 protein levels between metastatic and primary samples were not statistically significant (ns = no significant difference). In addition, no significant differences in PEBP1 mRNA and protein expression were found between tissue types. These findings indicate that the PCYT2/AMPK/FOXO1 signaling pathway is crucial in the metastatic progression of ovarian epithelial cancer. All experiments were repeated three times (WB imprint plots for 36 pairs of samples are detailed in Supplementary Fig. 1).
Expression of key molecules in the AMPK/FOXO1 pathway in clinical samples. In this figure the X-axis of the bar graph, the primary group (black column) represents the primary foci of ovarian epithelial carcinoma, while the metastasis group (grey column) represents the metastatic foci. Graphs (A1) to (A4) show the relative mRNA expression levels of LKB1, AMPK, FOXO1 and PEBP1 in the metastatic foci of high-grade ovarian plasma adenocarcinoma. The X-axis of the bar graph indicates the different subgroups and the Y-axis indicates the relative expression of mRNAs. Figures (B1) and (B2) present the immunoblotting results for protein expression levels of LKB1, AMPK, p-AMPK, FOXO1, PEBP1 and PCYT2 in both metastatic and primary tissues. Figure (B1) display protein expression maps for the primary foci of high-grade ovarian adenocarcinoma, labeled from a top, corresponding to the metastatic foci (graph (B2)). Figures (C1) to (C6) present quantitative analyses of protein expression levels for LKB1, AMPK, p-AMPK, FOXO1, PEBP1 and PCYT2 in the metastatic foci of high-grade ovarian plasma adenocarcinoma. The X-axis of the bar graph indicates the different subgroups and the Y-axis indicates the relative expression of proteins.36 WB blot plots for pairs of primary and metastatic samples are shown in SUPPLEMENTARY FIGURE, with primary and metastatic blots corresponding to each other(*p < 0.05, **p < 0.001, ns = no significant difference).
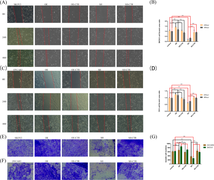
The impact of PCYT2 on the migration, invasion, and apoptosis of ovarian cancer cells, as illustrated in Figs. 2 and 3.
Cell invasion and migration assays showed that silencing PCYT2 significantly decreased ovarian cancer cell migration and invasion while increasing apoptosis. Conversely, overexpressing PCYT2 significantly increased cell migration and invasion while decreasing apoptosis, with all differences being statistically significant (*p < 0.05, **p < 0.001). It shows that overexpression of PCYT2 enhances invasion capacity, whereas knocking down PCYT2 significantly reduces this ability. The figures show that in the SKOV3 and OVCAR3 cell lines, the migratory capacity was significantly increased in the OE (PCYT2 overexpression) group compared to the control and OE-CTR groups at both 24 and 48 h. This was reflected by a significant increase in the scratch area ratio. The migratory capacity of the cells was significantly decreased in the SH (silence pcyt2) group compared to the control and SH-CTR groups, as shown by a significant decrease in the scratch area ratio, the difference was statistically significant (**P < 0.001). Meanwhile, the figure shows that the invasion ability of SKOV3 cells and OVCAR3 cells changes with PCYT2 expression. When SKOV3 cells overexpressed PCYT2, the number of invaded cells increased significantly. However, in OVCAR3 cells overexpressing PCYT2, the increase in the number of invading cells was not statistically significant compared to the control group. However, when compared to the OE-CTR group, a significant difference in invasion numbers was observed. After knocking down PCYT2 expression in the cell lines, the number of invading cells was significantly reduced (*p < 0.05, **p < 0.001). Changes in intracellular PCYT2 expression influenced the synthesis of phosphatidylethanolamine in cell membranes, which in turn affected cell migration and invasion. All experiments were repeated three times.
The proportion of apoptotic cells was detected by using the TUNEL assay. We assessed the percentage of apoptosis in SKOV3 and OVCAR3 cells following modulation of PCYT2 expression. This was done by measuring fluorescence intensity per unit area. Statistical analysis indicated that a lower average fluorescence intensity per unit area after overexpression of PCYT2 correlated with fewer apoptotic cells (**p<0.001). Conversely, a higher average fluorescence intensity per unit area after knockdown of PCYT2 expression was associated with an increased number of apoptotic cells (**p<0.001). We evaluated the proliferation rate of the cells by determining the absorbance value at OD450 after assessing the overexpression or knockdown of PCYT2 expression using the CCK8 technique. The results showed that there was no difference in the proliferation rate of cells in each group at 24 48 and 72 h. All experiments were conducted in triplicate.
