Abstract
Stem cell-based therapy holds promise for intervertebral disc degeneration (IDD) regeneration, but the underlying mechanisms require further elucidation. Long noncoding RNAs (lncRNAs) have been implicated in physiological processes such as apoptosis and differentiation. While numerous studies have investigated messenger RNAs (mRNAs) and lncRNAs in normal versus degenerated nucleus pulposus (NP), the differential expression of lncRNAs and mRNAs during stem cell differentiation into NP-like cells remains poorly characterized. This study aimed to identify differentially expressed mRNAs and lncRNAs during the differentiation of human adipose-derived mesenchymal stem cells (hADSCs) into NP-like cells and to explore the associated signaling pathways and regulatory networks. hADSCs were induced to differentiate into NP-like cells using a cytokine cocktail. Differentiation was confirmed by assessing marker gene expression via PCR and immunofluorescence staining. RNA sequencing (RNA-seq) was employed to profile lncRNA and mRNA expression during differentiation. Gene Ontology (GO) and Kyoto Encyclopedia of Genes and Genomes (KEGG) pathway analyses were used to identify the biological functions and pathways associated with the significantly altered genes. 500 lncRNAs (217 up and 283 down) and 601 mRNAs (269 up and 332 down) were significantly differentially expressed during hADSC differentiation. The RNA-seq findings were validated by real-time PCR. GO analysis revealed significant enrichment of terms related to biological processes, molecular functions, and cellular components. KEGG pathway analysis highlighted several significantly enriched pathways. A gene interaction network illustrated relationships among the differentially expressed genes, and an mRNA-lncRNA co-expression network suggested potential regulatory interactions. This study is the first to profile differentially expressed lncRNAs and mRNAs during hADSC differentiation into NP-like cells. These findings provide valuable insights for understanding the mechanisms of stem cell therapy and IDD regeneration.
Introduction
Low back pain (LBP) caused by degenerative disc disease (DDD) is a prevalent condition across all age groups and a leading cause of work limitation in individuals under 45 years old1. The incidence of DDD-associated LBP ranges from 60% to 90%, incurring annual healthcare costs of $50–100 billion in the United States alone2. The chronic disease prevalence rate of DDD is 9.5‰, ranking sixth among all diseases. The social burden of DDD in China is also substantial. Current clinical management of DDD often involves symptomatic surgery3, which is associated with high recurrence rates, significant complications, and considerable physical, psychological, and economic burdens for patients.
Studies have demonstrated that a reduction in nucleus pulposus (NP) cell number is a primary initiating factor in DDD4,5. NP cells are the principal cellular components of the intervertebral disc. In juvenile patients with neuromuscular scoliosis, the cell number and water content in the intervertebral disc on the convex (degenerative) side are significantly lower than those on the concave (normal) side6. Furthermore, the proportion of senescent NP cells increases from approximately 2% in the fetal period to 80% in old age7. NP cells also play a crucial role in maintaining the metabolic balance of the intervertebral disc matrix, exhibiting twice the matrix synthesis capacity of chondroid cells and enhancing chondrocyte synthesis through the secretion of cytokines like connective tissue growth factor (CTGF)8. Therefore, restoring NP cell numbers in degenerated discs represents a promising strategy for disc repair, providing a rationale for stem cell transplantation in DDD treatment.
Numerous studies confirm that stem cell transplantation can not only differentiate into NP cells but also promote the synthesis of matrix components (e.g., type II collagen, proteoglycans), restore NP water content, and increase the disc height index9,10,11. However, the adverse microenvironment of the degenerated disc (characterized by low pH, low oxygen, altered osmotic pressure, and inflammatory factor accumulation) likely contributes to the poor survival, limited differentiation, and reduced matrix synthesis of transplanted stem cells in vivo12,13,14. The precise mechanisms limiting stem cell differentiation within the disc microenvironment remain unclear. Elucidating methods to enhance the directed differentiation of adipose-derived mesenchymal stem cells (ADSCs) into NP cells is crucial for optimizing stem cell-based DDD therapies.
Intervertebral disc degeneration (IDD) is the predominant cause of LBP, posing a significant societal burden15,16. Stem cell therapy is among the most promising approaches for disc regeneration17,18. Mesenchymal stem cells can be induced to differentiate into NP-like cells using specific cytokines19, yet the underlying molecular mechanisms are not fully understood.
Emerging evidence indicates that long noncoding RNAs (lncRNAs) are important regulators of stem cell differentiation20. RNA sequencing (RNA-seq) technology enables comprehensive analysis of genome-wide expression changes, facilitating the identification of differentially expressed lncRNAs, miRNAs, and mRNAs. Most existing studies have focused on lncRNA differences between normal and degenerated intervertebral discs21,22,23. Given the pivotal role of stem cell therapy in disc regeneration24,25, investigating the molecular mechanisms governing hADSC differentiation is essential.
However, to date, no studies have focused on the differential expression of lncRNAs, miRNAs, and mRNAs during hADSC differentiation into NP-like cells. This study utilized RNA-seq analysis to identify differentiation-associated lncRNAs, miRNAs, and mRNAs. We employed bioinformatics tools to uncover potential signaling pathways via KEGG analysis and to construct gene regulatory networks involving lncRNAs, miRNAs, and mRNAs. We hypothesized that specific lncRNAs are involved in regulating the differentiation of hADSCs into Np-like cells, potentially through Pl3K/Akt and cytoskeletal signaling pathways.
Methods
Cells and reagents
hADSCs were purchased from Cyagen Biosciences (HUXMD-01001; Guangzhou, China) and cultured in growth medium (HUXMD-90011; Cyagen Biosciences) at 37 °C in a humidified incubator with 5% CO₂. The medium was refreshed every three days. hADSCs at passages 2–4 were used for all experiments. All procedures performed in studies were in accordance with the ethical standards of the Research Ethics Committee of the Second Affiliated Hospital of Zhejiang University School of Medicine, China (NO: IRB-2021-550).
hADSC differentiation culture medium
The NP differentiation medium consisted of: 1× ITS, 0.1 µM dexamethasone, 1 mM sodium pyruvate, 0.35 mM proline, 0.17 mM ascorbic acid-2-phosphate, 1.25 mg/ml BSA, 10 ng/ml TGF-β1, 100 ng/ml GDF5, 1× Antibiotic-Antimycotic, and 10 ng/ml BMP226.
Cell pellet culture
For 3D culture, 3 × 10⁵ cells were centrifuged at 1500 rpm for 5 min in 15 ml polypropylene conical tubes and incubated at 37 °C overnight to form pellets. Pellets were then cultured in either NP differentiation medium (NP group) or hADSC growth medium (control group). The medium was changed every three days. Pellets were harvested at days 7, 14, and 21 for microscopic analysis. After culture, pellets were fixed in 4% paraformaldehyde for 24 h and dehydrated in 30% sucrose solution.
Histological analysis
Pellets collected at days 7, 14, and 21 were sectioned into 7 μm thick frozen sections and stained with Hematoxylin and Eosin (H&E).
Immunofluorescence staining
Pellets from day 21 were fixed, sectioned into 7 μm frozen sections, and incubated overnight at 4 °C with primary antibodies against collagen II (1:500), aggrecan (1:500), and SOX-9 (1:500). After washing, sections were incubated with fluorescence-conjugated secondary antibodies for 1 h, counterstained with DAPI for 5 min (BOSTER Biological Technology), and imaged using a fluorescence microscope.
RNA-seq analysis
mRNA and lncRNA expression profiles were compared between hADSCs cultured in NP differentiation medium and control medium. Subsequent analyses included Gene Ontology (GO), KEGG pathway, and signal-net analysis. RNA-seq was performed by Lc-Bio Technologies Co., Ltd. (Hangzhou, China). Differentially expressed mRNAs and lncRNAs were identified using a Random Variance Model (RVM) t-test. Hierarchical clustering was performed to generate cluster maps. mRNA and lncRNA expression profiles were compared in hADSCs cultured with NPM (NP group, n = 3) and control medium (Non-Induced group, n = 3). Screening for differentially expressed genes was performed using the thresholds of |log2(Fold Change)| > 1 (indicating a two-fold difference) and p_value < 0.05. StringTie was used to perform expression level for mRNAs and lncRNAs by calculating FPKM. Over 95% of the raw reads were retained as clean data. Furthermore, more than 85% of the bases across all samples achieved a Q30 quality score.
qRT-PCR analysis
Total RNA was extracted using RNAiso reagent (TaKaRa Bio, Japan). Reverse transcription was performed with a PrimeScript RT reagent kit (TaKaRa Bio, Japan). qRT-PCR was conducted on a StepOnePlus Real-time PCR System (Applied Biosystems, USA) using SYBR® Premix Ex Taq™ (TaKaRa Bio, Japan). 18 S rRNA served as the housekeeping gene, and the 2^(-ΔΔCt) method was used for relative quantification. All reactions were performed in triplicate. Primer sequences (Table 1) were synthesized by Sangon Biotech (Shanghai, China).
GO analysis
The functional roles of significantly differentially expressed genes were analyzed using the GO database (http://www.geneontology.org) via two-sided Fisher’s exact test and chi-square test. A P-value < 0.01 was considered statistically significant.
Pathway analysis
Pathway analysis was based on the KEGG database (http://www.genome.jp/kegg/). Fisher’s exact test and the chi-square test were used to evaluate the significance of pathway enrichment, with a P-value < 0.05 deemed significant.
Signal-net analysis
Key genes identified in both GO and pathway analyses were selected to construct a gene-gene interaction network based on the KEGG database. The network was visualized as a graph where nodes represent genes and edges represent interactions (e.g., activation, phosphorylation). The importance of each gene in the network was assessed by its degree of centrality.
Competing endogenous RNA (ceRNA) analysis
We constructed a ceRNA network based on the hypothesis that lncRNAs regulate miRNA availability by acting as miRNA sponges. Differentially expressed miRNAs were used to map the network. Target predictions were obtained from TargetScan (http://www.targetscan.org/), miRDB (https://www.mirdb.org), and starBase (https://rnasysu.com/encori/). The network integrated interactions among lncRNAs, miRNAs, and mRNAs.
Statistical analysis
The data are presented as the mean ± standard deviation. The difference was analysed by Student’s t analysis by SPSS 20.0 software (Chicago IL, USA). A P-value < 0.05 (two tailed) was considered statistically significant.
Ethics approval
This study did not constitute a clinical trial; therefore, participant consent was not required, nor did it fall under the purview of the Declaration of Helsinki concerning ethical principles for medical research involving human subjects.Human adipose-derived mesenchymal stem cells (ASCs, product code HUXMD-01001; see link for details: https://www.oricellbio.cn/product/adipose-derived-msc-HUXMD-01001.html) and the corresponding culture medium were commercially sourced from Cyagen Biosciences (Guangzhou) Inc. These human cell lines have been described and utilized in prior published studies (references: https://doi.org/10.1186/s13287-024-04085-5, https://doi.org/10.1021/acsami.4c02989, and https://doi.org/10.1016/j.apmt.2021.101264). The use of the purchased human cell lines and culture medium in this research were in accordance with the ethical standards of the Research Ethics Committee of the Second Affiliated Hospital of Zhejiang University School of Medicine, China (NO: IRB-2021-550).