PCYT2 regulates ovarian cancer cell invasion and metastasis. This figure presents several graphs, where SKOV3/OVCAR3/control denotes the untreated cell line, and OE indicates the SKOV3/OVCAR3 cell line that overexpresses the PCYT2 gene, OE-CTR is SKOV3/OVCAR3 cell line transfected with control plasmid corresponding to the overexpression plasmid, SH refers to SKOV3 /OVCAR3 cell line knocked out of the PCYT2 gene and SH-CTR refers to SKOV3/OVCAR3 cell line transfected with control plasmid corresponding to the silence-expression plasmid. The figure displays healing area maps of cell scratches taken at various time points. 0 H represents the cell scratch area at time point 0 h, while 24 H indicates the area after 24 h of cell culture after scratched. 48 H is the cell scratch area taken again after 48 h of cell culture of the scratched. (A) Shows the healing of cell scratches in SKOV3 cells at 0, 24, and 48 h after PCYT2 overexpression and knockdown, compared to the blank and control groups. (C) Shows the healing of cell scratches in OVCAR3 cells at 0 h, 24 h, and 48 h following the overexpression and knockdown of PCYT2, compared to the blank and control groups. (E) and (F) how a transwell experiment result for SKOV3 and OVCAR3 cells that either overexpress or have knocked down PCYT2 expression. (B) and (D) present statistical plots illustrating the scratch healing ratios of SKOV3 and OVCAR3 cells before and after adjusting PCYT2 expression, respectively. The x-axis shows the different sub-groups and the y-axis shows the ratio of healed scratches. Yellow bars represent the percentage of the scratch-healed area of cells at 24 h, while grey bars represent the percentage at 48 h. (G) Illustrates the statistical differences in invasion ability between SKOV3 and OVCAR3 cells after PCYT2 regulation. The x-axis represents the different subgroups. The y-axis represents the number of cells invaded. The earthy yellow bar represents the number of infiltrating OVCAR3 cells, while the green bar indicates the number of infiltrating SKOV3 cells.
PCYT2 regulation of apoptosis in ovarian cancer cells. In this figure, the following abbreviations are used: SKOV3/OVCAR3/Blank represents the untreated cell line, OE denotes the cell line overexpressing the PCYT2 gene, OE-CTR indicates the cell line transfected with a control plasmid for PCYT2 overexpression, SH refers to the cell line with PCYT2 gene knockout, and SH-CTR is the cell line transfected with a control plasmid for PCYT2 knockout. Fluorescent staining of apoptotic SKOV3 and OVCAR3 cells is shown in figures (A) and (B). Figures (C) and (D) show statistical plots of the apoptosis rates of the two groups of cells after PCYT2 expression regulation. In the bar graphs (C) and (D), the x-axis represents experimental subgroups related to PCYT2 modulation. The y-axis indicates the fluorescence intensity per unit area. In line graph (E), the x-axis represents time points, and the y-axis shows the absorbance value at 450 nm. Different colors represent the OD450 of cells measured at 24 h, 48 h, and 72 h. The colors in the graph denote specific groups: yellow for the untreated group (Blank), black for the PCYT2 overexpression group (OE), red for the control plasmid of the overexpression group (OE-CTR), green for the PCYT2 knockdown group (SH), and blue for the control plasmid of the knockdown group (SH-CTR).
PCYT2 modulates ovarian cancer cell invasion through AMPK/FOXO1 signaling (Figs. 4 and 5).