Informed consent
Written informed consent was obtained from the patient for publication of this case report and any accompanying images. A copy of the written consent is available for review by the Editor-in-Chief of this journal.
Results
Expression of NP-like cell markers
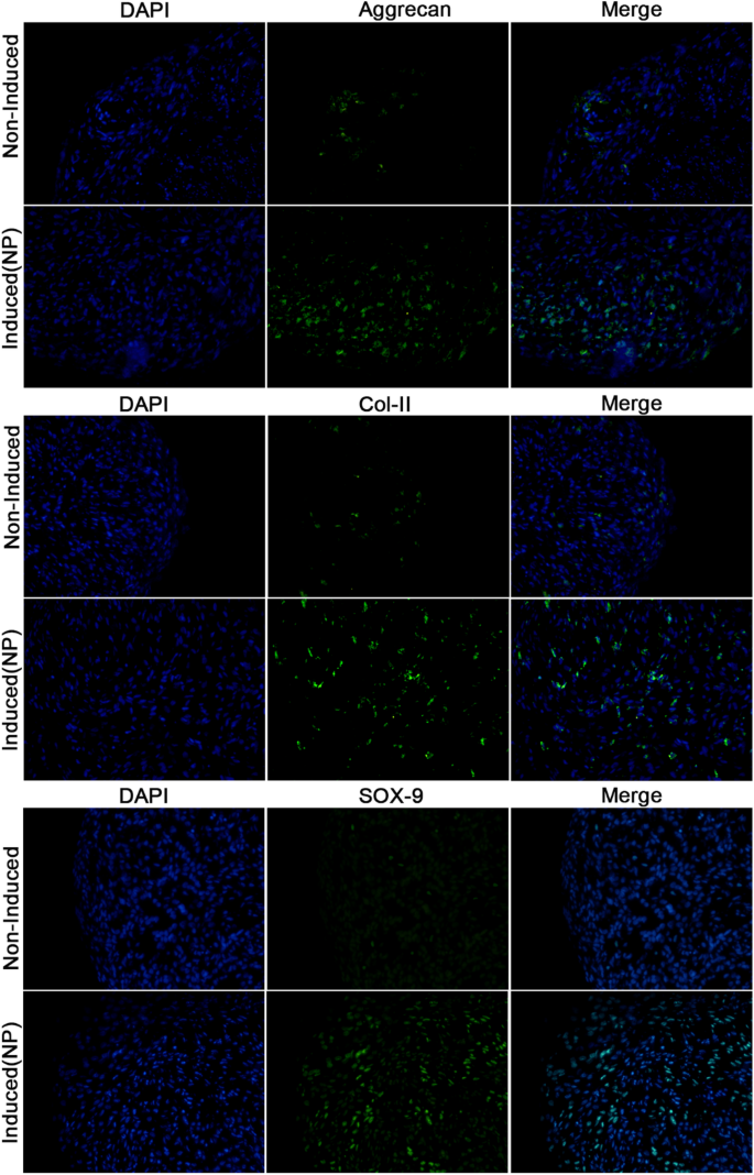
hADSCs were cultured in a 3D pellet model. Microscopic and histological examination revealed a higher proportion of NP-like cells in the NP group compared to the control group (Fig. 1). PCR analysis of marker genes showed significant upregulation of NP-specific genes (PAX1, FoxF1, CA12) in the induced (NP) group, while cartilage-related genes (IBSP, FBLN1) showed no significant difference (Fig. 2). Immunofluorescence confirmed the expression of SOX-9, collagen II, and aggrecan in hADSCs cultured with differentiation factors, indicating successful differentiation into NP-like cells (Fig. 3).
A hADSCs cells were culture in 3D model. B The result shows the microscopic morphology of pellet. The histological image shows microscopic morphology of pellet.
The specific gene of PAX1, FoxF1, IBSP, FBLN1, SOX9, ACAN, CA12 and COL2 were measured by PCR. * indicate p < 0.05, **indicate p < 0.01.
Immunofluorescence of sox-9, col-2 and aggrecan in Induce (NP) and Non-Induced group.
Identification of differentially expressed LncRNAs and mRNAs
RNA-seq analysis of hADSCs cultured under differentiation conditions detected 12,092 lncRNAs and 20,256 mRNAs. Among these, 500 lncRNAs (217 up and 283 down) and 601 mRNAs (269 up and 332 down) were significantly differentially expressed during differentiation into NP-like cells (Fig. 4). The top 10 differentially expressed lncRNAs were: AL355075.4, MALAT1, AC022966.2, AC006064.4, AC145207.3, AC125611.3, DDIT4-AS1, AL662797.3, AL121748.2, and AC008914.1. The top 10 differentially expressed mRNAs were: KCTD11, ALOX15B, KANK4, RNF139, TLR2, CHMP1B, CA9, PFN1P2, LEP, RNU1-27P. NP cell-specific markers, including SOX-9, COL2A1, and CD24, were upregulated in the NP group, consistent with PCR results.