Consistent with histological evidence showing differential AMPK/FOXO1 expression between primary and metastatic lesions. Additionally, transcriptomic analysis suggests that PCYT2 may influence the metastatic behavior of ovarian epithelial cancer cells through the AMPK/FOXO1 signaling pathway. Therefore, we assessed the mRNA and protein expression changes of PCYT2, LKB1, AMPK, FOXO1, and PEBP1 after modifying PCYT2 expression in the ovarian cancer cell lines SKOV3 and OVCAR3. Silencing PCYT2 expression in SKOV3 and OVCAR3 cell lines significantly impacted the AMPK/FOXO1 pathways related to cancer biology. Our investigation showed that mRNA and protein levels of LKB1, AMPK, FOXO1, and PEBP1 significantly increased in the PCYT2 knockdown group (SH) compared to both the control and blank control groups. In contrast, the SKOV3 and OVCAR3 cell lines that overexpressed PCYT2 (OE group) showed a significant decrease in the levels of the same mRNAs and proteins, which was statistically confirmed. Figure 4 illustrates the mRNA expression levels of signaling-related molecules following the modulation of cellular PCYT2 levels. The changes in the expression levels of key molecules are statistically significant. Figure 5 displays the protein levels of signaling-related molecules after regulating cellular PCYT2 levels. Statistical analysis revealed that the expression of LKB1, AMPK, p-AMPK, FOXO1, p-FOXO1and PEBP1 proteins significantly decreased in SKOV3 cells following PCYT2 overexpression. However, after knockdown of PCYT2, the level of all these proteins increased in SKOV3 cells and the experiment was repeated three times and the results were all statistically significant (*p < 0.05,**p<0.001). All changes in the expression of key molecules are statistically significant (*p < 0.05. **p < 0.001). All experiments were conducted in triplicate. (Supplementary Fig. 2 shows the comparison between phosphorylated FOXO1 and phosphorylated AMPK and non-phosphorylated two proteins in the state of overexpression or knockdown expression of PCYT2 in SKOV3 and OVCAR3, suggesting that PCYT2 is a key molecule regulating cellular phosphatidylethanolamine synthesis through activation or inhibition of the AMPK pathway).
PCYT2 is involved in the regulation of the AMPK/FOXO1 signalling pathway. (A) and (C) correspond to SKOV3/OVCAR3 cells overexpressing PCYT2 and (B) and (D) correspond to SKOV3/OVCAR3 cells knocking down PCYT2. Graphs (A1) and (B4), showing the relative mRNA expression levels of LKB1, AMPK, FOXO1 and PEBP1 in SKOV3 cells. These levels were measured after the overexpression and knockdown of PCYT2. Graphs (C1) and (D4) illustrate the relative mRNA expression levels of LKB1, AMPK, FOXO1 and PEBP1 in OVCAR3 cells after the overexpression and knockdown of PCYT2. In the figure x-axis indicates the grouping and the y-axis indicates the relative expression of mRNAs for each bar. The groups are defined as follows: the blank group (green column) consists of cells not transfected with any plasmid; the control group (purple column) includes cells transfected with a control plasmid; the OE group (red column) refers to cells transfected with a plasmid that overexpresses PCYT2; and the SH group (red column) consists of cells transfected with a plasmid that knocks down PCYT2 expression.
PCYT2 regulates the expression of key proteins of the AMPK/FOXO1 signalling pathway. This figure displays immunoblotting plots in graphs (A1) and (B1).These plots show the expression of key molecular proteins in the AMPK/FOXO1 pathway, which is regulated by PCYT2 in SKOV3 and OVCAR3 cells. The right side of the blot indicates the molecular weight of the target protein, while the left side lists the target protein’s name. Graphs (A2) to (A8) display the relative expression levels of LKB1, AMPK p-AMPK, FOXO1, p-FOXO1 and PEBP1 proteins in SKOV3 cells after PCYT2 overexpression and knockdown. The relative expression levels of LKB1, AMPK, p-AMPK, FOXO1, p-FOXO1 and PEBP1 proteins in OVCAR3 cells are depicted in Figures (B2) to (B8), highlighting the effects of PCYT2 overexpression and knockdown. In the figures x-axis indicates the grouping and the y-axis indicates the relative expression of proteins for each bar. The blank group consists of cells that were not transfected with any plasmid. The OE-CTR/SH-CTR group includes cells transfected with a control plasmid. The OE group contains cells that overexpress the PCYT2 plasmid, while the SH group includes cells with a plasmid that reduces PCYT2 expression. All experiments were repeated three times.
Figures 4and 5 show how key components of the intracellular AMPK/FOXO1 pathway are altered when PCYT2 expression is modulated. Rescue experiments showed that in SKOV3 and OVCAR3 cells with reduced PCYT2 expression the use of an AMPK inhibitor significantly lowered p-AMPK levels and p-FOXO1 expression. Similarly, in experiments where FOXO1 was inhibited, p-FOXO1 expression decreased in PCYT2 knockdown cells (see Figs. 6 and 7).
Figure 6 shows that adding the FOXO1 inhibitor to the culture medium after PCYT2 knockdown in SKOV3 cells reversed the increase in FOXO1 levels. The expression level of FOXO1 was not significantly different from that of the control group, and the expression level of p-FOXO1 was reduced. Despite this, the expression level of AMPK remained influenced by PCYT2 expression after the addition of the FOXO inhibitor. As we can see in detail in Fig. 6, from graphs (B1) to (B4) demonstrate a significant reduction in the expression of FOXO1 and p-FOXO1 in SKOV3 cells with PCYT2 knockdown following treatment with FOXO1 inhibitors. Figures (C1) to (C4) show a significant decrease in the expression of AMPK, p-AMPK, FOXO1and p-FOXO1 in SKOV3 cells that had PCYT2 knocked down and were treated with an AMPK inhibitor. Figures (A) to (C) demonstrate that adding the FOXO1 inhibitor to the culture medium, after silencing PCYT2 expression in SKOV3 cells, reversed the increase in FOXO1 associated with PCYT2 silencing. There was no significant difference in FOXO1 expression levels compared to the control group (see figure B3), and p-FOXO1 expression was reduced (see figure B4). Nevertheless, AMPK expression following FOXO1 inhibitor treatment was still influenced by PCYT2 expression levels (see figures B1 and B2). Adding the AMPK inhibitor to the culture medium, after silencing PCYT2 expression in SKOV3 cells, reversed the increases in AMPK and FOXO1 levels caused by PCYT2 silencing (see figure C1). There was no difference between the expression level of AMPK and the control group, and the expression level of p-AMPK, p-FOXO1 and FOXO1 was reduced (see figures C2, C3 and C4). The difference was statistically significant (*p < 0.05. **p < 0.001). All experiments were repeated three times. Regarding mRNA expression levels, the addition of the FOXO1 inhibitor to the culture medium decreased FOXO1 mRNA levels in the PCYT2 knockdown (SH) group, while it did not affect AMPK expression; the control groups were the blank and control groups. Adding the AMPK inhibitor to the culture medium decreased the mRNA expression levels of both AMPK and FOXO1. The control groups were the blank and control groups, and all results were statistically significant (*p < 0.05. **p < 0.001). These results suggest that the up-regulation of AMPK and FOXO1 due to PCYT2 knockdown can be suppressed by both AMPK and FOXO1 inhibitors, indicating that PCYT2 regulates cell phenotype via the AMPK/FOXO1 pathway. All experiments were repeated three times.
Previous experiments indicate that altering PCYT2 levels—either through overexpression or knockdown—affects the invasiveness of ovarian cancer cells. In the rescue assay, adding an inhibitor of FOXO1 or AMPK to the SKOV3 cell culture reversed the inhibitory effect of PCYT2 knockdown on their invasion and metastasis. This means that the invasive and metastatic abilities of SKOV3 cells with PCYT2 knockdown remained unchanged when inhibitors of FOXO1 or AMPK were added, compared to both the blank and control groups (*p < 0.05**p < 0.001). In Fig. 7B shows the percentage difference in the healed scratch area after adding the FOXO1 inhibitor was not statistically significant. This suggests that the FOXO1 inhibitor may reverse the reduced cell invasion ability caused by the knockdown of the PCYT2 gene (ns = not statistically significant). In Fig. 7C, the percentage of healed cell scratch area after AMPK inhibitor treatment showed no statistically significant difference, indicating that the inhibitor does reverse the reduced cell invasion ability caused by PCYT2 gene knockdown (ns = The difference was not statistically significant). From Figs. 7D1 to D3, the knockdown of PCYT2 in SKOV3 cells, combined with the addition of either the FOXO1 or AMPK inhibitor in the culture medium, reversed the cells’ metastatic ability. The statistical results indicated that the phenotype of PCYT2 knockdown ovarian cancer cells could be restored by both FOXO1 inhibitor and AMPK inhibitor.
We hypothesise that PCYT2 regulates AMPK expression, which activates FOXO1 and influences phosphatidylethanolamine synthesis in the membranes of ovarian cancer cells. This regulation significantly impacts the metastatic behaviour of these cells. When PCYT2 expression is knocked down, the application of either an AMPK or FOXO1 inhibitor notably restores the migration and invasion abilities of SKOV3 and OVCAR3 cells.