Heat map shows differentially expressed long noncoding RNAs (lncRNAs) and messenger RNAs (mRNAs). X-axis represent the sample groups and y-axis represent the different probes. NP: Induce (NP)group. Con: Non-Induced group.
Gene ontology (GO) analysis
GO enrichment analysis of differentially expressed lncRNAs and mRNAs identified 51 significantly regulated GO terms. The top 20 terms are listed in Fig. 5. The most significantly enriched term was “extracellular matrix structural constituent” (GO:0005201). Genes were also enriched in terms such as “cadherin binding,” “glycosaminoglycan binding,” and “kinase regulator activity.”
The result of GO enrichment analysis. A The barplot show the top 20 most significantly upregulated Gene Ontology (GO) terms. B The dotplot show the top 20 most significantly upregulated Gene Ontology (GO) terms.
Pathway analysis
KEGG pathway analysis of differentially expressed mRNAs revealed the top 20 significantly regulated pathways (Fig. 6). The PI3K-Akt signaling pathway and pathways related to the cytoskeleton in muscle cells were highly associated with the differentiation process. The enrichment score, calculated as -log10(p-value), represents the significance of pathway enrichment.
Results of the Kyoto Encylopedia of Genes and Genomes (KEGG) pathway analysis. The pathway PI3K-Akt and Cytoskeleton in muscle cells show highly related with the differentiation process. The significance of the corresponding pathway was denoted by P-value. Benjamini Hochberg FDR (p.adjust) was used for multiple-testing correction. A P-value < 0.05 (two tailed) was considered statistically significant.
Competing endogenous RNA (ceRNA) network
A ceRNA network was constructed using 14 differentially expressed lncRNAs, 51 differentially expressed miRNAs, and 601 differentially expressed mRNAs based on correlation degrees. The core lncRNAs in the network included RPL41, RNU4-2, U2, ZNF331, JARID2, CLVS1, GAS5, EMX2OS, MALAT1, MEG3, CYP1B1-AS1, PRICKLE2-AS1, VCAN-AS1, and PAPPA-AS1. Among these, ZNF331, JARID2, and MEG3 were upregulated in the NP group; PRICKLE2-AS1, CYP1B1-AS1, MALAT1, MEG3, and GAS5 showed complex expression patterns; and VCAN-AS1, PAPPA-AS1, RPL41, RNU4-2, and CLVS1 were downregulated (Fig. 7).
The long noncoding RNA (lncRNA)-messenger RNA (mRNA)-micro RNA (miRNA) competing endogenous RNA (ceRNA) network. Red lozenges denote lncRNAs; blue circles denote mRNAs; yellow triangles denote miRNAs.
Discussion
IDD is the result of many factors, such as oxidative stress, which was also play an important role in sciatic nerve injury and spinal cord injury27,28,29, and the decrease in NP cell number is a key initiating factor11,30. The presence of stem cells within the intervertebral disc has been confirmed31, suggesting that stimulating endogenous disc stem cells to proliferate and differentiate into NP cells could be an effective therapeutic strategy. However, achieving efficient stem cell differentiation into functional NP cells to counteract the pathological effects of endogenous stem cell insufficiency and aging remains a significant challenge26. Our previous work indicated that the differentiation efficiency of hADSCs into NP-like cells was only about 40%6, highlighting the need to improve the efficiency and understand the mechanisms of hADSC NP differentiation for clinical translation.
LncRNAs are increasingly recognized as key regulators of stem cell pluripotency and lineage-specific differentiation32,33,34. They often exhibit greater tissue-specificity than protein-coding genes and interact with transcription factors, underscoring their importance in cell fate determination35,36,37. For instance, lncRNAs such as MALAT136,38, MEG339,40, and GAS541,42 regulate osteogenic, myogenic, and other differentiation processes in various stem cell types. While these studies demonstrate lncRNA involvement in differentiation, their specific roles and mechanisms in hADSC NP differentiation are largely unknown.
Our study identified 12,092 lncRNAs and 20,256 mRNAs with specific expression patterns during hADSC NP differentiation. Further analysis pinpointed RPL41, RNU4-2, U2, ZNF331, JARID2, CLVS1, GAS5, EMX2OS, MALAT1, MEG3, CYP1B1-AS1, PRICKLE2-AS1, VCAN-AS1, and PAPPA-AS1 as potential key regulatory lncRNAs. Among these, GAS5, MALAT1, and MEG3 have previously been associated with NP cell degeneration43,44,45. Upregulation of ZNF331 and JARID2 may promote hADSC differentiation into NP cells, while the roles of other identified lncRNAs warrant further investigation. Compared with known lncRNAs such as lncRNA H1946 and MEG347 (which has been reported to influence osteogenic differentiation of mesenchymal stem cells by regulating specific miRNAs), the function of RPL41 in stem cell differentiation toward NP cells has not been reported. Its expression pattern suggests that it may be involved in translational regulation or ribosome function modulation distinct from classical differentiation pathways. This provides a new perspective for understanding the fine-tuned regulation of protein synthesis networks during NP differentiation. As a core component of the spliceosome, the function of its lncRNA form in stem cell differentiation toward NP cells remains unknown. This contrasts with known lncRNAs that influence cell differentiation by regulating alternative splicing of key transcripts, such as the role of MALAT1 in the differentiation of various stem cells48,49. In-depth research on U2 may reveal new regulatory networks of post-transcriptional splicing in the fate determination of NP differentiation. The function of the lncRNA associated with this gene has not been explored in the field of stem cell differentiation toward NP cells. Unlike some well-established lncRNAs such as Xist and HOTAIR that affect differentiation through cis- or trans-regulation of neighboring coding genes50, the ZNF331 lncRNA may reveal novel associations of zinc finger protein family transcription factors in the epigenetic regulation of NP differentiation.
GO analysis indicated that differentially expressed genes were enriched in functions related to extracellular matrix organization, collagen binding, and glycosaminoglycan binding—processes critical for NP tissue function. Key differentially expressed mRNAs included LOX, CDKN1A, PLOD2, INSIG1, EIF1, IGFBP5, HMGCS1, DDIT4, PTP4A1, ATP5B, and DHCR24. Several of these (e.g., LOX51,52,53, CDKN1A54,55, PLOD256, IGFBP557,58, ATP5B59, DHCR2460) have established roles in various cell differentiation pathways, suggesting their potential involvement in NP differentiation, although the functions of INSIG1, EIF1, HMGCS1, DDIT4, and PTP4A1 in this context require further study.
KEGG pathway analysis highlighted the importance of the PI3K/Akt signaling pathway and cytoskeletal regulation in muscle cells during differentiation. The PI3K/Akt pathway is a well-known regulator of diverse differentiation processes, including osteogenesis, angiogenesis, and myogenesis61,62,63,64. Our finding that this pathway is upregulated during NP differentiation aligns with its broad role in cell fate decisions.
The strongly differentially expressed lncRNAs and mRNAs identified here represent promising candidates for regulating hADSC NP differentiation. These findings may guide the optimization of stem cell-based therapies for intervertebral discregeneration and highlight IncRNAs as potential molecular targets for enhancing NP cell differentiation.
This study has several limitations. First, the RNA-seq analysis was based on a relatively small sample size. Second, the conclusions are drawn solely from an in vitro differentiation model, which cannot fully replicate the complex physiological or pathological microenvironment of native intervertebral discs. Finally, the study is absence of functional assays confirming NP-like phenotype stability.
Conclusion
Stem cell differentiation is a complex process, historically attributed to tissue-specific transcription factors. We now recognize that lncRNAs play crucial regulatory roles in maintaining pluripotency and directing differentiation. This study identified 14 lncRNAs and 601 mRNAs that are significantly differentially expressed during hADSC differentiation into NP-like cells. These findings provide a foundational resource for understanding stem cell-based IDD therapy and highlight lncRNAs as potential therapeutic targets for enhancing NP cell regeneration.
Data availability
Sequence data that support the findings of this study have been deposited in the ArrayExpress accession with the primary accession code E-MTAB-15403.
Abbreviations
- LncRNA:
-
Long noncoding RNA
- IDD:
-
Intervertebral disc degeneration
- mRNA:
-
Messenger RNA
- hADSCs:
-
Human adipose-derived mesenchymal stem cells
- DDD:
-
Degenerative disc disease
- GO:
-
Gene Ontology
- KEGG:
-
Kyoto Encyclopedia of Genes and Genomes
- ceRNA:
-
Competing endogenous RNA
References
Hoffeld, K. et al. Patient-related risk factors and lifestyle factors for lumbar degenerative disc disease: a systematic review. Neurochirurgie 69, 101482. https://doi.org/10.1016/j.neuchi.2023.101482 (2023).
Nguyen, C. et al. Intradiscal glucocorticoid injection for patients with chronic low back pain associated with active discopathy: A randomized trial. Ann. Intern. Med. 166, 547–556. https://doi.org/10.7326/M16-1700 (2017).
Manchikanti, L. et al. Comprehensive review of epidemiology, scope, and impact of spinal pain. Pain Physician. 12, E35–70 (2009).
Brinjikji, W. et al. Systematic literature review of imaging features of spinal degeneration in asymptomatic populations. AJNR Am. J. Neuroradiol. 36, 811–816. https://doi.org/10.3174/ajnr.A4173 (2015).
Chen, F. et al. Serglycin secreted by late-stage nucleus pulposus cells is a biomarker of intervertebral disc degeneration. Nat. Commun. 15, 47. https://doi.org/10.1038/s41467-023-44313-9 (2024).
Liang, C. Z. et al. Dual release of dexamethasone and TGF-beta3 from polymeric microspheres for stem cell matrix accumulation in a rat disc degeneration model. Acta Biomater. 9, 9423–9433. https://doi.org/10.1016/j.actbio.2013.08.019 (2013).
Zhu, J. et al. Sustained release of GDF5 from a designed coacervate attenuates disc degeneration in a rat model. Acta Biomater. 86, 300–311. https://doi.org/10.1016/j.actbio.2019.01.028 (2019).
Xia, K. et al. Intradiscal injection of induced pluripotent stem cell-derived nucleus pulposus-like cell-seeded polymeric microspheres promotes rat disc regeneration. Stem Cells Int 2019, 6806540. https://doi.org/10.1155/2019/6806540 (2019).
Krut, Z., Pelled, G., Gazit, D. & Gazit, Z. Stem cells and exosomes: New therapies for intervertebral disc degeneration. Cells https://doi.org/10.3390/cells10092241 (2021).
Cheng, X. & Wu, L. Injectable smart-blended hydrogel cross-linked with Vanillin to accelerate differentiation of intervertebral disc-derived stem cells (IVDSCs) for promoting degenerative nucleolus pulposus in a rat model. Inflammopharmacology 32, 3443–3459. https://doi.org/10.1007/s10787-024-01554-4 (2024).