Pathway inhibitor reverses AMPK/FOXO1 signalling pathway activation by PCYT2. (A) Presents the immunoblotting results which PCYT2 gene has been knockdown in SKOV3 ovarian cancer cells, then additioned AMPK or FOXO1 inhibitors to evaluate proteins expression levels. (A), the upper half indicates that the presence of the FOXO1 or AMPK inhibitor is marked with a+, while their absence is marked with a−.The knockout of the PCYT2 gene is represented as SH-PCYT2+, while the wild-type PCYT2 gene is represented as SH-PCYT2-.The left side of the figure displays the names and molecular weights of the target proteins. Figures (B1) to (B4)show the level of FOXO1 and p-FOXO1 expression in PCYT2 knockdown SKOV3 cells after treatment with FOXO1 inhibitors. Figures (C1) to (C4)show the level of AMPK, p-AMPK, FOXO1 and p-FOXO1 expression in PCYT2 knockdown SKOV3 cells treated with an AMPK inhibitor. In figures (B1) to (C4), the x-axis shows the different groups, and the y-axis displays the relative protein expression for each bar.SKOV3 refers to cells that were not with any plasmid.SH indicates that a plasmid transfected to knock down PCYT2 expression in SKOV3 cells.SH-CTR denotes cells transfected with a control plasmid. Figures (D1) and (D2) show the relative mRNA expression levels of AMPK and FOXO1 in SKOV3 cells with PCYT2 knockdown after treatment with a FOXO1 inhibitor. Figures (E1) and (E2) show the relative expression of AMPK and FOXO1 mRNA in PCYT2 knockdown SKOV3 cells after adding AMPK inhibitors to the culture medium. In Figures (D1) to (E2), the x-axis represents the groupings, while the y-axis shows the relative mRNA expression for each bar. Blank group indicates the group of cells that were not transfected with any plasmid, the control group indicates the group of cells that were transfected with a control plasmid, and the SH-group indicates the group of cells that were transfected to knock down the expression of the PCYT2 plasmid.
Pathway inhibitors reverse PCYT2-induced invasion and metastatic activation. This figure displays graphs showing the SKOV3 cell line (untreated), the SH/SH group (with knocked-down PCYT2 expression), and the SH-CTR group (transfected with a control plasmid corresponding to the knockdown plasmid). Graph (A) depicts the healing of cell scratches observed at 24 and 48 h after the application of FOXO1 and AMPK inhibitors, in the context of PCYT2 gene knockdown. The first column of the scratch plot shows the healing progress of the SKOV3 cell line at 0, 24, and 48 h after the scratching. The second and third columns display scratch healing at 0, 24, and 48 h after the addition of the FOXO1 inhibitor to the SH and SH-CTR cells, respectively. The fourth and fifth columns show scratch healing at 0 h, 24 h and 48 h after addition of AMPK inhibitor to SH cells and SH-CTR cells, respectively. In figures (B) and (C), the x-axis represents the groups, while the y-axis shows the ratio of the scratch healing area SKOV3 identifies non-transfected plasmid cells, SH-CTR identifies cells transfected with a control plasmid, and SH identifies cells transfected with a plasmid for PCYT2 expression knockdown. (B) Presents a statistical plot illustrating the healing area ratio of scratches in SKOV3 cells with PCYT2 gene knockdown following the addition of the FOXO1 inhibitor. Graph (C) presents a statistical plot showing the ratio of scratch healing area in SKOV3 cells with PCYT2 gene knockdown after AMPK inhibitor treatment. (D1) to (D3) illustrate the number of ovarian cancer cells that migrated to the opposite side of the transwell chamber membrane after 48 h of treatment. This treatment involved FOXO1 and AMPK inhibitors while PCYT2 gene knockdown was present. (D1) Displays transwell plots of untreated SKOV3 cells, (D2) Shows plots for SKOV3 with PCYT2 knockdown and cultured with the FOXO1 inhibitor, and (D3) presents plots for SKOV3 with PCYT2 knockdown and treated with the AMPK inhibitor. (D4) and (D5) Illustrate the impact of FOXO1 inhibitor and AMPK inhibitor on the migration of ovarian cancer cells with PCYT2 knockdown. In (D4) and (D5), “FIN” stands for FOXO1 inhibitor, while “AMPKIN” denotes AMPK inhibitor. All experiments were conducted in triplicate to ensure reliability of the results.
PCYT2 modulates ovarian epithelial cancer cell invasion and metastasis by regulating membrane fluidity, mediated through its enzymatic synthesis of phosphatidylethanolamine (Fig. 8).
Fluorescence recovery after photobleaching (FRAP) analysis revealed striking differences in membrane dynamics between PCYT2-manipulated SKOV3 cells. The OE group (PCYT2-overexpressing cells) demonstrated rapid fluorescence recovery within 8. 07 s, while shPCYT2 cells showed prolonged recovery (136. 03 s), indicating reduced membrane fluidity in the knockdown group. Figure 8D illustrates these divergent recovery patterns: PCYT2-overexpressing cells exhibited accelerated fluorescence restoration (as shown by the steeper recovery curve), contrasting sharply with the gradual recovery observed in PCYT2-deficient cells. Statistical analysis confirmed significant differences in recovery kinetics between experimental groups (OE vs. shPCYT2: **P < 0.001). These FRAP measurements inversely correlate with membrane rigidity-shorter recovery times denote higher fluidity, while prolonged recovery indicates membrane stiffening.
Interference with PCYT2 expression affects cell membrane fluidity. This figure includes three subfigures: (A) a fluorescence bleach plot of SKOV3 cells overexpressing PCYT2, (B) a plot of SKOV3 cells with reduced PCYT2 expression, this figure comprises three experimental panels (A–C) with corresponding membrane dynamics analysis (D–E). (A–C) Show sequential fluorescence patterns in SKOV3 cells: (A) PCYT2-overexpressing (OE), (B) PCYT2-knockdown (SH), and (C) non-transfected control cells. Each main panel contains three subpanels: pre-bleach images (A1-C1), immediate post-bleach capture (A2-C2), and membrane recovery phases (A3-C3).Time-to-half-recovery (t1/2)values are annotated in the lower right corners of recovery subpanels. (D) Quantifies fluorescence recovery kinetics through normalized intensity curves: green (OE), black (SH), and red (control).The x-axis represents time post-bleach (seconds), while the y-axis indicates relative fluorescence intensity. Corresponding t1/2 values are compared in (E), demonstrating significant differences between experimental groups (OE vs. SH vs. control, **P < 0.001).The horizontal axis represents the experimental groups: Control for untreated SKOV3 cells (Green Column), OE for SKOV3 cells that overexpress PCYT2(Purple Column), and SH for SKOV3 cells with PCYT2 knockdown (Red Column).The vertical axis shows the time required to restore the original fluorescence intensity. In the figure, he control group are SKOV3 cells that were not transfected with any plasmid, the OE group are the cells transfected with a plasmid that overexpresses PCYT2, and the SH group are the cells transfected with a plasmid that knocks down the expression of PCYT2.
Discussion
Ovarian cancer is one of the most deadly cancers of the female reproductive system1. Its hidden progression frequently leads to late diagnosis and poor outcomes. The complex biology of ovarian cancer, marked by significant diversity and a tendency to spread, presents major challenges for effective treatment strategies. High-grade serous carcinoma, the most prevalent subtype, is especially aggressive and is frequently diagnosed at an advanced stage. This situation underscores the critical need for a a more profound understanding of its molecular mechanisms and the discovery of new therapeutic targets6,9.
This study focuses on the role of phosphatidylethanolamine cytidylyltransferase 2 (PCYT2) in ovarian cancer, specifically its expression and function in tumour progression and metastasis. Our results indicate that PCYT2 affects cell apoptosis and migration, it also interacts with key signalling pathways, especially the AMPK/FOXO1 axis. By elucidating the interactions between PCYT2 and important signalling pathways, this research offers valuable insights into the mechanisms of ovarian cancer metastasis and proposes potential avenues for targeted therapy8,10.
These findings are significant as they enhance our understanding of the molecular mechanisms driving ovarian cancer metastasis, particularly through the regulation of CTP: phosphoethanolamine cytidylyltransferase and its links to the AMPK and FOXO1 signaling pathways. The elevated PCYT2 expression observed in metastatic lesions (vs. primary tumors) reveals its pivotal role in ovarian cancer progression through dual regulatory mechanisms: (1) Lipid Metabolic Reprogramming: PCYT2-mediated phosphoethanolamine synthesis modulates membrane phospholipid homeostasis, directly impacting metastatic cell motility through membrane fluidity regulation11,12. (2) Signaling Network Crosstalk: Reciprocal modulation between PCYT2 and the AMPKα/FOXO1 axis establishes a feedforward loop that sustains energy stress adaptation and anoikis resistance. Additionally, the reciprocal regulation of PCYT2 and the AMPK/FOXO1 signaling pathways could provide valuable insights into how ovarian cancer cells adapt metabolically to increase their invasiveness. This suggests a promising therapeutic target for intervention in ovarian cancer13.