Zhou, X. et al. Nucleus pulposus cell-derived efficient microcarrier for intervertebral disc tissue engineering. Biofabrication https://doi.org/10.1088/1758-5090/acb572 (2023).
Wang, D. et al. Attenuating intervertebral disc degeneration through spermidine-delivery nanoplatform based on polydopamine for persistent regulation of oxidative stress. Int. J. Biol. Macromol. 274, 132881. https://doi.org/10.1016/j.ijbiomac.2024.132881 (2024).
McDonnell, E. E. & Buckley, C. T. Consolidating and re-evaluating the human disc nutrient microenvironment. JOR Spine. 5, e1192. https://doi.org/10.1002/jsp2.1192 (2022).
Chen, X. et al. Intervertebral disc degeneration and inflammatory microenvironment: expression, pathology, and therapeutic strategies. Inflamm. Res. 72, 1811–1828. https://doi.org/10.1007/s00011-023-01784-2 (2023).
Samanta, A., Lufkin, T. & Kraus, P. Intervertebral disc degeneration-Current therapeutic options and challenges. Front. Public. Health. 11, 1156749. https://doi.org/10.3389/fpubh.2023.1156749 (2023).
Ying, Y. et al. Recent advances in the repair of degenerative intervertebral disc for preclinical applications. Front. Bioeng. Biotechnol. 11, 1259731. https://doi.org/10.3389/fbioe.2023.1259731 (2023).
Yin, P. et al. Cell-Based therapies for degenerative musculoskeletal diseases. Adv. Sci. (Weinh). 10, e2207050. https://doi.org/10.1002/advs.202207050 (2023).
Trapana, J. et al. Cell-based therapy in the treatment of musculoskeletal diseases. Stem Cells Transl Med. 13, 959–978. https://doi.org/10.1093/stcltm/szae049 (2024).
Cao, C. et al. Bone marrow mesenchymal stem cells slow intervertebral disc degeneration through the NF-kappaB pathway. Spine J. 15, 530–538. https://doi.org/10.1016/j.spinee.2014.11.021 (2015).
Xie, T. et al. Dysregulated LncRNAs regulate human umbilical cord mesenchymal stem cell differentiation into insulin-producing cells by forming a regulatory network with mRNAs. Stem Cell. Res. Ther. 15, 22. https://doi.org/10.1186/s13287-023-03572-5 (2024).
Guo, H. Y., Guo, M. K., Wan, Z. Y., Song, F. & Wang, H. Q. Emerging evidence on noncoding-RNA regulatory machinery in intervertebral disc degeneration: a narrative review. Arthritis Res. Ther. 22, 270. https://doi.org/10.1186/s13075-020-02353-2 (2020).
Chen, W. K. et al. lncRNAs: novel players in intervertebral disc degeneration and osteoarthritis. Cell. Prolif. https://doi.org/10.1111/cpr.12313 (2017).
Li, G. et al. WTAP-mediated m(6)A modification of LncRNA NORAD promotes intervertebral disc degeneration. Nat. Commun. 13, 1469. https://doi.org/10.1038/s41467-022-28990-6 (2022).
Jiang, Z. et al. Cell reprogramming strategies for treating osteoarthritis and intervertebral disc degeneration. Aging Dis. https://doi.org/10.14336/AD.2023.1224 (2024).
Hajiesmailpoor, A., Mohamadi, O., Farzanegan, G., Emami, P. & Ghorbani, M. Overview of stem cell therapy in intervertebral disc disease: clinical perspective. Curr. Stem Cell. Res. Ther. 18, 595–607. https://doi.org/10.2174/1574888X17666220628123912 (2023).
Colombier, P. et al. TGF-beta1 and GDF5 act synergistically to drive the differentiation of human adipose stromal cells toward nucleus Pulposus-like cells. Stem Cells. 34, 653–667. https://doi.org/10.1002/stem.2249 (2016).
Apaydin, A. S. et al. Levetiracetam treatment in an experimental model of sciatic nerve injury: A randomized controlled trial. Neurol. Res. 45, 86–96. https://doi.org/10.1080/01616412.2022.2143617 (2023).
Bal, E. et al. Can chlorogenic acid reduce oxidative stress and in an experimental spinal cord injury? Ulus Travma Acil Cerrahi Derg. 28, 125–133. https://doi.org/10.14744/tjtes.2020.89499 (2022).
Bal, E. et al. Anti-inflammatory and antioxidative effects of genistein in a model of spinal cord injury in rats. Asian Biomed. (Res Rev. News). 15, 233–243. https://doi.org/10.2478/abm-2021-0029 (2021).
Song, C. et al. Mitochondrial dysfunction: a new molecular mechanism of intervertebral disc degeneration. Inflamm. Res. 72, 2249–2260. https://doi.org/10.1007/s00011-023-01813-0 (2023).
Chen, S. et al. Mesenchymal stem cells protect nucleus pulposus cells from compression-induced apoptosis by inhibiting the mitochondrial pathway. Stem Cells Int. 2017, 9843120. https://doi.org/10.1155/2017/9843120 (2017).
Wang, P. et al. The STAT3-binding long noncoding RNA lnc-DC controls human dendritic cell differentiation. Science 344, 310–313. https://doi.org/10.1126/science.1251456 (2014).
Chu, H. P. et al. TERRA RNA antagonizes ATRX and protects telomeres. Cell 170, 86-101.e116. https://doi.org/10.1016/j.cell.2017.06.017 (2017).