The migration assay results emphasize the important role of PCYT2 in in ovarian cancer cell behavior. The data indicate that increasing PCYT2 levels significantly boosts cell migration. Conversely, silencing PCYT2 results in a marked decrease in cell migration. This supports the idea that PCYT2 is essential for the aggressive properties of ovarian cancer cells. This finding aligns with previous research that connects lipid biosynthesis to tumour development. It suggests that targeting PCYT2 may disrupt pathways that are critical for the survival and spread of cancer cells6. Additionally, these findings underscore the necessity of further investigating PCYT2’s role in various ovarian cancer subtypes. Differences in gene expression could be linked to varying metastatic potentials and prognostic outcomes for patients9.
Initial findings indicate that PCYT2 might influence cell interactions within the tumour microenvironment, potentially leading to new treatment options for ovarian cancer therapy. PCYT2 overexpression can increase membrane fluidity, which may impact immune cell infiltration and response. This suggests that targeting PCYT2 might affect tumor growth and the immune environment14. This view aligns with emerging paradigms in cancer therapy that advocate for a more integrative approach, acknowledging the relationship between tumour cell biology and immune responses. Consequently, further research is essential to clarify PCYT2’s role in the immune response and evaluate its potential as a novel immunotherapeutic target for ovarian cancer treatment15.
The study has several important limitations that must be recognized. First, the small sample size may limit the statistical power and generalizability of the findings. The lack of clinical validation further limits the applicability of the results, as the link between PCYT2 expression and patient outcomes needs additional study. In addition, the study did not stratify the data by ovarian cancer subtype. Such stratification could clarify whether the observed effects of PCYT2 are consistent across different tumour phenotypes. In addition, potential batch effects in the different datasets could introduce variability that could confound the results. These limitations emphasize the need for larger multi-centre studies that include clinical correlates and various ovarian cancer subtypes to strengthen conclusions about the role of PCYT2 in ovarian cancer progression.
This study delineates PCYT2’s pivotal role in orchestrating ovarian cancer cell migration and metastatic dissemination via AMPK/FOXO1 signaling axis modulation. Key revelations include: (1) PCYT2 overexpression enhances transwell migration capacity by 1. 45-fold (p < 0.001) in SKOV3/OVCAR3 models. (2) RNAi-mediated PCYT2 suppression reduces Matrigel invasion by 73% (p < 0.001). (3) AMPK phosphorylation status directly correlates with PCYT2-driven EMT transcriptional reprogramming. These findings deepen our understanding of the molecular mechanisms underlying ovarian cancer. They also suggest potential therapeutic targets for further research, and sets the stage for future research on targeted therapies.
Data availability
The data supporting the results of this study are available on request from the corresponding author.
References
Bachmayr-Heyda, A. et al. Small RNAs and the competing endogenous RNA network in high grade serous ovarian cancer tumor spread. Oncotarget 7(26), 39640–39653 (2016).
Kriplani, D. & Patel, M. M. Immunohistochemistry: A diagnostic aid in differentiating primary epithelial ovarian tumors and tumors metastatic to the ovary. South. Asian J. Cancer. 2(4), 254–258 (2013).
McGowan, L. Pathology of the ovary. Curr. Opin. Obstet. Gynecol. 3(4), 580–586 (1991).
Li, X. Q. et al. Angiotensin-converting enzyme-dependent intrarenal angiotensin II contributes to CTP: phosphoethanolamine cytidylyltransferase downregulation, mitochondrial membranous disruption, and reactive oxygen species overgeneration in diabetic tubulopathy. Antioxid. Redox Signal. (2024).
Gulshan, K., Shahi, P. & Moye-Rowley, W. S. Compartment-specific synthesis of phosphatidylethanolamine is required for normal heavy metal resistance. Mol. Biol. Cell. 21(3), 443–455 (2010).
Tamás, J., Vereczkey, I. & Tóth, E. A Petefészek áttéti Tumorai, a Szövettani diagnosztika problémái [Metastatic tumors in the ovary, difficulties of histologic diagnosis]. Magy Onkol. 59(3), 205–213 (2015).
McMullen, M., Karakasis, K., Rottapel, R. & Oza, A. M. Advances in ovarian cancer, from biology to treatment. Nat. Cancer. 2(1), 6–8 (2021).
Bijron, J. G., Bol, G. M., Verheijen, R. H. & van Diest, P. J. Epigenetic biomarkers in the diagnosis of ovarian cancer. Expert Opin. Med. Diagn. 6(5), 421–438 (2012).
Mehra, P., Aditi, S., Prasad, K. M. & Bariar, N. K. Histomorphological analysis of ovarian neoplasms according to the 2020 WHO classification of ovarian tumors: A distribution pattern in a tertiary care center. Cureus 15(4), e38273 (2023).
Ando, H. et al. Transcriptional suppression of CTP: phosphoethanolamine cytidylyltransferase by 25-hydroxycholesterol is mediated by nuclear factor-Y and Yin Yang 1. Biochem. J. 471(3), 369–379 (2015).
Fullerton, M. D. & Bakovic, M. Complementation of the metabolic defect in CTP: phosphoethanolamine cytidylyltransferase (Pcyt2)-deficient primary hepatocytes. Metabolism 59(12), 1691–1700 (2010).
Umezawa, F. et al. Cancer malignancy is correlated with upregulation of PCYT2-mediated glycerol phosphate modification of α-dystroglycan. Int. J. Mol. Sci. 23(12), 6662 (2022).
Basu, P. et al. Male-specific cardiac dysfunction in CTP: phosphoethanolamine cytidylyltransferase (Pcyt2)-deficient mice. Mol. Cell. Biol. 35(15), 2641–2657 (2015).
Vitale, I. et al. Mutational and antigenic landscape in tumor progression and cancer immunotherapy. Trends Cell. Biol. 29(5), 396–416 (2019).
Bates, J. P., Derakhshandeh, R., Jones, L. & Webb, T. J. Mechanisms of immune evasion in breast cancer. BMC Cancer. 18(1), 556 (2018).
Funding
This research was partially funded by Grants-in-Aid for Scientific Research (Grant Number QKY2022-03, YY2023-11, XD2023-13 awarded to Xie Yulian and Chen Hailin).
Author information
Authors and Affiliations
Contributions
Conceptualization was undertaken by Chen Hailin and Xia Fei; methodology was developed by Xie Yulian; formal analysis was conducted by Xie Yulian; the investigation was carried out by Chen Hailin and Xie Yulian; the preparation of the original draft was completed by Chen Hailin, Xie Yulian, Wei Wengong, Zhang Ru, Liu Chenwu, Shi Yinong, and Xu qi; revision and editing of the manuscript were performed by Chen Hailin, Xie Yulian, and Xia Fei; supervision was provided by Chen Hailin, Xie Yulian, and Xia Fei; project administration was managed by Chen Hailin, Xie Yulian, and Xia Fei; funding acquisition was facilitated by Chen Hailin, Xie Yulian, and Xia Fei. All authors have reviewed and consented to the published version of this manuscript.
Corresponding author
Ethics declarations
Informed consent statement
Written informed consent, covering the use of clinical data and tumour tissue for research purposes, was obtained from all participating patients.
Institutional review board statement
The study protocol received approval from the Institutional Review Board (IRB) of Qingpu Branch of Zhongshan Hospital (IRB No. 2022-39) and was conducted in accordance with the ethical principles outlined in the 1975 Declaration of Helsinki (6th revision, 2008).
Competing interests
The authors declare no competing interests.
Additional information
Publisher’s note
Springer Nature remains neutral with regard to jurisdictional claims in published maps and institutional affiliations.
Electronic supplementary material
Below is the link to the electronic supplementary material.
Rights and permissions
Open Access This article is licensed under a Creative Commons Attribution-NonCommercial-NoDerivatives 4.0 International License, which permits any non-commercial use, sharing, distribution and reproduction in any medium or format, as long as you give appropriate credit to the original author(s) and the source, provide a link to the Creative Commons licence, and indicate if you modified the licensed material. You do not have permission under this licence to share adapted material derived from this article or parts of it. The images or other third party material in this article are included in the article’s Creative Commons licence, unless indicated otherwise in a credit line to the material. If material is not included in the article’s Creative Commons licence and your intended use is not permitted by statutory regulation or exceeds the permitted use, you will need to obtain permission directly from the copyright holder. To view a copy of this licence, visit http://creativecommons.org/licenses/by-nc-nd/4.0/.
About this article
Cite this article
Chen, H., Xie, Y., Xia, F. et al. PCYT2 mediates ovarian epithelial cancer metastasis by regulating cell membrane fluidity through the AMPK/FOXO1 signalling pathway. Sci Rep 15, 12044 (2025). https://doi.org/10.1038/s41598-025-96405-9
Received:
Accepted:
Published:
Version of record:
DOI: https://doi.org/10.1038/s41598-025-96405-9