Liu, H., Liu, H., Yang, Q. & Fan, Z. LncRNA SNHG1 enhances cartilage regeneration by modulating chondrogenic differentiation and angiogenesis potentials of JBMMSCs via mitochondrial function regulation. Stem Cell. Res. Ther. 15, 177. https://doi.org/10.1186/s13287-024-03793-2 (2024).
Durruthy-Durruthy, J. et al. The primate-specific noncoding RNA HPAT5 regulates pluripotency during human preimplantation development and nuclear reprogramming. Nat. Genet. 48, 44–52. https://doi.org/10.1038/ng.3449 (2016).
Gu, Y. & Bai, Y. LncRNA MALAT1 promotes osteogenic differentiation through the miR-93-5p/SMAD5 axis. Oral Dis. 30, 2398–2409. https://doi.org/10.1111/odi.14705 (2024).
Zhao, D. et al. A novel LncRNA GM15416 regulates osteoblast apoptosis and differentiation through the c-Fos/Fas axis and mitigates osteoporosis. Int. J. Biol. Macromol. 254, 127824. https://doi.org/10.1016/j.ijbiomac.2023.127824 (2024).
Zhou, Y., Xu, Z., Wang, Y., Song, Q. & Yin, R. LncRNA MALAT1 mediates osteogenic differentiation in osteoporosis by regulating the miR-485-5p/WNT7B axis. Front. Endocrinol. (Lausanne). 13, 922560. https://doi.org/10.3389/fendo.2022.922560 (2022).
Liu, M. et al. LncRNA-MEG3 promotes bovine myoblast differentiation by sponging miR-135. J. Cell. Physiol. 234, 18361–18370. https://doi.org/10.1002/jcp.28469 (2019).
Liu, J. et al. Downregulation of the LncRNA MEG3 promotes osteogenic differentiation of BMSCs and bone repairing by activating wnt/beta-catenin signaling pathway. J. Clin. Med. https://doi.org/10.3390/jcm11020395 (2022).
Feng, J., Wang, J. X. & Li, C. H. LncRNA GAS5 overexpression alleviates the development of osteoporosis through promoting osteogenic differentiation of MSCs via targeting microRNA-498 to regulate RUNX2. Eur. Rev. Med. Pharmacol. Sci. 23, 7757–7765. https://doi.org/10.26355/eurrev_201909_18985 (2019).
Song, Y. et al. Long noncoding RNA GAS5 inhibits osteogenic differentiation through MicroRNA 382-3p/TAF1 signaling. Mol. Cell. Biol. 42, e0054120. https://doi.org/10.1128/MCB.00541-20 (2022).
Tan, L., Xie, Y., Yuan, Y. & Hu, K. LncRNA GAS5 as miR-26a-5p sponge regulates the PTEN/PI3K/Akt axis and affects extracellular matrix synthesis in degenerative nucleus pulposus cells in vitro. Front. Neurol. 12, 653341. https://doi.org/10.3389/fneur.2021.653341 (2021).
Zheng, H. et al. LncRNA MALAT1 exhibits positive effects on nucleus pulposus cell biology in vivo and in vitro by sponging miR-503. BMC Mol. Cell. Biol. 21, 23. https://doi.org/10.1186/s12860-020-00265-2 (2020).
Zhang, C., Qiu, Y. & Yuan, F. The long non-coding RNA maternally expressed 3-micorRNA-15a-5p axis is modulated by melatonin and prevents nucleus pulposus cell inflammation and apoptosis. Basic. Clin. Pharmacol. Toxicol. 133, 603–619. https://doi.org/10.1111/bcpt.13939 (2023).
Li, H. et al. LncRNA H19 promotes osteoclast differentiation by sponging miR-29c-3p to increase expression of cathepsin K. Bone 192, 117340. https://doi.org/10.1016/j.bone.2024.117340 (2025).
Liu, H. et al. LncRNA MEG3 promotes osteogenic differentiation of tendon stem cells via the miR-129-5p/TCF4/beta-Catenin axis and thus contributes to Trauma-Induced heterotopic ossification. Stem Cell. Rev. Rep. 19, 2311–2328. https://doi.org/10.1007/s12015-023-10562-w (2023).
Huang, X., Jie, S., Li, W. & Liu, C. GATA4-activated LncRNA MALAT1 promotes osteogenic differentiation through inhibiting NEDD4-mediated RUNX1 degradation. Cell. Death Discov. 9, 150. https://doi.org/10.1038/s41420-023-01422-0 (2023).
Chen, X. et al. Malat1 regulates myogenic differentiation and muscle regeneration through modulating myod transcriptional activity. Cell. Discov. 3, 17002. https://doi.org/10.1038/celldisc.2017.2 (2017).
Kopp, F. & Mendell, J. T. Functional classification and experimental dissection of long noncoding RNAs. Cell 172, 393–407. https://doi.org/10.1016/j.cell.2018.01.011 (2018).
Zhang, J., Ye, F., Ye, A. & He, B. Lysyl oxidase inhibits BMP9-induced osteoblastic differentiation through reducing Wnt/beta-catenin via HIF-1a repression in 3T3-L1 cells. J. Orthop. Surg. Res. 18, 911. https://doi.org/10.1186/s13018-023-04251-0 (2023).
Sharma-Bhandari, A., Park, S. H., Kim, J. Y., Oh, J. & Kim, Y. Lysyl oxidase modulates the osteoblast differentiation of primary mouse calvaria cells. Int. J. Mol. Med. 36, 1664–1670. https://doi.org/10.3892/ijmm.2015.2384 (2015).
Jiang, W. Y. et al. A Lox/CHOP-10 crosstalk governs osteogenic and adipogenic cell fate by MSCs. J. Cell. Mol. Med. 22, 5097–5108. https://doi.org/10.1111/jcmm.13798 (2018).
Guo, W. et al. Dynamic network biomarker identifies cdkn1a-mediated bone mineralization in the triggering phase of osteoporosis. Exp. Mol. Med. 55, 81–94. https://doi.org/10.1038/s12276-022-00915-9 (2023).
Fang, C. et al. CDKN1A regulation on chondrogenic differentiation of human chondrocytes in osteoarthritis through single-cell and bulk sequencing analysis. Heliyon 10, e27466. https://doi.org/10.1016/j.heliyon.2024.e27466 (2024).
Wang, L. et al. KDM1A regulated the osteo/dentinogenic differentiation process of the stem cells of the apical papilla via binding with PLOD2. Cell. Prolif. 51, e12459. https://doi.org/10.1111/cpr.12459 (2018).
Li, J. et al. IGFBP5 promotes angiogenic and neurogenic differentiation potential of dental pulp stem cells. Dev. Growth Differ. 61, 457–465. https://doi.org/10.1111/dgd.12632 (2019).
Wang, Y. et al. IGFBP5 enhances osteogenic differentiation potential of periodontal ligament stem cells and wharton’s jelly umbilical cord stem cells, via the JNK and MEK/Erk signalling pathways. Cell. Prolif. 49, 618–627. https://doi.org/10.1111/cpr.12284 (2016).
Xu, Y. et al. Targeted Inhibition of ATP5B gene prevents bone erosion in collagen-induced arthritis by inhibiting osteoclastogenesis. Pharmacol. Res. 165, 105458. https://doi.org/10.1016/j.phrs.2021.105458 (2021).
Benvenuti, S. et al. Neuronal differentiation of human mesenchymal stem cells: changes in the expression of the alzheimer’s disease-related gene seladin-1. Exp. Cell. Res. 312, 2592–2604. https://doi.org/10.1016/j.yexcr.2006.04.016 (2006).
Yu, J. S. & Cui, W. Proliferation, survival and metabolism: the role of PI3K/AKT/mTOR signalling in pluripotency and cell fate determination. Development 143, 3050–3060. https://doi.org/10.1242/dev.137075 (2016).
Gao, S. et al. PI3K-Akt signaling regulates BMP2-induced osteogenic differentiation of mesenchymal stem cells (MSCs): A transcriptomic landscape analysis. Stem Cell. Res. 66, 103010. https://doi.org/10.1016/j.scr.2022.103010 (2023).
Gao, W. et al. miR-221/222 promote endothelial differentiation of Adipose-Derived stem cells by regulation of PTEN/PI3K/AKT/mTOR pathway. Appl. Biochem. Biotechnol. 195, 4196–4214. https://doi.org/10.1007/s12010-023-04335-x (2023).
Ling, M. et al. VEGFB promotes myoblasts proliferation and differentiation through VEGFR1-PI3K/Akt signaling pathway. Int. J. Mol. Sci. https://doi.org/10.3390/ijms222413352 (2021).
Funding
This project was supported by this study by the Natural Science Foundation of Zhejiang Province (Project No. LQ22H060005, LY21H060003 and LY21H060004), the National Natural Science Foundation of China (Project No. 82102592), and the Scientific Research Project of the Department of Education of Zhejiang Province (Project No. Y202352378). These fundings were used in the design of the study and collection, analysis, and interpretation of data and in writing the manuscript.
Author information
Authors and Affiliations
Contributions
All authors contributed to the study conception and design. Data collection and analysis were performed by Jian Zhu, Libin Jin, Kaipeng Jin, Yongping Wu, Lingling Sun,Yuluan Huang and Chengchun Shen. The first draft of the manuscript was written by Jian Zhu and all authors commented on previous versions of the manuscript. Weixu Li and Zengfeng Xin were responsible for the design and guidance of the article. All authors read and approved the final manuscript.
Corresponding author
Ethics declarations
Competing interests
The authors declare no competing interests.
Additional information
Publisher’s note
Springer Nature remains neutral with regard to jurisdictional claims in published maps and institutional affiliations.
Supplementary Information
Below is the link to the electronic supplementary material.
Rights and permissions
Open Access This article is licensed under a Creative Commons Attribution-NonCommercial-NoDerivatives 4.0 International License, which permits any non-commercial use, sharing, distribution and reproduction in any medium or format, as long as you give appropriate credit to the original author(s) and the source, provide a link to the Creative Commons licence, and indicate if you modified the licensed material. You do not have permission under this licence to share adapted material derived from this article or parts of it. The images or other third party material in this article are included in the article’s Creative Commons licence, unless indicated otherwise in a credit line to the material. If material is not included in the article’s Creative Commons licence and your intended use is not permitted by statutory regulation or exceeds the permitted use, you will need to obtain permission directly from the copyright holder. To view a copy of this licence, visit http://creativecommons.org/licenses/by-nc-nd/4.0/.
About this article
Cite this article
Zhu, J., Jin, L., Jin, K. et al. Aberrantly expressed long noncoding RNAs in adipose-derived mesenchymal stem cells differentiation to nucleus pulposus-like cells. Sci Rep 16, 8029 (2026). https://doi.org/10.1038/s41598-026-36219-5
Received:
Accepted:
Published:
Version of record:
DOI: https://doi.org/10.1038/s41598-026-36219-5






